概述
木衛三(蓋尼米得)木衛三是太陽系中已知的唯一一顆擁有磁圈的衛星,其磁圈可能是由富鐵的流動核心的對流運動所產生的。其中的少量磁圈與木星的更為龐大的磁場相交迭,從而產生了向外擴散的場線。木衛三擁有一層稀薄的含氧大氣層,其中含有原子氧,氧氣和臭氧,同時原子氫也是大氣的構成成分之一。而木衛三上是否擁有電離層還尚未確定。木衛三主要由矽酸鹽岩石和冰體構成,星體分層明顯,擁有一個富鐵的、流動性的核心。人們推測在木衛三表面之下200千米處存在一個被夾在兩層冰體之間的鹹水海洋。木衛三表面存在兩種主要地形。其中較暗的地區約占星體總面積的三分之一,其間密布著撞擊坑,地質年齡估計有40億年之久;其餘地區較為明亮,縱橫交錯著大量的槽溝和山脊,其地質年齡較前者稍小。明亮地區的破碎地質構造的產生原因至今仍是一個謎,有可能是潮汐熱所導致的構造活動造成的。
一般認為木衛三是由伽利略·伽利萊在1610年首次觀測到的。後來天文學家西門·馬里烏斯建議以希臘神話中神的斟酒者、宙斯的愛人蓋尼米得為之命名。從先驅者10號開始,多艘太空飛行器曾近距離掠過木衛三。旅行者號太空飛行器曾經精確地測量了該衛星的大小,伽利略號探測器則發現了它的地下海洋和磁場。此外,一個被稱為“木衛二-木星計畫”的全新的探測木星的冰衛星的計畫,預計將會於2020年實施。
發現與命名
用哈勃望遠鏡拍到的木衛三1610年1月11日,伽利略·伽利萊觀測到三顆靠近木星的星體;第二天晚上,他注意到這三顆星體發生了位移。接著,他又發現了第四顆星體,即後來的木衛三。至1610年1月15日晚,伽利略確定這些星體是圍繞木星運行的。他聲稱有權為這些衛星命名,並曾考慮過“科斯米安衛星”(Cosmian Stars)的名字,但最終將之命名為“美第奇衛星”(Medicean Stars)。
法國天文學家尼古拉斯-克勞迪·法布里·德·佩瑞斯特建議為美第奇衛星家族的各顆衛星分別命名,但是其建議未被採納。原本宣稱其最初發現伽利略衛星的西門·馬里烏斯曾試圖將這幾顆衛星命名為“朱庇特的薩圖爾努斯”(Saturn of Jupiter)、“朱庇特的朱庇特”(Jupiter of Jupiter,即指木衛三)、“朱庇特的維納斯”(Venus of Jupiter)和“朱庇特的墨丘利”(Mercury of Jupiter),但也從未被採用。後來有建議以希臘神話中神的斟酒者、宙斯的愛人蓋尼米得為之命名。這種命名法在相當長的時期內並沒有被普遍接受,直至20世紀中期才得到普遍使用。在早期的天文學文獻中,該衛星均以羅馬數字作為指代(該體系由伽利略提出),即被稱為木衛三(Jupiter III )或“朱庇特的第三顆衛星”(third satellite of Jupiter)。後來隨著土星的衛星群的發現,基於克卜勒和馬里烏斯建議的命名系統開始被用於指稱木星的衛星。木衛三是伽利略衛星中唯一一顆以男性人物名字命名的。
物理性質
木衛三上的局部地形平均直徑:2631.2 km (地球的0.413倍)
表面積:8700000km2 (地球的0.171 倍)
體積:7.6×1010 km3 (地球的0.0704 倍)
質量:1.4819×1023 kg (地球的0.025 倍)
平均密度:1.942g/cm3
表面引力:1.428 m/s2
逃逸速度:2.741 km/s(6130 mph)
自轉周期:與公轉同步
轉軸傾角:0–0.33°.
