簡介
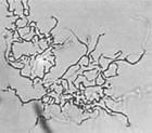
孢暗灰鏈黴菌孢子絲2—3圈緊密螺鏇形。孢子卵圓形,表面帶刺。葡萄糖察氏瓊脂、克氏合成1號瓊脂:氣絲灰白色。基絲好,無色。無可溶色素。澱粉銨鹽瓊脂:氣絲燼灰色。基絲好,無色。肉湯蛋白腖瓊脂:無氣絲。基絲淺棕色。可溶色素褐色。魚瓊脂:氣絲灰白色。基絲豐茂,反面乳脂微黃色。可溶色素褐色。馬鈴薯瓊脂、馬鈴薯塊:氣絲燼灰色。基絲豐茂,灰棕色。培養基褐色。明膠液化弱。牛奶不凝固但腖化。澱粉水解。纖維上生長。硝酸鹽還原。不產生酪氨酸酶和H2S。利用葡萄糖、木糖、果糖、半乳糖、乳糖、蔗糖、麥芽糖、鼠李糖、澱粉、肌醇、甘露醇;不利用阿拉伯糖、棉子糖、菊糖、山梨醇、醋酸鈉、檸檬酸鈉。不利用蛋白腖、丙氨酸、纈氨酸。
代表菌株
研究菌株:26,480和505號,好氣中溫菌,生長適溫25-30℃,分離自保加利亞、喬治亞、莫斯科省不同土壤。見於埃及、高加索、帕米爾土壤。此菌歸燼灰類群。
盤點真菌微生物系列(十一)
| 真菌(fungus;eumycetes)是具有真核和細胞壁的異養生物。種屬很多,已報導的屬達1萬以上,種超過10萬個。其營養體除少數低等類型為單細胞外,大多是由纖細管狀菌絲構成的菌絲體。本期為第十一期。 |
