代表種
菸草環斑病毒(Tobacco ringspot virus)病毒特徵
形態學
病毒粒子為等軸對稱二十面體(T= 1),直徑約28nm,無包膜,外形常為六邊形,有60個蛋白結構亞基。病毒純化時分為頂部組分(T)、中部組分(M)和底部組分(B)。頂部組分為空殼粒子,不含核酸,中部組分含有RNA 2,底部組分含有RNA 1及RNA 2,常見被染色劑滲透的中空粒子。![]() | ![]() |
提純的南芥菜花葉病毒。 | 提純的葡萄扇葉病毒,2%磷鎢酸負染色。 |
理化特性
三個組分粒子T、M和B的相對分子質量分別為3.4×10^6(T)、4.7×10^6(M)、6.1×10^6(B),標準沉降常數S(20W)=53S(T)、91S(M)、126S(B),在氯化銫中的浮力密度為1.423(M)、1.507 g/cm^3(B1)和1.518 g/cm3(B2)。核酸
兩條線形正義ssRNA。RNA 1長7.2~8.4kb,RNA 2長3.9~7.2kb,一些病毒含有衛星RNA分子。兩種粒子包裹的核酸分別占病毒粒子重量的27%~40%(M)和42%~46%(B)。蛋白質
外殼蛋白由單個多肽組成,分子質量為52~60kDa。然而多數暫定種的外殼蛋白是2~3個較小的多肽,分子質量為21~44kDa。基因組
二分體基因組,除了RNA 2的初始翻譯產物為單個105~207kDa多聚蛋白外,該屬的基因組結構和表達與豇豆花葉病毒屬相似。根據RNA 2的大小及存在於不同沉降組分的情況,將屬內確定種分為3個亞組,亞組a的RNA 2相對分子質量1.3×10^6~1.5×10^6,同時存在於M組分和B組分中;亞組b的RNA2相對分子質量1.4×10^6~1.6×10^6,只存在於M組分中;亞組c的RNA 2相對分子質量1.9×10^6~2.2×10^6,存在於M組分,偶爾還存在於B組分中。病毒RNA的3'端為Poly(A),5'端為VPg。RNA 1和RNA 2翻譯的多聚蛋白經過一系列加工切割產生功能蛋白,RNA 1編碼的蛋白與病毒複製有關,而RNA 2編碼的蛋白為外殼蛋白和胞間運動蛋白。甜菜環斑病毒的RNA 1編碼245 kDa多聚蛋白,切割成5個多肽,分別為功能未知的63 kDa蛋白、72 kDa的結合蛋白、2~3 kDa的VPg、23 kDa的蛋白酶及92 kDa的聚合酶。RNA 2編碼的
抗原特性
病毒具有良好的免疫原性。屬內病毒之間有血清學關係,常是遠緣的,菸草環斑病毒與南芥菜花葉病毒、葡萄扇葉病毒和懸鉤子環斑病毒無血清學關係。細胞病理
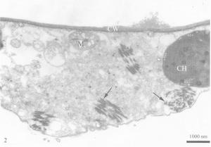
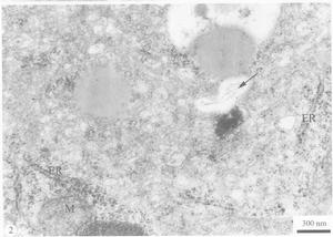
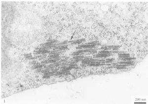
該屬病毒侵染寄主植物的所有組織,包括分生組織細胞。病毒粒子存在於細胞質和液泡中,分散或聚集成群,有的形成結晶體,經過RNA酶消解細胞質核糖體後要辨別單個分散粒子仍較困難。病毒粒子常呈縱列排在細胞質中的小管結構中,有的小管與胞間連絲相連,一些病毒粒子處在胞間連絲中,這種小管與胞間連絲的聯繫可能與病毒的細胞間轉運有關。在分生組織細胞中也可以看到病毒粒子,但其他細胞器無變化,在葉肉細胞中則產生顯著病變,包括葉綠體結構變化和細胞壁突起等。在侵染早期的細胞質中產生許多含有細纖維狀物質的小囊泡結構,往往靠近細胞核,可能是病毒複製裝配的場所。在菊芋黃環斑病毒和菸草環斑病毒感染的細胞中還觀察到中空的蛋白外殼聚集在細胞核內。![]() | ![]() |
2a. 菸草環斑病毒感染的菜豆根尖分生組織細胞,病毒粒子散布於細胞質和液泡內,有的粒子排列在胞間連絲中(箭頭);2b. 細胞質中產生許多小泡結構。 | 感染葡萄扇葉病毒的莧色藜葉肉細胞,示空泡化的細胞質內分布著膨大的細胞器和病毒粒子聚集體(箭頭)。 |
![]() | ![]() |
感染葡萄扇葉病毒的莧色藜葉肉細胞,示細胞質中結晶狀的小管聚集體(箭頭),病毒粒子呈縱列排在這些小管中。 | 細胞質內膜結構增生,產生許多含細纖維狀物種的小囊泡(箭頭)。 |
![]() | ![]() |
感染葡萄扇葉病毒的昆諾藜葉肉細胞,示細胞質中散步和排列在小管中的病毒粒子(箭頭)。 | 葡萄扇葉病毒病毒粒子排列在胞間連絲中(箭頭)。 |
生物學
寄主範圍
對單個病毒而言,其自然寄主有寬有窄。病毒廣泛發生在一年生及多年生的草本和木本植物上,也有的病毒寄主僅限於一種植物,實驗寄主範圍廣,可侵染17個科的雙子葉植物和單子葉植物,環斑是其症狀特點,但斑駁和斑點症狀也常見。傳播
該屬多數病毒由土壤中的一些劍線蟲或長針線蟲持久性傳播,有3種病毒通過花粉傳播,黑醋栗退化伴隨病毒通過蟎類傳播,其他病毒的介體尚不清楚。線蟲可保持傳毒能力達數周或數月,但蛻皮後不傳毒,病毒在介體中不增殖。可機械接種傳播,菸草環斑病毒易汁液傳播給草本植物,不易傳播給木本植物。許多病毒可以種傳。地理分布
在全世界溫帶地區廣泛分布。分類
該屬共有31個種和9個暫定種,代表種是菸草環斑病毒。中國已報導菸草環斑病毒、葡萄扇葉病毒、番茄黑環病毒、溫州蜜柑矮縮病毒等。亞組a
共8個種。編號 | 中文名 | 學名 | 國際基因庫登錄號碼 |
1 | 南芥菜花葉病毒 | Arabis mosaic virus(ArMV) | [X81814-15] |