反照率:0.43 ± 0.02
表面溫度:最小----70K;平均----110K;最高-----152K
視星等:4.61(opposition )
軌道根數
木衛三上的環形山鏈平均半徑:1070400km (0.007155 AU)
離心率:0.002
近拱點:1,069,200km (0.007147 AU)
遠拱點:1,071,600km (0.007163 AU)
公轉周期:7.15455296 天 (0.019588 年)
公轉速度:平均10.880 km/s
軌道傾角:2.21°(黃道夾角) 0.20°(木星赤道夾角)
所屬行星:木星
運行軌道
木衛一、木衛二和木衛三三者之間的拉普拉斯共振狀態木衛三的軌道距離木星107萬400千米,是伽利略衛星中距離木星第三近的,其公轉周期為7天3小時。和大部分已知的木星衛星一樣,木衛三也為木星所鎖定,永遠都以同一面面向木星。它的軌道離心率很小,軌道傾角也很小,接近於木星赤道,同時在數百年的周期里,軌道的離心率和傾角還會以周期函式的形式受到太陽和木星引力攝動的影響。變化範圍分別為0.0009-0.0022和0.05-0.32°。這種軌道的變化使得其轉軸傾角在0-0.33°之間變化。
木衛三和木衛二、木衛一保持著軌道共振關係:即木衛三每公轉一周,木衛二即公轉兩周、木衛一公轉四周。當木衛二位於近拱點、木衛一位於遠拱點時,兩者之間會出現上合現象;而當木衛二位於近拱點時,它和木衛三之間也會出現上合現象。木衛一-木衛二和木衛二-木衛三的上合位置會以相同速率移動,遂三者之間有可能出現三星合現象。這種複雜的軌道共振被稱為拉普拉斯共振。現今的拉普拉斯共振並無法將木衛三的軌道離心率提升到一個更高的值。
0.0013的離心率值可能是早期殘留下來的——當時軌道離心率的提升是有可能的。但是木衛三的軌道離心率仍然讓人困惑:如果在現階段其離心率值無法提升,則必然得表明在其內部的潮汐耗散作用下,它的離心率值正在逐漸損耗。這意味著離心率值的最後一次損耗就發生在數億年之前。由於現今木衛三軌道的離心率相對較低——平均只有0.0015,所以現今木衛三的潮汐熱也應該相應的十分微弱。但是在過去,木衛三可能已經經歷過了一種或多種類拉普拉斯共振,從而使得其軌道離心率能達到0.01-0.02的高值。這可能在木衛三內部引起了顯著的潮汐熱效應;而這種多階段的內部加熱最終造成了現今木衛三表面的槽溝地形。人們還無法確切知曉木衛一、木衛二和木衛三之間的拉普拉斯共振是如何形成的。現今存在兩種假說:一種認為這種狀態在太陽系形成之初即已存在;另一種認為這種狀態是在太陽系形成之後才發展出來的。一種可能的形成過程如下:首先是由於木星的潮汐效應,致使木衛一的軌道向外推移,直至某一點與木衛二發生2:1的軌道共振;之後其軌道繼續向外推移,同時將部分的鏇轉力矩轉移給木衛二,從而也引起了後者的軌道向外推移;這個過程持續進行,直到木衛二到達某一點,與木衛三形成2:1的軌道共振。最終三者之間的兩對上合現象的位置移動速率保持一致,形成拉普拉斯共振。
物理特性
構成
木衛三內部結構木衛三內部結構木衛三的平均密度為1.936g/cm3,表明它是由近乎等量的岩石和水構成的,後者主要以冰體形式存在。冰體的質量占衛星總質量的46-50%,比之木衛四稍低。此外可能還存在某些不穩定的冰體,如氨的冰體。木衛三岩石的確切構成還不為人知,但是很可能接近於L型或LL型普通球粒隕石,這兩類隕石較之H球粒隕石,所含的全鐵和金屬鐵較少,而鐵氧化物較多。在木衛三上,以質量計,鐵和矽的豐度比為1.05-1.27,而在太陽中,則為1.8。
