簡介
從空中拍攝颱風寶霞為巨大螺旋狀“寶霞”這個名字是由高棉提供的,只是一個音譯的名詞。
結構
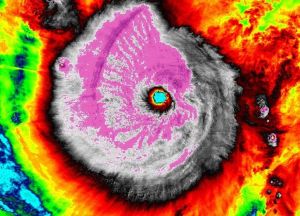
國際空間站曾清楚地拍下了颱風“寶霞”的全貌。從國際空間站拍攝的颱風“寶霞”圖片,可見巨大的螺旋結構。
歷史
登入中國
“寶霞”繼續向廣東靠近2006年8月9日,熱帶風暴“寶霞”於夜間到10日白天在廣東沿海登入,沿廣東沿海向西移動。受“寶霞”和“桑美”的共同影響,福建省沿海有大風和暴雨。2006年8月9日白天,福建中北部沿海海面和台灣海峽風力6級到7級,陣風8級到9級,南部沿海海面風力6級到7級,陣風8級;9日夜裡到10日,福建中北部沿海海面和台灣海峽風力8級到9級,陣風10級,颱風登入前後短時陣風可達11級,南部沿海海面風力6級到7級,陣風8級到9級。
廣東沿海及南海北部海面將有6級至8級大風,廣東東南部的部分地區、福建東南部有大到暴雨,廣東東南部沿海的局部地區有大暴雨。中北部沿海地區有中到大雨,局部縣市有暴雨,南部沿海地區有陣雨;10日到11日,中北部沿海地區有中到大雨,部分縣市有暴雨,局部縣市有大暴雨,南部沿海部分縣市有中到大雨,局部縣市有暴雨,另外,內陸地區南平市部分縣市11日有中雨,局部縣市有大雨到暴雨。
肆虐菲律賓
Suomi NPP衛星捕捉到的假彩色紅外圖像,可以看到颱風“寶霞”內部結構的細節。 2012年12月6日,菲律賓救援人員已發現475具遇難者遺體,另外還有數百人失蹤。已減弱為熱帶風暴的“寶霞”之前以每小時115公里的最大持續風速橫掃菲律賓西部島嶼巴拉望島,颱風帶來的陣風速度達每小時145公里。颱風“寶霞”給菲律賓還帶來了巨大的經濟損失,絕大部份損失是基礎設施。颱風帶來的惡劣天氣導致菲律賓國內多個航班停飛,許多港口停止運營。因道路和橋樑遭損毀,不少受颱風影響的地區與外界聯繫中斷,電力斷供,通信癱瘓。颱風過後,到處只剩樹倒屋塌、滿目瘡痍,估計造成40億比索相當於6億元人民幣的損失。
2012年12月11日,在棉蘭老島引發洪水和土石流的颱風寶霞造成至少714人喪生,有890人失蹤。颱風摧毀了11.5萬房屋,11.6萬人仍居住庇難場所,新住房需數月才能建好 。
![颱風寶霞[熱帶風暴稱號] 颱風寶霞[熱帶風暴稱號]](/img/3/b2e/nBnauM3XzMDOzYzM4kDMwgDN1MTM2QzNxkjMwADMwAzMwIzL5AzL2MzLt92YucmbvRWdo5Cd0FmLzE2LvoDc0RHa.jpg)
