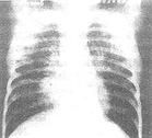
巨細胞病毒性肺炎X片描述
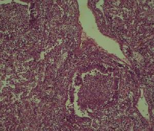
患巨細胞病毒性肺炎兒童1.急進型在移植後1~2月即出現發熱、咳嗽、不適、呼吸困難、活動力下降、缺氧和呼吸衰竭;肺部聽診多無體徵,合併細菌或真菌感染者可聞及囉音;病情進展快,可迅速惡化和死亡;肺部X線主要表現為兩肺多發粟粒樣結節,直徑為2~4mm;屍檢病理顯示瀰漫性肺泡出血、纖維沉著和中性粒細胞反應。常見於原發感染,體內無特異性抗體,因而發病急、重,易導致全身病毒血症和繼發細菌、真菌感染所致。
2.緩進型移植後3~4月發生,症狀與急進型相似,但進展緩慢,症狀較輕,死亡率低;肺部X線表現為瀰漫性間質性肺炎、纖維化;病理表現為肺泡間質水腫,不同程度的纖維化,淋巴細胞浸潤和上皮細胞增生。常見於CMV再感染或潛伏的病毒激活所致。AIDS患者CMV肺炎無特異性,常合併全身CMV感染,如視網膜炎、結腸炎、膽管炎和食管炎。胸片和CT常見兩肺毛玻璃樣、粟粒樣或結節樣改變。血常規提示周圍白細胞的下降。
病因
被巨細胞病毒侵害的肺病理生理
巨細胞病毒性肺炎檢查
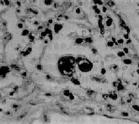
醫生診斷巨細胞病毒性肺炎實驗室檢查:周圍血白細胞減少。以呼吸道分泌物、唾液、尿液、子宮頸分泌物、肝、肺活檢標本接種至人胚成成纖維細胞培養基中可分離到巨細胞病毒。呼吸道分泌物和纖維支氣管鏡肺組織活檢標本內發現嗜酸性核內包涵體巨細胞,即能確診。測定血清的巨細胞病毒抗體,雙份血清抗體呈4倍或以上增長時,有助於診斷。
其他輔助檢查:胸部X線檢查主要表現為兩肺瀰漫性間質性或肺泡性浸潤,極少數可呈結節狀陰影,偶爾出現胸腔積液徵象。肺實變提示並發細菌性或真菌感染。
鑑別
巨細胞病毒性肺炎1.心源性哮喘左心功能不全常出現夜間發作性呼吸困難,伴有呼氣性喘鳴時症狀酷似支氣管哮喘。此類病人常有明顯心臟病史和體徵,多呈端坐呼吸,可有雙肺底瀰漫性細濕囉音等體徵,鑑別有困難時,可吸入選擇性β2受體興奮藥作診斷性治療。
2.自發性氣胸慢性阻塞性肺疾病基礎上出現的氣胸,氣胸體徵常不明顯,而表現為突發性呼吸困難。部分患者出現呼氣性哮鳴(尤其是氣胸對側),臨床上容易與哮喘混淆,要提高警惕性,有可疑者及早作X線檢查以明確診斷。
3.大氣道阻塞性疾患腫瘤、異物、炎症和先天性異常等均可引起喉、聲門、氣管或主支氣管(腔內或外壓性)阻塞,引起呼吸困難和喘鳴音。但這種喘鳴音常在某一部分特別明顯,多為以吸氣相為主的雙相性喘鳴音,常伴雙肺底支氣管呼吸音異常增粗。喉部檢查,X線氣管額面斷層攝片及纖維支氣管檢查可以明確診斷。
4.外源性過敏性肺泡炎此病可出現典型的哮喘表現,但這些病人常有變應原(枯草、鴿糞等)接觸史,X線胸片可見瀰漫性肺間質病變呈斑片狀浸潤,血嗜酸性粒細胞顯著增高,有助於鑑別。
5.急、慢性支氣管炎此類病人可出現喘鳴音和呼吸困難,而哮喘患者亦可以無喘鳴音而僅有發作性乾咳。臨床上有時難以鑑別。但支氣管炎患者的症狀沒有發作性的特點。慢性支氣管炎有長期慢性咳嗽,支氣管炎咳痰一般較多,支氣管擴張劑吸入試驗或晝夜PEF波動率測定有助於鑑別。
6.變態反應性支氣管肺曲菌病(allergicbronchopulmonaryaspergillosisABPA)常以反覆哮喘發作為特徵,伴咳嗽,咳痰,痰多為黏液膿性,有時伴血絲,可分離出棕黃色痰栓,常有低熱,肺部可聞哮鳴音或乾囉音,X線檢查可見浸潤性陰影,段性肺不張,牙膏征或指套征(支氣管黏液栓塞),周圍血嗜酸性粒細胞明顯增高,曲菌變應原皮膚點刺可出現雙相皮膚反應(即刻及遲髮型),血清IgE水平通常比正常人高2倍以上。
7.胃食管反流(GER)鼻後滴漏綜合徵(PNDS)食管賁門弛緩症,賁門痙攣等疾病中,常出現胃或十二指腸內容物通過食管下端括約肌反流入食管的現象,反流物多呈酸性。只要有少量被吸入氣管,即可刺激上氣道感受器通過迷走神經反射性地引起支氣管痙攣,而出現咳嗽和喘鳴,有報導認為在嚴重哮喘病人,其GER的發生率可接近50%,說明GER至少是使哮喘病人不斷發作,症狀難於控制的重要誘因,對GER進行針對性治療,可明顯改善哮喘症狀。鼻後滴漏綜合徵(PNDS),常見於慢性鼻竇炎,其分泌物常在患者平臥時通過後鼻道進入氣管,可引起類似哮喘的咳嗽和喘鳴症狀,同時也是部分哮喘患者反覆發作及療效不佳的重要因素。
治療
巨細胞病毒性肺炎藥物預防
治癒巨細胞病毒性肺炎的兒童預後:嬰兒免疫功能低下及器官移植者發生巨細胞病毒性肺炎,一般預後欠佳。
由於CMV感染常見於骨髓和器官移植患者,因此,在移植前要做好供體篩選工作,儘量選擇CMV抗體陰性的供體。對抗體陽性患者,可在手術前一周和術後一月預防性使用阿昔洛韋治療,並在移植前1天和術後2周使用含高效價CMV抗體的免疫球蛋白靜滴,以提高被動免疫力,之後每3周一個劑量至術後100天。防止CMV肺炎的發生。
流行病學
接種預防巨細胞病毒性肺炎