簡介
颱風法茜風暴歷史
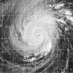
颱風法茜2001年12月11日,一個熱帶低氣壓在西北太平洋東部形成,美國聯合颱風 警報中心將其編號為“31W”。起初聯合颱風警報中心認為法茜是從這個系統發展而成,但重新分析後確認該系統的低層環流中心在12月13日曾一度消散,同日一個新的低層環流中心在該系統的殘餘雲系之下重新建立,“33W”的編號就是在風季結束後被追加的;而31W的強度最高只曾達到熱帶風暴級別。日本氣象廳也認為法茜發展自一個在12月13日形成的熱帶低氣壓。受到中低層副熱帶高壓脊線薄弱、西風爆發等因素影響,該熱帶低氣壓在12月13日至18日在密克羅尼西亞聯邦科斯雷以西停滯少動,期間受制於較強的垂直風切變,增強過程緩慢。日本氣象廳在12月16日把該系統升格為熱帶風暴,並命名為“法茜”。12月18日,法茜開始向西北行進,增強速度加快,18日達到強熱帶風暴強度,21日凌晨獲升格為颱風,翌日達到峰值強度:根據日本氣象廳的分析,法茜中心附近最高風速為105節(10分鐘平均風速),最低海平面氣壓為915百帕斯卡;而根據聯合颱風警報中心的分析,其最高風速為155節(1分鐘平均風速),最低海平面氣壓則低至879百帕斯卡。12月24日,法茜在北馬里亞納群島以西洋面開始轉向東北,移速加快,並快速減弱,26日完成轉化為溫帶氣旋的過程。
![颱風法茜[2001年第25號超強颱風] 颱風法茜[2001年第25號超強颱風]](/img/6/e54/nBnauM3X1QDO1UTN2UTN2QjM4QTM4IDOxMjNzQTNwAzMwIzL1UzL0MzLt92YucmbvRWdo5Cd0FmLyE2LvoDc0RHa.jpg)