2 | 滇芎A病毒 | Arracacha virus A(AVA) | - |
3 | 愛琴海菊芋環斑病毒 | Artichoke Aegean ringspot virus(AARSV) | - |
4 | 美洲木薯潛隱病毒 | Cassava American Latent virus(CsALV) | - |
5 | 葡萄扇葉病毒 | Grapevine fanleaf virus(GFLV) | [X16907,D00915] |
6 | 馬鈴薯黑環斑病毒 | Potato black ringspot virus(PBRSV) | - |
7 | 懸鉤子環斑病毒 | Raspberry ringspot virus(RpRSV) | [S46011] |
8 | 菸草環斑病毒 | Tobacco ringspot virus(TRSV) | [U50869] |
亞組b
共9個種。編碼 | 中文名 | 學名 | 國際基因庫登錄號碼 |
1 | 義大利菊芋潛隱病毒 | Artichoke Italian latent virus(AILV) | - |
2 | 甜菜環斑病毒 | Beet ringspot virus(BRSV) | [D00322,X04062] |
3 | 可可壞死病毒 | Cacao necrosis virus(CoNV) | - |
4 | 絳三葉草潛隱病毒 | Crimson clover latent virus(CCLV) | - |
5 | 蘇鐵壞死矮化病毒 | Cycas necrotic stunt virus(CNSV) | - |
6 | 葡萄鉻黃花葉病毒 | Grapevine chrome mosaic virus(GCMV) | [X15346,X15163] |
7 | 桑環斑病毒 | Mulberry ringspot virus(MRSV) | - |
8 | 油橄欖潛隱環斑病毒 | Olive latent ringspot virus(OLRSV) | - |
9 | 番茄黑環病毒 | Tomato black ring virus(TBRV) | [X80831,X96485] |
亞組c
共9個種。編碼 | 中文名 | 中文名 | 國際基因庫登錄號碼 |
1 | 菊芋黃環斑病毒 | Artichoke yellow ringspot virus(AYRSV) | - |
2 | 黑醋栗退化伴隨病毒 | Blackcurrant reversion associated virus(BRAV) | - |
3 | 烏飯樹葉斑駁病毒 | Blueberry leaf mottle virus(BLMoV) | - |
4 | 木薯綠斑駁病毒 | Cassava green mottle virus(CsGMV) | - |
5 | 櫻桃卷葉病毒 | Cherry Leaf roll virus(CLRV) | - |
6 | 菊苣黃斑駁病毒 | Chicory yellow mottle virus(ChYMV) | - |
7 | 保加利亞葡萄潛隱病毒 | Grapevine Bulgarian latent virus(GBLV) | - |
8 | 突尼西亞葡萄環斑病毒 | Grapevine Tunisian ringspot virus(GTRSV) | - |
9 | 木槿潛隱環斑病毒 | Hibiscus latent ringspot virus(HLRSV) | - |
10 | 澳洲紫花苜蓿潛隱病毒 | Lucerne Australian latent virus(LALV) | - |
11 | 櫻桃李潛環斑病毒 | Myrobalan latent ringspot virus(MLRSV) | - |
12 | 桃叢簇花葉病毒 | Peach rosette mosaic virus(PRMV) | [AF016626] |
13 | 馬鈴薯U病毒 | Potato virus U(PVU) | - |
14 | 番茄環斑病毒 | Tomato ringspot virus(ToRSV) | [L19655,D12477] |
暫定種
共9個種。編號 | 中文名 | 學名 | 國際基因庫登錄號碼 |
1 | 滇芎B病毒 | Arracacha virus B(AVB) | - |
2 | 菊芋脈帶病毒 | Artichoke vein banding virus(AVBV) | - |
3 | 櫻桃銼葉病毒 | Cherry rasp leaf virus(CRLV) | - |
4 | 櫻桃叢簇病毒 | Cherry rosette virus(CRV) | - |
5 | 澳洲紫花苜蓿無症病毒 | Lucerne Australian symptomless virus(LASV) | - |
6 | 中國懸鉤子種傳病毒 | Rubus Chinese seed-borne virus(RCSV) | - |
7 | 溫州蜜柑矮縮病毒 | Satsuma dwarf virus(SDV) | - |
8 | 草苺潛環斑病毒 | Strawberry latent ringspot virus(SLRSV) | [X77466] |
9 | 番茄頂壞死病毒 | Tomato top necrosis virus(ToTNV) | - |