木衛三表面的反照率約為0.43。冰體水廣泛存在於其表面,比重達到50-90%,高出整體比重許多。利用近紅外光譜學,科學家們在1.04、1.25、1.5、2.0和3.0微米波長段發現了強烈的冰體水的吸附帶。明亮地帶的槽溝構造可能含有較多的冰體,故顯得較為明亮。除了水外,對伽利略號和地基觀測站拍攝的高解析度近紅外光譜和紫外線光譜結果的分析也顯示了其他物質的存在,包括二氧化碳、二氧化硫,也可能還包括氰、硫酸氫鹽和多種有機化合物。此外伽利略號還在木衛三表面發現了硫酸鎂、硫酸鈉等物質。這些鹽類物質可能來自於地表之下的海洋。
木衛三的表面是不對稱的:其同軌道方向的一面要亮於逆軌道方向的一面。這種狀況類似於木衛二,而和木衛四的狀況正好相反。此外,木衛三同軌道方向一面似乎富含二氧化硫。而二氧化碳在兩個半球的分布則相對均勻,儘管在極地地區並未觀測到它的存在。木衛三上的撞擊坑(除了一個之外)並不富含二氧化碳,這點也與木衛四不同。木衛三的二氧化碳可能在過去的一段時期已經被消耗殆盡了。
內部結構
木衛三的地層結構已經充分分化,它含有一個由硫化亞鐵和鐵構成的核心、由矽酸鹽構成的內層地涵和由冰體構成的外層地涵。這種結構得到了由伽利略號在數次飛掠中所測定的木衛三本身較低的無量綱轉動慣量——數值為0.3105± 0.0028——的支持。事實上,木衛三是太陽系中轉動慣量最小的固態天體。伽利略號探測到的木衛三本身固有的磁場則與其富鐵的、流動的核心有關。擁有高電導率的液態鐵的對流是產生磁場的最合理模式。
木衛三內部不同層次的厚度取決於矽酸鹽的構成成分(其中部分為橄欖石和輝石)以及核心中硫元素的數量。最可能的情況是其核心半徑達到700-900千米,外層冰質地涵厚度達800-1000千米,其餘部分則為矽酸鹽質地涵。核心的密度達到了5.5–6g/cm3,矽酸鹽質地涵的密度為3.4–3.6g/cm3。與地球核心結構類似,某些產生磁場的模型要求在鐵-硫化亞鐵液態核心之中還存在著一個純鐵構成的固態核心。若是這種類型的核心,則其半徑最大可能為500千米。木衛三核心的溫度可能高達1500-1700K,壓力高達100千巴(100億帕)。
表面特徵
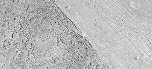
槽溝地形區中新近形成的撞擊坑木衛三的表面主要存在兩種類型的地形:一種是非常古老的、密布撞擊坑的暗區,另一種是較之前者稍微年輕(但是地質年齡依舊十分古老)、遍布大量槽溝和山脊的明區。暗區的面積約占球體總面積的三分之一,其間含有粘土和有機物質,這可能是由撞擊木衛三的隕石帶來的。
而產生槽溝地形的加熱機制則仍然是行星科學中的一大難題。現今的觀點認為槽溝地形從本質上說主要是由構造活動形成的;而如果冰火山在其中起了作用的話,那也只是次要的作用。為了引起這種構造活動,木衛三的岩石圈必須被施加足夠強大的壓力,而造成這種壓力的力量可能與過去曾經發生的潮汐熱作用有關——這種作用可能在木衛三處於不穩定的軌道共振狀態時發生。引力潮汐對冰體的撓曲作用會加熱星體內部,給岩石圈施加壓力,並進一步導致裂縫、地壘和地塹的形成,這些地形取代了占木衛三表面積70%的古老暗區。