病因學
遷延性肺嗜酸粒細胞浸潤症病理改變
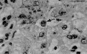
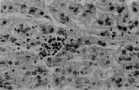
間質和肺泡中有密集的嗜酸粒細胞和巨噬細胞浸潤,同時伴有少量淋巴細胞和漿細胞,另外,可見Ⅱ型上皮細胞增生,肺泡內蛋白滲出,纖維母細胞增生以及間隔膠原沉著。嗜酸粒細胞也可產生致熱原,導致此類病人常有發熱症狀。
臨床表現
遷延性肺嗜酸粒細胞浸潤症檢查
遷延性肺嗜酸粒細胞浸潤症應該做哪些檢查?
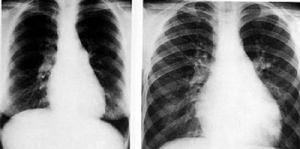
典型的X線表現常有診斷價值,包括三種變化:①與肺葉或段無關的滲出陰影,主要分布在兩肺外側,呈進展性;②使用腎上腺皮質激素後滲出灶迅速吸收;③隨著臨床症狀的反覆滲出亦反覆出現。
肺功能檢查常呈限制性通氣功能障礙伴彌散障礙和低氧血症。外周血嗜酸粒細胞比例在10%~40%之間,血沉顯著增快可達100mm/h,支氣管肺泡灌洗液中嗜酸粒細胞比例可高達40%以上,而正常時小於1%,所有以上變化,均可在治療後消退。
診斷
診斷常依靠典型的病史以及X線表現。本病應與肺結核、何杰金病等鑑別,如對診斷有懷疑,應爭取肺活檢或支氣管肺泡灌洗檢查,有時也可套用腎上腺皮質激素作診斷性治療。
治療措施
遷延性肺嗜酸粒細胞浸潤症併發症
遷延性肺嗜酸粒細胞浸潤症可以並發哪些疾病?
