病原學
1.1分類
本菌可產生多種外毒素及酶類。根據魏氏梭菌所合成分泌的主要毒素,可以將其分為A,B,C,D,E型,其中A型能夠感染到人,形成氣腫疽,死亡率不一,B、C、D型特別與動物的腸道感染關係密切。
1.2形態及染色特徵
兩端鈍圓,粗大桿菌,單在或成雙排列,短鏈較少,無鞭毛,不能運動,在動物機體裡或含血液的培養基中可形成莢膜,無芽孢,革蘭氏陽性。
1.3 生化特性
牛乳培養基中“暴烈發酵”,即接種培養8—10小時後牛乳被酸凝,同時產生大量的氣體,使凝塊變多孔的海綿狀,嚴重時被沖成數段甚至噴出試管外。
1.4 培養特性
厭氧菌, 對營養要求、厭氧要求不高。部分菌可使牛肉塊變成為粉紅色。在普通培養基上均易生長,在葡萄糖血瓊脂上的菌落特徵:圓形、光滑、隆起、淡黃色、直徑2—4mm、有的形成圓盤形,邊緣成鋸齒狀。多次傳代後,表面有輻射狀條紋的“勳章”樣且菌落周圍有棕色溶血區。有時為雙環溶血,內環透明,外環淡綠色。
流行病學
本病80年代已在我省零星散發,近幾年有上升趨勢。並且在我國的四川、江蘇、吉林、安徽、河南、山東、福建、陝西等省廣泛流行過,A型為主要病原菌,其它因素協同作用。本病多數在秋末冬初尤其在氣候變化異常,陰雨潮濕的條件下流行且本病不分年齡性別品種均可發病。在仔豬和種豬中 發生率高於育肥豬,仔豬可暴發流行,常整窩發病,病死率20%—70%,種豬和育肥豬呈零星散發,中豬和成豬常突然發病,病程極短,如救治不及時很快死亡,也有不見任何先兆症狀突然死亡。
本病常見於1—3日仔豬,1周齡以上仔豬發病率要減少,育肥豬、成年豬多發於90—180日齡,很多病例來不及治療而死亡,且豬場一旦發生本病不易清除。
牛以零星散發為主,多發於7月齡至4歲齡,孕母牛發病率高。
臨床症狀
體溫升高到39—40.5℃,呼吸60—80次/分鐘,脈搏90—11次/分鐘。病程短、死亡快、發病後一般在幾分鐘、幾十分鐘或幾小時內死亡。腹部臌脹明顯,耳尖,蹄部,鼻唇部發紺,食慾減少,廢絕,精神沉鬱。
表現神經症狀,亂沖亂撞,轉圈,倒地,口流白沫或紅色泡沫,四肢划動,全身肌肉顫抖,抽搐,怪叫,呻吟。呼吸困難。也有不具任何先兆症狀者突然死亡。
糞便呈深綠色或褐色。有時見有血便,並有特殊惡臭味,污染肛門周圍、後肢、尾部皮毛。仔豬表現為紅色下痢,與大腸桿菌合併感染時拉黃色、黃紅色、土灰色稀糞,脫水消瘦,部分豬嘔吐,體質弱。
剖檢病變
以腸道出血為特徵,尤以空腸段最為顯著。
淋巴結 腹股溝,腸系膜淋巴結出血,紅白相間,呈大理石樣變水腫多汁。
胸腹腔 胸腹腔積液且呈黃色。
心臟 心肌變軟變薄,心肌表面有樹枝狀充血,心包積液,心內外膜、心耳充血。
腸 腸腔充氣,特別是小腸臌氣,腸壁鬆弛,使腸黏膜變得薄而透明,漿膜有出血斑,空腸與迴腸充滿膠凍狀液體。部分黏膜壞死形成潰瘍。盲腸黏膜有出血斑點。內有稀糞且有氣體
胃 胃充滿內容物及氣體,胃黏膜脫落,胃漿黏膜血管充血。
肝 肝腫大,質地脆易碎,病程長者呈土黃色。膽囊腫大,充滿膽汁。
脾 腫大2—3倍,甚至腫大破裂,周邊也有出血點。
腎 淤血,有的有白斑。
肺 肺充血,出血,氣管環充血。且氣管或支氣管中常帶有白色或紅色泡沫。有些病例生前咯血。
實驗室診斷
5.1 採集病死豬的空腸,迴腸,盲腸,腸黏膜以及心血、肝臟病變組織。