槽溝地形的形成可能還與早期核心的形成過程及其後星體內部的潮汐熱作用有關,它們引起的冰體的相變和熱脹冷縮作用可能導致木衛三發生了微度膨脹,幅度為1-6%。隨著星體的進一步發育,熱水噴流被從核心擠壓至星體表面,導致岩石圈的構造變形。星體內部的放射性衰變產生的熱能是最可能的熱源,木衛三地下海洋的形成可能就有賴於它。通過研究模型人們發現,如果過去木衛三的軌道離心率值較現今高很多(事實上也可能如此),那么潮汐熱能就可能取放射性衰變熱源而代之,成為木衛三最主要的熱源。
在兩種地形中均可見到,但是在暗區中分布的更為密集:這一區域遭遇過大規模的隕石轟擊,因而撞擊坑的分布呈飽和狀態。較為明亮的槽溝地形區分布的撞擊坑則較少,在這裡由於構造變形而發育起來的地形成為了主要地質特徵。撞擊坑的密度表明暗區的地質年齡達到了40億年,接近於月球上的高地地形的地質年齡;而槽溝地形則稍微年輕一些(但是無法確定其確切年齡)。和月球類似,在35-40億年之前,木衛三經歷過一個隕石猛烈轟擊的時期。如果這種情況屬實,那么這個時期在太陽系內曾經發生了大規模的轟擊事件,而這個時期之後轟擊率又大為降低。在亮區中,既有撞擊坑覆蓋於槽溝之上的情況,也有槽溝切割撞擊坑的情況,這說明其中的部分槽溝地質年齡也十分古老。木衛三上也存在相對年輕的撞擊坑,其向外發散的輻射線還清晰可見。木衛三的撞擊坑深度不及月球和水星上的,這可能是由於木衛三的冰質地層質地薄弱,會發生位移,從而能夠轉移一部分的撞擊力量。許多地質年代久遠的撞擊坑的坑體結構已經消失不見,只留下一種被稱為變余結構(英語:palimpsest)的殘跡。
木衛三的顯著特徵包括一個被稱為伽利略區的較暗平原,這個區域內的槽溝呈同心環分布,可能是在一個地質活動時期內形成的。另外一個顯著特徵則是木衛三的兩個極冠,其構成成分可能是霜體。這層霜體延伸至緯度為40°的地區。旅行者號首次發現了木衛三的極冠。目前有兩種解釋極冠形成的理論,一種認為是高緯度的冰體擴散所致,另一種認為是外空間的等離子態冰體轟擊所產生的。伽利略號的觀測結果更傾向於後一種理論。
大氣層和電離層
木衛三上的亮點1972年,一支在印度尼西亞的波斯查天文台工作的印度、英國和美國天文學家聯合團隊宣稱他們在一次掩星現象中探測到了木衛三的大氣,當時木星正從一顆恆星之前通過。他們估計其大氣壓約為1微巴(0.1帕)。1979年旅行者1號在飛掠過木星之時,藉助當時的一次掩星現象進行了類似的觀測,但是得到了不同的結果。旅行者1號的掩星觀測法使用短於200納米波長的遠紫外線光譜進行觀測,這比之1972年的可見光譜觀測法,在測定氣體存在與否方面要精確得多。旅行者1號的觀測數據表明木衛三上並不存在大氣,其表面的微粒數量密度最高只有1.5 × 109 cm−3,對應的壓力小於2.5 × 10−5微巴。後一個數據較之1972年的數據要小了5個數量級,說明早期的估計太過於樂觀了。
