簡介
3D影像下的黑海水下河
3D影像下的黑海水下河英國利茲大學研究團隊日前使用遙控潛艇對土耳其附近海床進行掃描,發現了這條大河。這條河的流速為每小時6.4公里,河水流量每秒鐘高達2.2萬立方米。按照流量計算,這條河流是泰晤士河的350倍,比歐洲最大河流萊茵河大10倍。這是截至目前為止,發現的唯一一條活躍的海下河流。其河水來自地中海,經過博斯普魯斯海峽,最後進入黑海。
領導這個研究團隊的丹·帕爾森博士說,深海河流也像陸地上的河流一樣,能夠衝出深海平原。只是深海平原就像海洋世界中的沙漠一樣荒蕪,這些地下河渠能夠將生命所需的營養成分帶到這些沙漠中來。因此,這些海下河流非常重要,就像是為深海生命提供營養的動脈要道。
科學家們很久以前就懷疑存在海底河流,經過聲納探測已經在全世界大洋下發現許多河渠。但是至今沒有發現有河水通過這些河渠的跡象。這些河渠中規模最大的位於巴西沿岸,那裡是亞馬孫河進入大西洋的河口,河渠長達4000公里,數千米寬。
第六大河
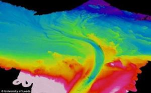
發現海地河流的位置科學家估計,就河流水量而言,如果是在陸地上,這條目前為止尚未命名的河應該是世界上第六大河。使用遙控潛水艇掃描土耳其附近海底的利茲大學研究人員指出,這條河是泰晤士河的350倍大,攜帶高濃度鹽水和沉積物。它是迄今為止發現的唯一活躍的地下河,是從地中海流經柏斯普魯斯海峽進入黑海(鹽量較低)溢出的高鹽水。這使得來自地中海的這一高密度水像河一樣沿海床流淌,形成河道和深堤。
雖然深海的營養物質豐富程度遠不及接近陸地的海水,但這一發現可能有助於解釋生命在深海存活的方式,因為這些河流攜帶沉積物和營養物質。利茲大學地球和環境學院研究組的負責人丹·帕森斯博士表示:“這些水道中水的密度比周圍海水的密度大,因為它的鹽度較高且攜帶較多沉積物。和陸地上的河一樣,它順著陸緣海流淌,形成類似陸地上河流一樣的深海平原。”
海洋的深海平原有如海底荒漠,但是,這些水道可輸送在這些荒漠中維持生命所必需的營養物質和其他成分。帕森斯說:“這表明它們可能非常重要,就像為深海注入生命的動脈。我們發現,這些河與陸地河流之間的重要區別在於水流漩渦,水的鏇流方向與陸地上的河流相反。”
因為一些掃描顯示,很多世界海洋中存在蜿蜒的水道,科學家早已懷疑可能存在海底河流。但是,之前一直未發現這些海底河流。 這些河道中最大的河道要數巴西海岸河道,亞馬遜河從這裡流入大西洋。大多數人相信這些河道是在海平面相當低的時候形成,而且這些河道長達2500英里 (4023公里),寬數英里。黑海河道雖然較小,但它是發現的唯一仍在流淌的河道,而且還證明了這些神秘河道是由水下河流形成。
海底河道與海洋溝渠不同,後者是構造板塊的運動在海洋最深處形成的地質結構,前者像陸地上的河流一樣蜿蜒而流,並以侵蝕河道底部淤泥的同樣方式形成河堤。帕森斯博士發現,黑海河的流速為每小時4英里(6公里),每秒有22000立方米的水流經該河道,是歐洲最大河萊茵河的10倍之大。在到達陸緣海邊緣並流入深海之前,黑海河僅長約37英里(約60公里)。帕森斯博士表示,研究數據還將對在這些河流存在區域尋找鑽探地點的石油公司很重要 。

