固體徑跡探測器
正文
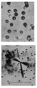
用絕緣固體材料來記錄質量大於質子的帶電粒子徑跡的探測器。材料包括雲母、石英及各種礦物晶體;玻璃、陶瓷等非晶體;聚碳酸酯、硝酸纖維、醋酸纖維、聚酯等聚合物塑膠。固體徑跡探測器是20世紀60年代發展起來的,可探測質子、α 粒子、重離子、裂變碎片和宇宙線中的原子核等。基本原理 當這些帶電粒子通過固體徑跡探測器時,在它們的路徑上材料產生輻射損傷,形成一條連續的輻射損傷徑跡,這種徑跡可用電子顯微鏡觀察到。當把帶有輻射損傷徑跡的材料放入強酸(如氫氟酸、硝酸和鹽酸等)或強鹼(如氫氧化鉀或氫氧化鈉溶液)等蝕刻劑中時,由於材料受到輻射損傷部分的化學活性強,能以較快速度從探測器表面開始與蝕刻劑反應,並溶入蝕刻劑,沿輻射損傷徑跡出現一條細長的孔洞或蝕錐。同時蝕刻劑也從各種表面腐蝕探測器材料,但速度要慢得多。於是孔洞直徑不斷擴大。以上過程稱為蝕刻,孔洞即為蝕刻後的徑跡。當徑跡直徑擴大到微米數量級時,就可用光學顯微鏡觀察。圖1a和1b分別是用矽酸鹽玻璃和雲母記錄的裂變碎片徑跡的顯微照片。
固體徑跡探測器
固體徑跡探測器粒子分辨能力 固體徑跡探測器具有分辨粒子的能力。同一徑跡上不同位置的輻射損傷物質與蝕刻劑反應的速度不同,輻射損傷密度越大,沿徑跡的蝕刻速度也越大。測量徑跡上某點的蝕刻速度或單位時間產生的蝕錐長度,可以知道該點的輻射損傷密度。輻射損傷密度與入射粒子的電荷數及速度(或能量)有關,測量徑跡上某點的蝕刻速度和剩餘射程,就可以確定粒子的電荷數、質量數和能量。分辨粒子電荷數的另一種方法是測量最大可蝕刻射程,即在固體徑跡探測器中輻射損傷密度大於閾值的一段的長度(即剩餘射程)。對同一種探測器材料,同一種粒子的最大可蝕刻射程相同,不同種類粒子的最大可蝕刻射程不同。最大可蝕刻射程與粒子電荷數一一對應。在電荷解析度方面,對輕原子核,固體徑跡探測器不如核乳膠高;但對重原子核,固體徑跡探測器比核乳膠要好。
溫度的影響 在常溫下,固體徑跡探測器中的徑跡很穩定。比如,裂變碎片在白雲母中的輻射損傷徑跡,在145℃可保留45億年以上。因此,組成地球、月岩和隕石的礦物中,保存著自它們生成以來直到目前所記錄的各種重帶電粒子的徑跡,這些礦物,是數億或數萬年以前開始工作的固體徑跡探測器,為現代人類積累了大量古代科學資料。在高溫下,固體徑跡探測器中的徑跡發生衰退或消失(稱為退化),由礦物中徑跡的退火情況,可以推測地球或天體局部或整體的溫度變化。
套用 由於固體徑跡探測器具有能克服強本底干擾,能測量粒子的電荷、質量和能量,保存古代產生的重帶電粒子徑跡,位置靈敏和材料普遍等優點,已經得到廣泛套用。在原子核物理和粒子物理研究中,利用它不怕強本底干擾的特性,已廣泛用來在強入射束中測量裂變幾率、裂變壽命、裂變碎片角分布(見核裂變),尋找裂變同質異能素,鑑定加速器合成的超鈽元素和超重元素,測量核反應截面、分支比和角分布等,利用阻塞效應測量複合核壽命。利用它分辨電荷和記錄古代徑跡的能力,在自然界尋找超重核和磁單極子。利用它記錄直接或次級重帶電粒子徑跡,進行地面和高空輻射劑量測量。在天體物理中,利用固體徑跡探測器分辨粒子和記錄古代徑跡的能力,通過分析隕石、月岩和塑膠中記錄的古代和現代宇宙線中的原子核的成分和能譜、太陽粒子的成分和能譜,正在研究宇宙射線起源、恆星演化、太陽系元素合成和行星演化等方面的問題。在地質學和考古學中,利用地球礦物或物體中積累的238U自發裂變徑跡和隕石礦物中積累的238U和已絕滅的244Pu自發裂變徑跡,可以測定地球物質或天體形成、冷卻或受熱的年代,以及測定考古年代。在分析化學、地球化學、冶金學、結晶學和生物醫學中,可以測定鈾、釷、鈽、硼、鋰、鉛、鉍等多種元素的微小含量和微觀分布。在鈾礦普查勘探中,通過記錄鈾子體氡的α徑跡,尋找地下鈾礦。另外,利用蝕刻後徑跡的微孔形狀,可以製作電子工業、化學工業和醫學上需要的微孔過濾器。此外固體徑跡探測器還可用作射線照相的底片。
參考書目
R.L.Fleischer,et αl.,Nuclear TRacks in Solids, Univ. of Cal. Press, Berkeley, 1975.