木衛三表面的假色溫度圖不過1995年哈勃空間望遠鏡發現了木衛三上存在稀薄的、以氧為主要成分的大氣,這點類似於木衛二的大氣。哈勃望遠鏡在130.4納米到135.6納米段的遠紫外線光譜區探測到了原子氧的大氣光。這種大氣光是分子氧遭受電子轟擊而離解時所發出的,這表明木衛三上存在著以O2分子為主的中性大氣。其表面微粒數量密度在 1.2–7 × 108 cm−3範圍之間,相應的表面壓力為0.2–1.2 × 10−5微巴。這些數值在旅行者號1981年探測的數值上限之內。這種微量級的氧氣濃度不足以維持生命存在;其來源可能是木衛三表面的冰體在輻射作用下分解為氫氣和氧氣的過程,其中氫氣由於其原子量較低,很快就逃逸出木衛三了。木衛三上觀測到的大氣光並不像木衛二上的同類現象一般在空間分布上呈現均一性。哈勃望遠鏡在木衛三的南北半球發現了數個亮點,其中兩個都處於緯度50°地區——即木衛三磁圈的擴散場線和聚集場線的交界處。同時也有人認為亮點可能是電漿在下落過程中切割擴散場線所形成的極光。
中性大氣層的存在著木衛三上也應該存在電離層,因為氧分子是在遭受來自磁圈和太陽遠紫外輻射的高能電子轟擊之後而電離的。但是和大氣層一樣,木衛三電離層的性質也引發了爭議。伽利略號的部分觀測發現在木衛三表面的電子密度較高,表明其存在電離層,但是其他觀測則毫無所獲。通過各種觀測所測定的木衛三表面的電子密度處於400–2,500 cm−3範圍之間。及至2008年,木衛三電離層的各項參數仍未被精確確定。
證明木衛三含氧大氣存在的另一種方法是對藏於木衛三表層冰體中的氣體進行測量。1996年,科學家們公布了針對臭氧的測量結果。1997年,光譜分析揭示了分子氧的二聚體(或雙原子分子)吸收功能,即當氧分子處於濃相狀態時,就會出現這種吸收功能,而如果分子氧藏於冰體之中,則吸收功能最佳。二聚體的吸收光譜位置更多的取決於緯度和經度,而非表面的反照率——隨著緯度的提高,吸收光譜的位置就會上移。而相反的,隨著緯度的提高,臭氧的吸收光譜則會下移。實驗室的模擬試驗表明,在木衛三上表面溫度高於100K的地區,O2並不會聚合在一起,而是擴散至冰體中。
當在木衛二上發現了鈉元素之後,科學家們便開始在木衛三的大氣中尋找這種物質,但是到了1997年都一無所獲。據估計,鈉在木衛三上的豐度比木衛二小13倍,這可能是因為其表面原本就缺乏該物質或磁圈將這類高能原子擋開了。木衛三大氣層中存在的另一種微量成分是原子氫,在距該衛星表面3000千米的太空即已能觀測到氫原子的存在。其在星體表面的數量密度約為1.5×104 cm−3。
磁層
1995年至2000年間,伽利略號共6次近距離飛掠過木衛三,發現該衛星有一個獨立於木星磁場之外的、長期存在的、其本身所固有的磁矩,其大小估計為1.3 × 1013 T·m3,比水星的磁矩大三倍。其磁偶極子與木衛三自轉軸的交角為176°,這意味著其磁極正對著木星磁場。磁層的北磁極位於軌道平面之下。由這個長期磁矩創造的偶極磁場在木衛三赤道地區的強度為719±2納特斯拉,超過了此處的木星磁場強度——後者為120納特斯拉。木衛三赤道地區的磁場正對著木星磁場,這使其場線有可能重新聚合。而其南北極地區的磁場強度則是赤道地區的兩倍,為1440納特斯拉。
長期存在的磁矩在木衛三四周劃出一個空間,形成了一個嵌入木星磁場的小型磁層。木衛三是太陽系中已知的唯一一顆擁有磁層的衛星。其磁層直徑達4-5RG (RG=2,631.2千米)。在木衛三上緯度低於30°的地區,其磁層的場線是閉合的,在這個區域,帶電粒子(如電子和離子)均被捕獲,進而形成輻射帶。磁層中所含的主要離子為單個的離子化的氧原子——O+——這點與木衛三含氧大氣層的特徵相吻合。而在緯度高於30°的極冠地區,場線則向外擴散,連線著木衛三和木星的電離層。在這些地區已經發現了高能(高達數十甚至數百千伏)的電子和離子,可能由此而形成了木衛三極地地區的極光現象。另外,在極地地區不斷下落的重離子則發生了濺射運動,最終使木衛三表面的冰體變暗。
