日斑[sunspot]即太陽黑子。
日斑在太陽的光球層上,有一些鏇渦狀的氣流,像是一個淺盤,中間下凹,看起來是黑色的,這些鏇渦狀氣流就是太陽黑子。黑子本身並不黑,之所以看得黑是因為比起光球來,它的溫度要低一、二千度,在更加明亮的光球襯托下,它就成為看起來像是沒有什麼亮光的、暗黑的黑子了。
太陽活動
太陽黑子是在太陽的光球層上發生的一種太陽活動,是太陽活動中最基本,最明顯的活動現象。一般認為,太陽黑子實際上
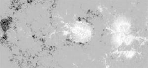
日斑黑子是由本影和半影構成的,本影就是特別黑的部分,半影不太黑,是由許多纖維狀紋理組成的,具有鏇渦狀結構。當大黑子群具有鏇渦結構時,就預示著太陽上將有劇烈的變化。人類發現太陽黑子活動已經有幾千年了。黑子的活動周期為11.2年。屆時會對地球的磁場和各類電子產品和電器產生損害。在開始的4年左右時間裡,黑子不斷產生,越來越多,活動加劇,在黑子數達到極大的那一年,稱為太陽活動峰年。在隨後的7年左右時間裡,黑子活動逐漸減弱,黑子也越來越少,黑子數極小的那一年,稱為太陽活動谷年。國際上規定,從1755年起算的黑子周期為第一周,然後順序排列。1999年開始為第23周。
太陽耀斑
1859年9月1日,兩位英國的天文學家分別用高倍望遠鏡觀察太陽。他們同時在一大群形態複雜的黑子群附近,看到了一大片明亮的閃光發射出耀眼的光芒。這片光掠過黑子群,亮度緩慢減弱,直至消失。這就是太陽上最為強
耀斑耀斑按面積分為4級,由1級至4級逐漸增強,小於1級的稱亞耀斑。耀斑的顯著特徵是輻射的品種繁多,不僅有可見光,還有射電波、紫外線、紅外線、x射線和伽瑪射線。耀斑向外輻射出的大量紫外線、x射線等,到達地球之後,就會嚴重干擾電離層對電波的吸收和反射作用,使得部分或全部短波無線電波被吸收掉,短波衰弱甚至完全中斷。
太陽特性
一個發展完全的黑子由較暗的核和周圍較亮的部分構成,中間凹陷大約500千米。黑子經常成對或成群出現,其中由兩個主要的黑子組成的居多。位於西面的叫做“前導黑子”,位於東面的叫做“後隨黑子”。一個小黑子大約有1000千米,而一個大黑子則可達20萬千米。
日斑太陽黑子的形成與太陽磁場有密切的關係。但是他到底是如何形成的,天文學家對這個問題還沒有找到確切的答案。不過科學家推測,極有可能是強烈的磁場改變了某片區域的物質結構,從而使太陽內部的光和熱不能有效地到達表面,形成了這樣的“低溫區”。黑子越多可能說明太陽越老(近年發現紅矮星上黑子占據表面的一半,詳見中國<天文愛好者>2005年第三期),可能也是所有恆星壽命的一般特徵,黑子可能是太陽的核廢料(如人類核反應堆的核廢料),約11年出現一次可能是黑子在太陽裡面和表面的上下翻動一次造成的(如元宵在鍋里被煮得上下翻動),黑子溫度較低應該也是廢料的一個證明(如煤爐中的炭灰在一般情況下不能再產生高溫),黑子附近的周邊應該比太陽正常的地方溫度高一些(此消彼長的原因),黑子向低緯度運動是因為太陽密度小和自轉的原因,就像地球上的大陸版塊向低緯度運動一樣,有黑子的地方存在凹陷500千米可能是溫度低而不再膨脹的原因,另外,不是磁場影響了黑子而是黑子影響了磁場,這一點特別重要。
觀測歷史
世界上最早的太陽黑子的記錄是中國公元前140年前後成書的《淮南子》中記載的。《漢書·五行志》中對前28年出現的黑子記載則更為詳盡。
日斑1840年代德國的一位業餘天文學家發現了太陽黑子10-11年的周期變化規律。通過長期的觀測,人們還發現太陽黑子在日面上的活動隨時間變化的緯度分布也有規律性。一開始,幾乎所有的黑子都分布在±30°的緯度內,太陽活動劇烈時,它往往出現在±15處,並逐步向低緯度區移動,在±8°處消失。在上一個周期的黑子還沒有完全消失時,下一個周期的黑子又出現在±30°緯度附近。如果以黑子的緯度為縱坐標,以時間為橫坐標,繪出的黑子分布圖很像蝴蝶,因而稱作蝴蝶圖。許多專家對蝴蝶圖的含義進行了研究,但是直到現在還沒有確定的結論。
太陽黑子的周期性
天文學家對黑子ê活動從1755年開始標號統計,規定太陽黑子的平均活動周期為11.2年。黑子最少的年份為一個周期的開始年,稱作“太陽活動極小年”,黑子最多的年份則稱做“活動極大年”。
太陽黑子對地球的影響
太陽是地球上光和熱的源泉,它的一舉一動,都會對地球產生各種各樣的影響。黑子既然是太陽上物質的一種激烈的活動現象,所以對地球的影響很明顯。
