概述
自然災害“自然災害”是人類依賴的自然界中所發生的異常現象,自然災害對人類社會所造成的危害往往是觸目驚心的。它們之中既有地震、火山爆發、土石流、海嘯、颱風、洪水等突發性災害;也有地面沉降、土地沙漠化、乾旱、海岸線變化等在較長時間中才能逐漸顯現的漸變性災害;還有臭氧層變化、水體污染、水土流失、酸雨等人類活動導致的環境災害。這些自然災害和環境破壞之間又有著複雜的相互聯繫。人類要從科學的意義上認識這些災害的發生、發展以及儘可能減小它們所造成的危害,已是國際社會的一個共同主題。
種類
世界範圍內重大的突發性自然災害包括:旱災、洪澇、颱風、風暴潮、凍害、雹災、海嘯、地震、火山、滑坡、土石流、森林火災、農林病蟲害等。
形成
凡危害動植物的各類事件通稱之為災害。縱觀人類的歷史可以看出,災害的發生原因主要有二個:一是自然變異,二是人為影響。因此,通常把以自然變異為主因的災害稱之為自然災害,如地震、風暴,海嘯;將以人為影響為主因的災害稱之為人為災害,如人為引起的火災、交通事故和酸雨等。自然災害形成的過程有長有短,有緩有急。有些自然災害,當致災因素的變化超過一定強度時,就會在幾天、幾小時甚至幾分、幾秒鐘內表現為災害行
風暴潮許多自然災害,特別是等級高、強度大的自然災害發生以後,常常誘發出一連串的其他災害接連發生,這種現象叫災害鏈。災害鏈中最早發生的起作用的災害稱為原生災害;而由原生災害所誘導出來的災害則稱為次生災害。自然災害發生之後,破壞了人類生存的和諧條件,由此還可以導生出一系列其它災害,這些災害泛稱為衍生災害。如大旱之後,地表與淺部淡水極度匱乏,迫使人們飲用深層含氟量較高的地下水,從而導致了氟病,這些都稱為衍生災害。
災害的過程往往是很複雜的,有時候一種災害可由幾種災因引起,或者一種災害因會同時引起好幾種不同的災害。這時,災害類型的確定就要根據起主導作用的災因和其主要表現形式而定。
特徵
自然災害通常是劇烈的,其破壞力極大。持續時間有長有短。災難包括了很多因素,它們會引起受傷和死亡,巨大的財產損失以及相當程度的混亂。一次災難事件持續時間越長,受害者受到的威脅就越大,事件的影響也就越大。另一個影響災難程度的主要特徵,是人們是否獲得了足夠的預警。自然災害有許多重要的特徵,它們突然、有力,無法控制,引起破壞和混亂,通常很短暫,有最低點,有時可以預報。
影響
龍捲風⑴災難會帶來實質性的創傷和精神障礙;
⑵絕大多數的痛苦在災後一兩年內消失,人們能夠自我調整;
⑶由災難引起的慢性精神障礙非常少見;
⑷有些災難的整體影響可能是正面的,因為它可能會增加社會的凝聚力;
⑸災難擾亂了組織、家庭以及個體生活。
自然災害會引起壓力、焦慮、壓抑以及其它情緒和知覺問題。影響的時間以及為什麼有些人不能儘快適應仍然是未知數。在洪水、龍捲風、颶風以及其它自然災害過後,受害者表現出惡念、焦慮、壓抑和其它情緒問題,這些問題可以持續一年。
一種極度的災難的持續效果,稱為創傷後應激障礙,即經歷了創傷以後,持續的、不必要的、無法控制的無關事件的念頭,強烈的避免提及事件的願望,睡眠障礙,社會退縮以及強烈警覺的焦慮障礙。
洪澇
洪澇地震
地震由於地球內動力作用引起地殼的現代活動而產生,一般分為構造地震(占95%)、火山地震和陷落地震。中國之所以成為世界上地震最嚴重的地區,與中國地處環太平洋構造帶與地中海喜馬拉雅構造帶交匯部位,地殼現代活動劇烈有關。除浙江、貴州兩省外,各省都發生過6級以上地震。1556年1月23日中國陝西華縣8級地震,“是日山西、陝西、河南同時地震,聲如雷、雞犬鳴吠……或裂泉涌,或城廊房屋陷人地中,或平地突出山阜……壓死官吏軍民奏報有名者八十二萬……”(《嘉靖實錄》)是中國歷史上最大地震之一。1976年7月28日唐山7.8地震,上百萬人口的工業重鎮,頃刻間成為一片廢墟,是本世紀全球10次破壞性最大的地震之首。地震是不可避免的,地震預報尚屬世界難題。中國在中、長期預測領域取得長足進展,但能作準確預報的還只占少數,對這個具高難度的臨震預報還需做出艱苦的努力。
乾旱
乾旱是久晴。高溫、持續少雨或不雨的氣象災害。在其出現初期,人們並不能感到它的到來,但時間愈長受旱面積擴大,嚴重程度與日俱增。在中國,一年四季均會發生旱災,大部分地區春旱發生機會多、程度重、持續時間長。乾旱發生不僅在時間序列上具有相對集中性,如1470—1949年間北京地區出現的170次乾旱中,有115次是連年發生;而且在空間上具有群發性,如1950年春,內蒙古大部、甘肅河西走廊、冀北、陝北出現乾旱,7~9月長江、淮河、黃河、漢水流域廣大面積出現乾旱的年份,自1950年至1980年就有11次。
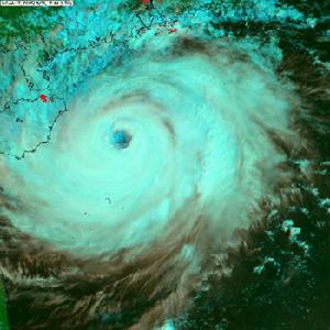
熱帶氣鏇
熱帶氣鏇低溫冷害
自然災害滑坡
它是斜坡上大量岩體和土體,在重力作用下,沿一定的滑動面整體下滑,造成坡上和坡下的農田、建築物的破壞或被掩埋以及人員傷亡。由於自然條件的差異和人為因素的不同影響,滑坡類型是多樣的。中國是多山和多地震國家,有史以來暴雨和地震引起的滑坡頻繁發生,隨著建設事業的發展,又不斷出現水庫。礦山、路塹和山城等的滑坡。1933年8月25日四川茂汶縣迭溪地震時,周圍30里山陵崩、滑,迭溪城與龍池山二個巨型高速滑坡相對而下,堵塞渦江,形成堰壩高160多米;45天后壅塞之水泛溢潰決,沿江數百公里皆受重災。湖北遠安縣鹽池河磷礦,由於地下采空,山體開裂,雨後位移驟增,1980年6月3日凌晨,100多萬立方米的山體突然崩滑,坑口建築物被毀,辦公樓、宿舍、大量礦山機械和280多名員工瞬間被埋入20多米厚的碎石之下。
土石流
常在雨季突然暴發,山谷雷鳴、挾帶泥砂石塊的渾浩洪流席捲而下,掃蕩著前進途中的一切。土石流災害波及中國23個省、市、自治區,影響山區城鎮工礦、交通運輸(鐵路、公路、水路)、農田村寨、水利和各種設施。據鐵路部門資料,中國山區鐵路有1386條土石流溝,威脅著3000多公里線路的安全運行。