木衛三磁層和木星磁場的相互影響與太陽風和地球磁場的相互作用在很多方面十分類似。如繞木星鏇轉的電漿對木衛三逆軌道方向磁層的轟擊就非常像太陽風對地球磁場的轟擊。主要的不同之處是電漿流的速度——在地球上為超音速,而在木衛三上為亞音速。由於其電漿流速度為亞音速,所以在木衛三逆軌道方向一面的磁場並未形成弓形激波。除了其本身固有的磁層外,木衛三還擁有一個感應產生的偶極磁場,其存在與木衛三附近木星磁場強度的變化有關。該感應磁場隨著木衛三本身固有磁層方向的變化,交替呈放射狀面向木星或背向木星。該磁場的強度較之木衛三本身之磁場弱了一個數量級——前者磁赤道地區的場強為60納特斯拉,只及木星此處場強的一半。木衛三的感應磁場和木衛四的以及木衛二的感應磁場十分相似,這表明該衛星可能也擁有一個高電導率的地下海洋。由於木衛三的內部結構已經是徹底的分化型,且擁有一顆金屬核心,所以其本身固有的磁層的產生方式可能與地球磁場的產生方式類似:即是核心物質運動的結果。如果磁場是基於發電機原理的產物,那么木衛三的磁層就可能是由其核心的成分對流運動所造成的。
儘管已知木衛三擁有一個鐵質核心,但是其磁層仍然顯得很神秘,特別是為何其他與之大小相同的衛星都不擁有磁層。一些研究認為在木衛三這種相對較小的體積下,其核心應該早已被充分冷卻以致核心的流動和磁場的產生都無以為繼。一種解釋聲稱能夠引起星體表面構造變形的軌道共振也能夠起到維持磁層的作用:即木衛三的軌道離心率和潮汐熱作用由於某些軌道共振作用而出現增益,同時其地幔也起到了絕緣核心,阻止其冷卻的作用。另一種解釋認為是地幔中的矽酸鹽岩石中殘留的磁性造成了這種磁層。如果該衛星在過去曾經擁有基於發電機原理產生的強大磁場,那么該理論就很有可能行得通。
形成和演變
木衛三可能由木星次星雲——即在木星形成之後環繞於其四周的、由氣體和塵埃組成的圓盤——的吸積作用所產生。木衛三的吸積過程持續了大約1萬年,相
較暗的尼克爾森區和較亮的哈帕吉亞槽溝之間可謂涇渭分明。較於木衛四的10萬年短得多。當伽利略衛星開始形成之際,木星次星雲中所含的氣體成分已經相對較少;這導致了木衛四較長的吸積時間。相反,由於木衛三是緊接木星之後形成的,這時的次星雲還比較濃密,所以其吸積作用所耗時間較短。相對較短的形成時間使得吸積過程中產生的熱量較少逃逸,這些未逃逸的熱量導致了冰體的融化和木衛三內部結構的分化:即岩石和冰體相互分開,岩石沉入星體中心形成核心。在這方面,木衛三與木衛四不同,後者由於其較長的形成時間而導致吸積熱逃逸殆盡,從而無法在初期融化冰體以及分化內部結構。這一假說揭示了為何質量和構成物質如此接近的兩顆衛星看起來卻如此得不同。
在其形成之後,木衛三的核心還保存了大部分在吸積過程和分化過程中形成的熱量,它只是緩慢的將少量熱量釋放至冰質地幔層中,就如同熱電池的運作一般。接著,地幔又通過對流作用將熱量傳導至星體表面。不久岩石中蘊含的放射性元素開始衰變,產生的熱量進一步加熱了核心,從而加劇了其內部結構的分化,最終形成了一個鐵-硫化亞鐵核心和一個矽酸鹽地幔。至此,木衛三內部結構徹底分化。與之相比較,未經內部結構分化的木衛四所產生的放射性熱能只能導致其冰質內部的對流,這種對流有效地冷卻了星體,並阻止了大規模的冰體融化和內部結構的快速分化,同時其最多只能引起冰體與岩石的部分分化。現今,木衛三的冷卻過程仍十分緩慢。從起核心和矽酸鹽地幔所釋放出的熱量使得木衛三上的地下海洋得以存在,同時只是緩慢冷卻的流動的鐵-硫化亞鐵核心仍在推動星體內的熱對流,並維持著磁圈的存在。現在木衛三的對外熱通量很可能高於木衛四。
