定義
海底河流,是指在重力的作用下,經常或間歇地沿著海底溝槽呈線性流動的水流。
形態
英國科學家2010年7月底在黑海下發現一條巨大海底河流,深達38米,寬達800多米。按照水流量標準計算,這條海底河流堪稱世界上第六大河。像陸地河流一樣,海底河流也有縱橫交錯的河渠、支流、沖積平原、急流甚至瀑布。
研究
觀點
科學家們很久以前就懷疑存在海底河流,經過聲納探測已經在全世界大洋下發現許多河渠。但是至今沒有發現有河水通過這些河渠的跡象。這些河渠中規模最大的位於巴西沿岸,那裡是亞馬孫河進入大西洋的河口,河渠長達4000公里,數千米寬。
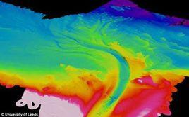
實證
海底河流的地理位置英國利茲大學研究團隊於2010年7月底使用遙控潛艇對土耳其附近海床進行掃描,發現了黑海的海底河流。這條海底河流的流速為每小時6.4公里,河水流量每秒鐘高達2.2萬立方米。按照流量計算,這條海底河流是泰晤士河的350倍,比歐洲最大河流萊茵河大10倍。這是截至目前為止,發現的唯一一條活躍的海底河流。其河水來自地中海,經過博斯普魯斯海峽,最後進入黑海。