當太陽上有大群黑子出現的時候,地球上的指南針會亂抖動,不能正確地指示方向;平時很善於識別方向的信鴿會迷路;無線電通訊也會受到嚴重阻礙,甚至會突然中斷一段時間,這些反常現象將會對飛機、輪船和人造衛星的安全航行、還有電視傳真等等方面造成很大的威脅。
黑子還會引起地球上氣候的變化。100多年以前,一位瑞士的天文學家就發現,黑子多的時候地球上氣候乾燥,農業豐收;黑子少的時候氣候潮濕,暴雨成災。我國的著名科學家竺可楨也研究出來,凡是中國古代書上對黑子記載得多的世紀,也是中國範圍內特別寒冷的冬天出現得多的世紀。還有人統計了一些地區降雨量的變化情況,發現這種變化也是每過11年重複一遍,很可能也跟黑子數目的增減有關係。
日斑研究地震的科學工作者發現,太陽黑子數目增多的時候,地球上的地震也多。地震次數的多少,也有大約11年左右的周期性。
植物學家也發現,樹木的生長情況也隨太陽活動的11年周期而變化。黑子多的年份樹木生長得快;黑子少的年份就生長得慢。
更有趣的是,黑子數目的變化甚至還會影響到我們的身體,人體血液中白血球數目的變化也有11年的周期性。
關於太陽黑子,中國有世界上最早的觀測記錄。大約在公元前140年前的《淮南子》一書中就有“日中有踆烏”的記述。現今世界公認的最早的太陽黑子記事,是載於《漢書·五行志》中的河平元年(公元前28年)三月出現的太陽黑子:“河平元年……三月己未,日出黃,有黑氣大如錢,居日中央。”這一記錄將黑子出現的時間與位置都敘述得詳細清楚。歐洲關於太陽黑子紀事的最早時間是公元807年8月,當時還被誤認為是水星凌日的現象,直到義大利天文學家伽利略1660年發明天文望遠鏡後,才確認黑子是確實存在的。而在此之前,我國歷史上已有關於黑子的101次記錄,這些記錄不但有時間,還有形狀、大小、位置以及變化情況等等。難怪美國天文學家海爾會讚嘆道:“中國古代觀測天象,如此精勤,實屬驚人。他們觀測日斑,比西方早約2000年,歷史上記載不絕,並且都很正確可信。”
就像wc
人在太陽黑子活動高峰期為什麼容易患病
我們知道,太陽表面溫度是不一樣的,有的地方溫度高,有的地方溫度低。當太陽中心區域的溫度比周圍區域低1500°左右時,這個區域看上去就比周圍區域暗,如同一個光亮的圓面上出現斑斑點點的黑色斑點,人們就稱它為
太陽黑子的數量有時多,有時少,其變化是很有規律的,一般每11年為一個周期。據記載,在1173~1976年的803年間,流行行大感冒發生過56次,且都出現在太陽黑子活動極大的年份。太陽黑子活動高峰時,心肌梗死的病人數量也激劇增加。
日斑為什麼太陽黑子活動高峰時,患病人數會增加呢?原來黑子活動高峰時,太陽會發射出大量的高能粒子流與X射線,並引起地球磁暴現象。它們破壞地球上空的大氣層,使氣候出現異常,致使地球上的微生物大量繁殖,為疾病流行創造了條件。另一個方面,太陽黑子頻繁活動會引起生物體內物質發生強烈電離。例如紫外線劇增,會引起感冒病毒細胞中遺傳因子變異,並發生突變性的遺傳,產生一種感染力很強而人體對它卻有免疫力的亞型流感病毒。這種病毒一但通過空氣或水等媒介傳播開去,就會釀成來勢兇猛的流行性感冒。
科學家們還發現,在太陽黑子活動極大的年份里,致病細菌的毒性會加劇,它們進入了體後能直接影響人體的生理、生化過程,也影響病程。所以,當黑子數量達高峰期時,要及早預防疾病的大流行。
太陽的一些基本資料
質量(克)1.9891E33
日地平均距離(米)1.49597870E11
日地最遠距離(米)1.5210E11
日地最近距離(米)1.4710E11
太陽常數(卡·每平方厘米·每分)1.97
視差8.794148″
半徑(公里)696265
表面積(平方公里)6.087E12
體積(立方公里)1.412E18
平均密度(克·每立方厘米)1.409
表面有效溫度(絕對溫度)5770
總輻射功率(焦·每秒)3.83E26
赤道自轉會合周期(天)26.9
極區自轉會合周期(天)31.1
光譜型G2V
目視星等-26.74
絕對目視星等4.83
熱星等-26.82
絕對熱星等4.75
發光強度(坎德拉)2.84E27
照度(勒克斯)1.27E5
表面重力加速度(地球為1)27.9
表面脫離速度(公里/秒)618
中心溫度(絕對溫度)1.5E7
中心密度(克·每立方厘米)1.6E8
中心壓力(達因/平方厘米)3.4E17
自轉速度(公里/秒)19.7
公轉太陽總向(赤經,赤緯)α=18h07m,δ=+30°
年齡約50億年
赤道活動周期的平均長度11.04年