探測
旅行者號數個飛掠過或繞木星運行的探測器對木衛三進行了仔細勘查。其中的第一批是先驅者10號和先驅者11號,兩者傳回的關於木衛三的信息較少。之後旅行者1號和旅行者2號於1979年飛掠過木衛三。它們精確測定了它的大小,最終證明它的體積要大於土衛六,後者曾被認為大於前者。此外,這兩艘飛船還發現了木衛三上的槽溝地形。
1995年,伽利略號進入環木星軌道。在1996年至2000年間,它共6次近距離飛掠過木衛三。這6次飛掠被命名為G1,G2,G7,G8,G28,G29。在最接近的一次飛掠——G2——中,伽利略號距離木衛三表面僅264千米。在1996年的G1飛掠中,它發現了木衛三的磁場。後來又發現了木衛三的地下海洋,並於2001年對外公布。伽利略號傳回了大量的光譜圖像,並在木衛三表面發現了數種非冰化合物。最近前往近距離探測木衛三的探測器是新視野號,它於2007年在前往冥王星的途中飛掠過了木衛三,並在加速過程中拍攝了木衛三的地形圖和構成圖。
美國航空航天局和歐洲空間局合作的一項旨在探測木星衛星的計畫——“木衛二-木星計畫”將於2020年實施。2009年2月,美國航空航天局和歐洲空間局確認該計畫將優先於“土衛六-土星計畫”得以實施。但是歐洲空間局的計畫資金仍然面臨來自該局其他計畫的競爭。木衛二-木星計畫”包括美國航空航天局主持的“木星-木衛二軌道飛行器”和歐洲空間局主持的“木星-木衛三軌道飛行器”,可能還包括日本宇宙航空研究開發機構主持的“木星磁場探測器”。 已被取消的環木衛三軌道探測計畫是木星冰月軌道器。原計畫使用核裂變反應堆作為其動力來源,這將使其能夠對木衛三進行詳細勘查。但是由於預算裁剪,該計畫於2005年被取消。另外還有一個被取消的計畫被稱為“宏偉的木衛三”(The Grandeur of Ganymede)。
發現水跡象
美國加利福尼亞大學行星科學家馬格麗特·吉威爾遜12月16日在美國地球物理學聯盟會議上宣布,美國航空航天局“伽利略”號太空船發現了在“木衛三號”行星的表面下藏有遼闊的液體水的跡象。根據吉威爾遜研究小組利用“伽利略”號太空船上磁力計對“木衛三號”進行的磁場測量,在這個巨大行星冰表層190公里的下面隱藏著像地球上海洋中一樣的鹹水。吉威爾遜小組曾公布在“木衛二號”行星上表面以下8公里的地方隱藏有液體水的證據。冰凍水在太陽系並不少見,但目前在宇宙中只有地球被證實存在液體水。
首張地圖繪製
第一張木衛三表面地圖展示了較大的隕石坑地區這張地圖由美國地質調查局公布,從技術上闡述了木衛三表面各種各樣的地質特徵,是第一張完整的冰冷的外行星衛星地圖。這是迄今繪製的第一張冰冷外行星衛星的地圖,展示了一個“雙重風景”。一部分由複雜的溝槽和山脊構成,另一部分多是隕石坑。
這張新地圖是研究人員比較其他冰冷衛星地質特徵的重要工具,因為在其他冰冷衛星上發現的任何特徵類型都和木衛三某個地方的特徵相似。木衛三表面是地球所有陸地面積的一半以上。這顆衛星為科學家提供各種各樣的觀測地點。

