命名由來
2012年第24號颱風寶霞,颱風級別:超強颱風級別,英語名:Bopha,名字來源:高棉,名字意義:花兒名。2012年11月27日02時,在關島東南部的西北太平洋洋面上生成。
2013年,由於2012年第24號颱風寶霞,在菲律賓棉蘭老島影響620餘萬人口,造成1000人以上死亡,房屋6萬間全倒、9萬間半倒,經濟損失近十億美元。“寶霞”造成菲律賓至少逾千人死亡,故將“寶霞”除名,替補名為“安比”。
發展過程
颱風寶霞氣象2012年11月23日凌晨,一個熱帶擾動在波納佩以南海面上 形成,即北緯1.1度、東經159.8度附近,臨時編號90W。下午4時,集結於波納佩以南650公里海面上,聯合颱風警報中心評為LOW。
2012年11月25日上午1時30分,聯合颱風警報中心升至MEDIUM。晚上重新編號為91W。
2012年11月26日上午1時,聯合颱風警報中心發布熱帶氣旋形成警報。上午3時20分,日本氣象廳升格為熱帶性低氣壓,並對其發布烈風警報。上午5時,聯合颱風警報中心升格為熱帶性低氣壓。
2012年11月27日上午3時15分,日本氣象廳升格為熱帶風暴。上午11時,聯合颱風警報中心升格為熱帶風暴。
2012年11月30日上午8時45分,日本氣象廳升格為強烈熱帶風暴。下午5時,聯合颱風警報中心升格為一級颱風。
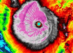
颱風寶霞風眼2012年12月1日上午2時40分,日本氣象廳升格為颱風。上午5時,聯合颱風警報中心升格為二級颱風。上午11時,聯合颱風警報中心直接由二級颱風跳升為四級颱風。
2012年12月2日上午11時,聯合颱風警報中心升格為五級超級颱風。
2012年12月3日上午5時,聯合颱風警報中心降格為四級颱風。上午11時,聯合颱風警報中心降格為三級颱風。下午5時,聯合颱風警報中心再次升格為四級颱風。下午11時,聯合颱風警報中心升格為五級超級颱風。
2012年12月4日上午3時30分,颱風寶霞在菲律賓東達沃省基納布朗岸沿海登入,登入時風速為每小時185公里。上午8時,聯合颱風警報中心降格為三級颱風。下午5時,聯合颱風警報中心降格為二級颱風。下午11時,聯合颱風警報中心降格為一級颱風。
2012年12月5日上午11時,颱風寶霞在菲律賓巴拉望省洛克薩斯沿海再次登入,登入時風速為每小時140公里。
颱風寶霞路徑圖2012年12月6日下午5時,聯合颱風警報中心降格為熱帶風暴。
2012年12月7日上午2時45分,日本氣象廳降格為強烈熱帶風暴。下午2時45分,寶霞再次打開風眼,日本氣象廳再次升格為颱風,隨後聯合颱風警報中心亦升格為一級颱風。下午10時,聯合颱風警報中心直接由一級颱風第三次跳升為四級颱風,隨後降格為三級颱風。
2012年12月8日,颱風寶霞漸漸受高層西風帶及地面東北風所帶來的強烈垂直風切變影響而迅速減弱。下午11時,聯合颱風警報中心降格為二級颱風。下午11時50分,日本氣象廳降格為強烈熱帶風暴。
2012年12月9日上午2時50分,日本氣象廳降格為熱帶風暴。上午5時,聯合颱風警報中心降格為熱帶風暴。上午11時,聯合颱風警報中心降格為熱帶低氣壓,並發出最後的警報。下午2時45分,日本氣象廳降格為熱帶低氣壓。
颱風特點
