簡介

英國利茲大學實用機器人潛艇首次對深水航道進行了研究,首次發現了海底河道。這些河道蜿蜒曲折,並且河道中水分的鹽度要高于海水的鹽度,同時含有大量的泥沙。
帕森斯博士是一位環境學者,他說道:“海洋是生命之源,這是有科學依據的,通過對海底河道的發現,我們或可以認為,我們是生活在海洋之上,海洋通過那些地底看不見的河道,將水輸送到遙遠的內陸,這些水中含有大量的營養成分,最終使得那些地方形成了人類文明。”
對於這些河道為何會產生,帕森斯教授認為這是由於地質板塊之間存在這縫隙,或者是洋流說明通過對地下的不斷侵蝕使得部分海水能夠到達更遠的內陸。這意味著大洋通過流動形成了一整套的循環系統:“像黑海只所以能夠存在如此長的時間,就是由於海洋底部的河道進行回補的原因。”
地形
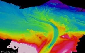
海洋的深海平原有如海底荒漠,但是,這些水道可輸送在這些荒漠中維持生命所必需的營養物質和其他成分。帕森斯說:“這表明它們可能非常重要,就像為深海注入生命的動脈。我們發現,這些河與陸地河流之間的重要區別在於水流漩渦,水的旋流方向與陸地上的河流相反。”因為一些掃描顯示,很多世界海洋中存在蜿蜒的水道,科學家早已懷疑可能存在海底河流。但是,之前一直未發現這些海底河流。 這些河道中最大的河道要數巴西海岸河道,亞馬遜河從這裡流入大西洋。大多數人相信這些河道是在海平面相當低的時候形成,而且這些河道長達2500英里 (4023公里),寬數英里。黑海河道雖然較小,但它是發現的唯一仍在流淌的河道,而且還證明了這些神秘河道是由水下河流形成。
海底河道與海洋溝渠不同,後者是構造板塊的運動在海洋最深處形成的地質結構,前者像陸地上的河流一樣蜿蜒而流,並以侵蝕河道底部淤泥的同樣方式形成河堤。帕森斯博士發現,黑海河的流速為每小時4英里(6公里),每秒有22000立方米的水流經該河道,是歐洲最大河萊茵河的10倍之大。在到達陸緣海邊緣並流入深海之前,黑海河僅長約37英里(約60公里)。帕森斯博士表示,研究數據還將對在這些河流存在區域尋找鑽探地點的石油公司很重要。
相關

科學家估計,就河流水量而言,如果是在陸地上,這條目前為止尚未命名的河應該是世界上第六大河。使用遙控潛水艇掃描土耳其附近海底的利茲大學研究人員指出,這條河是泰晤士河的350倍大,攜帶高濃度鹽水和沉積物。它是迄今為止發現的唯一活躍的地下河,是從地中海流經柏斯普魯斯海峽進入黑海(鹽量較低)溢出的高鹽水。這使得來自地中海的這一高密度水像河一樣沿海床流淌,形成河道和深堤。
雖然深海的營養物質豐富程度遠不及接近陸地的海水,但這一發現可能有助於解釋生命在深海存活的方式,因為這些河流攜帶沉積物和營養物質。利茲大學地球和環境學院研究組的負責人丹·帕森斯博士表示:“這些水道中水的密度比周圍海水的密度大,因為它的鹽度較高且攜帶較多沉積物。和陸地上的河一樣,它順著陸緣海流淌,形成類似陸地上河流一樣的深海平原。”