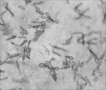
5.2 直接塗片瑞氏染色,多量兩端鈍圓的粗大桿菌,有莢膜,部分菌體中央或近端有芽孢,芽孢小於菌體橫徑。
5.3 將被檢材料接種肉肝湯培養基及紫奶培養基,置37℃溫箱厭氧培養經6—8小時,肉肝湯變得混濁並產生大量氣體。紫奶培養基中牛乳凝團成多孔的海綿狀凝塊即“暴力發酵”。
5.4 牛奶培養 由於本菌能迅速發酵牛乳中的乳糖。呈現一種特有的強烈的凝固產氣反應。
5.6 生化反應 葡萄糖、麥芽糖、蔗糖、乳糖、果糖均產酸產氣,不能發酵甘露醇。
防治
6.1 以防制為重點。採用本地分離的菌株經甲醛滅活後,加Al(OH)3製成滅活菌。對受威脅豬進行緊急接種。或採用多價疫苗注射,克服型不對號的不足,間隔2—4周注射2次,也可明顯提高保護力,在疫情嚴重的疫點預防注射後1個月,加強免疫注射,免疫效果更好。
6.2 加強母豬飼養管理、母豬飼料配方科學。
6.3 對懷孕母豬用C型魏氏梭菌福馬林氫氧化鋁類毒素,在臨產前一個月肌肉注射5ml,兩周后再注射8ml,使母豬產生免疫,仔豬出生後吮吸母豬初乳可獲得被動免疫,也是預防本病有效方法。
6.4 加強產房管理 豬舍及周圍環境採用二氧化氯等消毒,接生前母豬奶頭清洗消毒,可明顯減少本病發生與傳播,胎衣、屍體進行無害處理。
6.5 藥物治療 對臨床分離的病原菌進行藥敏試驗,篩選敏感藥物(用平時不常用的藥物)如江西某豬場對該場分離的魏氏梭菌進行藥敏試驗,其結果表明:高度敏感藥物有氯黴素、頭孢哌酮;中度敏感藥物有紅黴素; 不敏感藥物有氟哌酸、慶大黴素、卡那黴素、複方新諾明、四環素、氨苄青黴素、桿菌肽、痢特靈、丙氟哌酸。
首先用高效藥物混飼作基礎治療,對有明顯症狀者靜脈注射甲硝唑水溶液可收到明顯效果(懷孕母豬會強烈引起平滑肌收縮,導致流產)。
6.6 發現疫情立即封鎖,處理病畜,嚴禁屍體亂扔。燒毀垃圾、徹底消毒可完全控制本病的流行。
鑑別診斷
7.1 大腸桿菌病 其症狀與仔豬的黃白痢的症狀 相似。但剖檢魏氏梭菌病腸道有明顯的出血且空腸段臌氣明顯,漿膜層有氣泡,淋巴結出血,腎針尖狀出血,腦膜出血嚴重。
7.2 炭疽病 兩種病腹脹明顯,呈急性過程。但炭疽常有天然孔流出暗紅色粘稠象煤焦油血液,血液凝固不良。皮下呈黃色或紅色膠凍樣浸潤。另外可以進行細菌學檢查,炭疽桿菌革蘭氏陽性、有莢膜、無鞭毛,在動物體內呈“竹節狀”排列。在普通培養基上,菌落呈典型的“捲髮狀”。
肉毒梭菌的形態7.3 肉毒梭菌中毒症 兩種病的臨床相似點,突然發病、急性死亡。但魏氏梭菌病腹脹明顯。肉毒梭菌中毒症病,曾有飼餵腐敗下腳料史。膘情越好吃得越飽的豬中毒越深
7.4 氟乙醯胺中毒 兩病均引起豬“暴死症”,氟乙醯胺中毒病有誤食滅鼠毒餌病史,或被人所害,投毒所為,豬發瘋,然後痙攣死亡,發作快,試用解氟靈能控制病情,且死後無腹部臌氣。
小結與討論
8.1 本病目前雖不是常見病,但此病來勢兇猛。表現出症狀後難以治療,且死亡率很高。應引起養殖戶和獸醫技術人員的重視。
8.2 魏氏梭菌常與其它菌混合感染,如臨床上已分離到巴氏桿菌、大腸桿菌、鏈球菌、葡萄球菌、沙門氏菌、肺炎克雷伯氏菌,但也有單獨感染的。

