機場地圖坐標:
| 經度: | 149° 59' 7'' W |
| 緯度: | 61° 10' 9'' N |
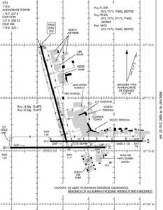
泰德·史蒂文斯·安克雷奇國際機場共有三條跑道,以下是跑道信息:
| 方向 | 長度 | 表面狀況 |
| 07L/25R | 3,231米(10,600英尺) | 瀝青 |
| 07R/25L | 3,322米(10,900英尺) | 瀝青 |
| 14/32 | 3,531米(11,584英尺) | 瀝青 |
概述
如今泰德·史蒂文斯·安克雷奇國際機場在貨物運送方面占了重要的地位,
機場平面圖航廈、航點
泰德·史蒂文斯·安克雷奇國際機場共有2座航廈,數家國內外航空公司。
南航廈(國內線)A大廳
邊境飛行服務隊(阿尼亞克、伯特利、費爾班克斯、Galena、聖瑪莉斯)
格蘭特航空(埃莫納克、基奈、荷馬))
哈赫蘭航空服務公司(尤納拉克利特)
聯合航空(芝加哥、丹佛、聖弗朗西斯科(舊金山))【季節性定期】
加拿大航空(溫哥華)【季節性定期】
邊疆航空(丹佛)【季節性定期】
康菲/英國石油公司(北坡包機)
B大廳
阿拉斯加航空
C大廳
阿拉斯加航空(阿達客【季節性定期】、伯特利、芝加哥奧黑爾、康多弗、丹佛【季節性定期】、迪林厄姆、費爾班克斯、火奴魯魯(檀香山)、朱諾、King Salmon、科迪亞克島、科茨布、洛杉磯、Nome、波特蘭、普拉德霍灣、聖弗朗西斯科(舊金山)【季節性定期】、西雅圖、溫哥華【季節性定期】)
美國航空(達拉斯)【季節性定期】
西北航空(底特律【季節性定期】、明尼阿波利斯)
L出入口
航空時代(伯特利、康多弗、費爾班克斯、荷馬、基奈、科迪亞克、瓦爾德斯)
PenAir(阿尼亞克、冷灣、迪林厄姆、King Salmon 、麥格拉思、砂點、聖喬治、聖保羅、尤納拉克利特)
塔台內部北航廈(國際線)
客運
雖然北航廈為國際線專用,但部份美國國內線會使用北航廈,另有機場巡迴巴士來回南北航廈。
中華航空(紐約甘迺迪-台北-桃園)
神鷹航空(法蘭克福)
美國大陸航空(火奴魯魯(檀香山)、西雅圖) Dalavia(彼得羅巴甫洛夫斯克-勘察加)
達美航空(亞特蘭大【季節性定期】、申申那堤/北肯塔基【季節性定期】、洛杉磯【季節性定期】、鹽湖城) 太陽國家航空公司(達拉斯/和福堡、明尼阿波利斯)【季節性定期】
全美航空(拉斯維加斯、菲尼克斯(鳳凰城))海參崴航空(彼得羅巴甫洛夫斯克-堪察加 、西雅圖、海參葳、南薩哈林斯克)
夏季航線:
日本航空(福岡、名古屋、大阪-關西、東京-成田)
大韓航空(首爾-仁川)
全方位國際航空
北美航空公司
貨運
加拿大航空(由世界航空代操作)、中國國際航空、冰島亞特蘭大航空公司、阿拉斯加航空、阿拉斯加中

航空管制
| CLR | 119.4MHz,128.65MHz,323.1MHz |
| GND | 121.9MHz,338.25MHz |
| TWR | 118.3MHz,257.8MHz |
| DEP/APP | 118.6MHz,119.1MHz,123.8MHz,126.4MHz,257.9MHz,290.5MHz,363.2MHz |
| KENAI RDO | 122.2MHz,122.3MHz,122.55MHz,255.4MHz |
| SAN FRANCISCO ARINC | 6655.0KHz,8951.0KHz,10048.0KHz,11330.0KHz,13273.0KHz |
| TWEB | 114.3MHz,338MHz |
| CAMPER | 4897.5KHz,140.15MHz,311MHz |
| ATIS | 118.4MHz |
| UNICOM | 122.95MHz |
航空設施
| 名稱 | 種類 | 頻率 | 呼號 |
| CAMPBELL LAKE | NDB | 338.0KHz | CMQ |
| ANCHORAGE | VOR | 114.3MHz | ANC |
| ANCHORAGE | DME | ANC |