颱風寶霞熱力圖12月份的颱風其路徑一般有兩種:一種是從西太平洋上生成,西行登入菲律賓,穿過菲律賓後,從南海南部繼續西行,趨向越南東部沿海;另一種是在西北太平洋洋面上生成,先西行,並在菲律賓以東或菲律賓附近轉向東北方向移走,遠離中國。
1949年以來,僅有六七個比較特殊路徑的冬季颱風。它們一般是在西太平洋生成,之後西行登入菲律賓,進入南海,再向西北方向移動,進入南海南部或中部海域,颱風寶霞就屬於這種路徑特殊的颱風。
颱風影響
帛琉島
帛琉島先受寶霞影響,造成房屋受損、通訊中斷及停電。颱風寶霞在民答那峨島造成大量損害,造成超過1000人死亡。
密克羅尼西亞聯邦
在寶霞形成的時候,在關島的美國國家氣象局(NWS)向密克羅尼西亞聯邦的努庫奧羅環礁和盧庫諾爾環礁發出熱帶風暴注意報。在2012年11月26日改發熱帶風暴警報,並把注意報的範圍擴展至洛薩普環礁和楚克。之後寶霞開始向西移動,氣象局便向普盧瓦特環礁和薩塔瓦爾環礁發出熱帶風暴注意報,不久再改發至熱帶風暴警報,並向沃萊艾環礁發出颱風注意報。
帛琉
2012年11月30日,在帛琉當局與災害管理小組對預測在12月2日以三級颱風強度直接在帛琉掠過的颱風寶霞作出高度戒備。帛琉當局已要求來自美國援助的建築及民間行動小組(CCAD),為即將來臨的風暴作岀準備。帛琉全國緊急事務辦公室在11月29日發出公告要求市民作岀準備,如三天的食物和水以作應急物資、攜帶型收音機和備用電池、手電筒和急救箱。帛琉的市民也開始清理自己的房子,而無安全性的物件可能會被強風吹起,而且可以造成大規模破壞,而牆上的視窗、修剪過的樹枝也可能會掉下破壞家園,並為汽車加氣,並在準備的時候為市民綁緊船隻。
菲律賓
最高熱帶氣旋警告:三號風暴信號
2012年12月2日上午11時,寶霞的外圍雲帶開始進入菲律賓大氣地球物理和天文管理局的責任範圍,菲律賓氣象部門發布第一報熱帶氣旋資訊,並預告將會在傍晚命名。下午6時,寶霞進入其責任範圍,正式命名為Pablo,颱風寶霞集結在希納圖安市東南900公里的海面上。下午11時,菲律賓氣象部門發出一號風暴信號。
2012年12月3日上午5時,菲律賓氣象部門發出二號風暴信號。上午11時,菲律賓氣象部門發出三號風暴信號。
2012年12月4日上午3時30分,颱風寶霞在東達沃省基納布朗岸沿海登入。
2012年12月5日上午11時,颱風寶霞在巴拉望省洛克薩斯沿海再次登入。
2012年12月5日晚,菲律賓國家減災管理委員會發布的最新災情通報稱,此次颱風造成的死亡人數已經上升到274人,傷者為339人。除此之外,還有279人失蹤,至少3400人受困在各大機場及港口,約6萬名居民撤離家園。2012年12月4日,颱風寶霞以每小時210公里的陣風風力橫掃棉蘭老島。菲律賓氣象局稱,颱風寶霞是近20年來登入棉蘭老島的最強颱風,颱風寶霞中心風速達每小時120公里,陣風時速最高達160公里。
2012年12月6日上午5時,菲律賓氣象部門解除一號和二號風暴信號。上午11時,菲律賓氣象部門解除所有風暴信號。
菲律賓南部受災嚴重的孔波斯特拉山谷地區俯瞰照片2012年12月8日上午11時,菲律賓氣象部門再次發出一號風暴信號。下午5時,菲律賓氣象部門再次發出二號風暴信號。
2012年12月8日,菲律賓前總統阿基諾三世正式宣布:菲律賓已進入“全國災難狀態”。
