正文介紹
構造地殼或岩石圈各個組成部分的形態及其相互結合的方式和面貌特徵的總稱。地質構造的簡稱。任何構造都是
構造上部構造層次又稱表構造層次,位於地殼淺表部分,主要發生脆性變形,主導變形機制是脆性剪下作用,是斷層分布區;中間構造層次又稱淺構造層次,其深度在約4公里至 12~15公里,主要發生彈塑性變形,主導變形機制是彎曲作用,是等厚褶皺分布區;下部構造層次又稱深構造層次,其深度約為12~15公里以下,主要發生塑性變形,主導變形機制是剪下作用和壓扁作用,是相似褶皺並伴有廣泛發育的
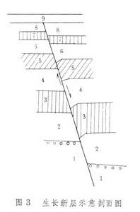
構造層理是研究次生構造的基本參考面,是一種重要的原生構造。②層面構造主要指波痕、泥裂、雨痕、印模、蟲跡等,這類構造發育於沉積岩層的頂面或底面,在野外可用來鑑別地層的頂、底面,以判斷地層層序的正常與倒轉。③層內構造主要指限於某一岩層中的原生構造,如粒序層、交錯層、層內褶皺與層內斷層等,其中除層內斷層外,也均可根據它們的內部結構特點來鑑別地層的頂面或底面。④穿層構造主要指發育於多層岩層中的背斜或斷層,稱為同沉積背斜或同沉積斷層。同沉積背斜(圖2)是在區域性地殼拗陷並不斷接受沉積的盆地中的局部上隆部位上逐漸發育的背斜,因此具有原始的上拱彎曲狀態,其軸部地層厚度小於翼部,軸部碎屑沉積物的粒度則大於翼部同一層沉積物的粒度。同沉積斷層又稱生長斷層(圖3),是指與沉積作用同時活動的斷層,一般發育於沉積盆地的邊緣,具有正斷層性質。盆地所在為斷層的下降盤,其地層厚度明顯大於斷層的上升盤,且斷距隨深度而增大,即地層時代愈老,斷距愈大。另外,韻律層也是一種原生的穿層構造,是由多個粒序層依序疊置而組成的。
構造火成岩的原生構造主要是受岩漿流動與冷凝收縮的力的作用產生的。分為原生流動構造與原生破裂構造兩種。原生流動構造是固態物體在液態岩漿流動中形成的定向構造,如由岩漿早期晶出的片狀、板狀礦物與扁平狀析離體、捕虜體的定向排列形成的流面,由岩漿早期晶出的柱狀、針狀礦物的定向排列形成的流線;原生破裂構造有柱狀節理以及根據節理與流面或流線的產狀關係分出的縱節理、橫節理、斜節理與層節理。
次生構造岩石形成以後受構造運動的作用產生的構造變形,是構造地質學的主要研究對象。次生構造包括褶皺、節理、斷層、劈理、線理等。
次生構造按照變形性質可分為:①連續變形構造。岩層連續性未受到破壞的構造,變形性質屬塑性變形,如褶皺等。②非連續變形構造。岩層被切割失去原有連續性的構造,屬破裂變形的,如節理、斷層。
按照幾何要素可分為:①面狀構造。以幾何意義的面所表征的構造,如褶皺軸面、節理面、斷層面、劈理面等。通常將具有系統性的面狀構造稱為面理。②線狀構造。以幾何意義的線所表征的構造,如褶皺樞紐、斷層擦痕、非等軸礦物的定向排列、兩個構造面的交線等。各面狀、線狀構造還可區分為抽象性的(如褶皺軸面、樞紐、二構造面的交線)與分劃性的兩種。前者只具幾何意義而非具體存在,後者則是具體存在的面、線構造。
根據面狀、線狀構造在地質體中的分布特點,可將地質構造分為:①透入性構造,指在地質體內在一定尺度上均勻、連續且按一定格式排布的面狀構造和線狀構造,如劈理、片麻理、片理以及各種小型線理;②非透入性構造,指非均勻、不連續且以分隔性方式產出於地質體中的面狀構造和線狀構造,如節理面、斷層面以及大型的桿狀構造、窗欞構造等。地質構造的透入性和非透入性是相對於觀察構造的某種尺度而言的,較大範圍的尺度上的透入性構造在較小尺度上也可成為非透入性構造;通常透入性構造是針對小型構造和顯微構造兩種尺度而言的。
構造組合由統一的構造運動過程所產生的多個密切聯繫的構造集合體。構造組合對於區域構造和小型構造的研究至關重要。因為任何一次構造運動產生的構造布局都是由多個構造有規律地組合而成的、所以按一定的構造尺度進行組合研究就有可能揭示這一運動程式的內在規律。組合的原則必須是同一時期的一次構造運動所產生的各個構造。組合方式可以是同類型的構造,如地塹,是由兩條(或兩組)走向相同、傾向相反的正(或逆)斷層組合而成,共軛節理是由兩組剪節理(每組由若干條彼此平行的剪節理構成)組合而成;也可以是不同類型的構造,如滑脫構造,是由蓋層的隔擋式褶皺和蓋層與基底之間的平緩順層斷層(滑脫面)組合而成。不論何種方式的構造組合,均有其自身形態上的總體幾何特徵或總的風格,稱為構造樣式。一定的構造樣式常常是在一定的構造作用和地質背景下形成的,因此根據一群構造的構造樣式,可以分析其形成條件,並同另一地區或另一時代形成的一群構造進行對比。一般而言,相同的構造樣式反映其形成條件大致相同,但其形成時代可以不同;不同地區的不同構造樣式反映其形成條件不同,但形成時代可以相同。由於各個地區、各個時代構造組合的形成條件千差萬別,因而構造樣式也多種多樣,並無統一的分類名稱,但也有按若干有成因聯繫的構造排布的幾何形象給予“型”或“式”的名稱,如共軛節理可稱為“X型”,呈雁行排列的斷層或褶皺稱“雁列式”等。構造樣式有時也指一種構造的形態特徵的總合,如變質岩中常見的等斜褶皺與其中軸面劈理的總合與只具有開闊褶皺與其中的節理的總合即屬於兩種不同的褶皺樣式。
構造序列不同構造期或同一構造期中不同幕(或階段)所產生的地質構造先後有序。構造序列的建立有助於認識具有多期、多次變形的變質岩區的構造發育、演化規律。一次構造運動按一定作用方式產生的構造要素群稱為一個構造世代的構造。前一構造世代的構造對於後一構造世代的構造發育可以起著控制或限制的作用,後一構造世代的構造疊加於前一構造世代的構造之上的現象稱為構造疊加,其效應往往是改造了前一構造世代的構造,使其格局、面貌發生變化,出現疊加構造型式。建立區域性構造序列的關鍵在於劃分和對比不同構造世代的構造,弄清前、後構造世代之間的控制、限制和疊加效應和干涉改造關係。
參考書目
俞鴻年、盧華復主編:《構造地質學原理》,地質出版社,北京,1986。
M.馬托埃著,孫坦、張道安譯:《地殼變形》,地質出版社,北京,1984。(MauriceMattauer,Les deformations des matériaux de Lécorce terrestre, Deuxième édition corrigée janvier,Hermann,Paris,1980.)

