基本簡介
大狄克遜壩大狄克遜壩(Grand Dixence Dam) 位於瑞士羅訥河左岸的狄克斯河谷中的混凝土重力壩。工程主要建築物為混凝土重力壩、泄洪建築物、左岸發電引水系統和地下廠房。
工程主要用於發電,1953年開工,1962年竣工,一直運行正常。 壩基為良好的花崗片麻岩。地震烈度為Ⅶ度。壩址為V形峽谷,山高坡陡。壩址控制流域面積357km2,年平均徑流量4.1億m3。水庫庫容4億m3。
壩區氣候嚴寒,每年只有5個月~7個月的施工期,大壩採取分期加高施工。1953年開工時,計畫分4期施工,每期完成後,間歇1年~2年,計畫工期15年~17年。第1期工程於1957年完工,壩頂澆築至2263.6m高程,澆築速度大大超過預定計畫。因此,決定將原來分4期的計畫改為2期。第1期工程完工不久即進行第2期工程。第2期工程將大壩澆築至設計壩頂,1962年初完工。
設計結構
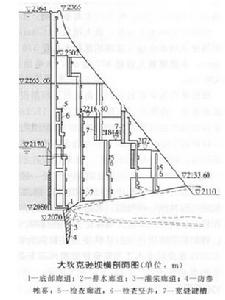
大狄克遜壩橫剖面圖混凝土重力壩壩高285m,壩頂長695m,頂寬15m,最大底寬225m,壩頂高程為2365m;上游壩坡高程2200m以上為鉛直,以下稍有倒懸
下游壩坡為1:.68及1:0.81。電站為高水頭引水式電站,左岸遠壩區引水式布置,共有3座廠房。泄洪建築物主要是在發電引水隧洞內設一支洞作為主要泄洪隧洞,另外在壩的河床部位設一條泄水底孔,用於放空水庫。
1957年6月完成第1期工程時,大壩下游面形成一系列的台階。台階的垂直面上設定一系列的尺寸較大的V形舌榫。
第2期工程施工時,混凝土柱狀塊體一部分直接與第1期工程的台階垂直面連線,其他塊體則與台階垂直面之間留一條寬3.8m的寬槽。塊體冷卻後用混凝土填塞,形成一條嚙合鍵。這種設計考慮了新老混凝土澆築塊之間不致因收縮而出現裂隙,還考慮了新老混凝土間合理傳遞應力的需要。
壩基岩的滲透係數較小。但為了降低揚壓力仍進行了帷幕灌漿,並向兩岸延伸。滿庫時,壩基總滲流量不超過23L/s。