菲國家減災管理委員會晚間發布的災情通報:截至8日晚19時,共有30個省份35個城市不同程度受災,受災總人口增加到約540萬人,18萬多人棲身182個避難中心內,在避難中心內外接受救助的受災民眾為37萬人。截至8日19時,菲各地共報告464人死亡,465人受傷,失蹤人數增加到702人,據稱失蹤者多來自哥打巴托省、薩蘭加尼省、南哥打巴托省、蘇丹庫達拉省等四省所屬的第十二大區。各地重災區仍然有8座橋樑,9條道路未能通行,還有15個城市電力仍然中斷,6個地區現在仍然處於供水中斷的狀態,菲律賓總統阿基諾12月7日,在視察重災區的時候也曾經要求要儘快搶通受災區受損的道路和橋樑,讓救援人員和物資可以儘快抵達重災區。
2012年12月9日上午10時,菲律賓氣象部門解除二號風暴信號。下午5時,菲律賓氣象部門發布最後一報熱帶氣旋資訊,並解除所有風暴信號。
2012年12月16日,菲律賓官方披露,颱風寶霞襲擊菲律賓南部造成的死亡人數已增至1020人。
中國
2012年12月5日下午5時,海南省海洋預報台發布南海海浪三級(黃色)警報。受颱風寶霞影響,三沙海域浪高在2.5米以上,其中南沙東北部海面將出現5—7米的巨浪到狂浪。
防禦措施
黃色預警
大風黃色預警2012年12月04日06時繼續發布海上大風黃色預警:
2012年5日08時至6日08時,受入海氣旋和較強冷空氣的共同影響,黃海中部和南部海域、東海東北部海域將有西南風6~7級轉西北風9級、陣風可達10~11級,渤海、渤海海峽、黃海北部海域、東海西北部海域將有7~8級、陣風9~10級的西北風,東海南部海域、台灣海峽、台灣以東洋面、巴士海峽、南海東北部海域將有7~8級、陣風9級的東北風。
橙色預警
2012年12月07日18時,中央氣象台發布海上大風橙色預警:
大風橙色預警2012年12月07日20時至8日20時,受颱風寶霞與南下冷空氣的共同影響,南海中東部海域將有8~10級大風,颱風寶霞中心經過的附近海域的風力可達11~14級、陣風可達15級,巴士海峽、南海北部和中西部海域、南海南部部分海域將有7~8級、陣風9級的東北風到偏北風。另外,受冷空氣影響,渤海、渤海海峽、黃海大部海域、東海東北部海域將有7~8級、陣風9級的西北風
2012年12月08日20時至9日20時,受颱風寶霞與南下冷空氣的共同影響,台灣海峽、巴士海峽、南海東北部和中部海域將有7~8級、陣風9級的大風,颱風寶霞中心經過的附近海域的風力可達9~10級、陣風11~12級。另外,受冷空氣影響,渤海海峽、黃海大部海域、東海東北部海域將有7~8級、陣風9級的西北風。
災後重建
菲律賓在災後重建2012年12月5日,菲律賓國家減災管理委員會晚間發布的災情通報:截至當晚18時,菲律賓全國已有22個省份受災,受災總人口約22萬人,約17萬人棲身在372座避難中心。
2012年12月6日,受災最嚴重的孔波斯特拉省數百居民流離失所,被送到鎮中心的庇護中心。該省一些居民已經開始修繕他們的房屋,婦女們開始沖洗被泥漿掩埋的衣服,在屋外做飯。
![颱風寶霞[2012年第24號超強颱風] 颱風寶霞[2012年第24號超強颱風]](/img/d/494/nBnauM3X1ADN1cDNzAjN0ETN1UTM1QDN5MjM5ADMwAjMwUzLwYzLzQzLt92YucmbvRWdo5Cd0FmLxE2LvoDc0RHa.jpg)
