詞語解釋
細胞壞死毒素[xìbāohuàisǐdúsù]1.[生物化學]necrocytotoxin
具體介紹
關鍵字:內毒素 腫瘤壞死因子 肝細胞 超微結構
引言
肝臟是腸道細菌移居中的重要臟器,其中肝細胞、枯否細胞對細菌移居的發生及發展起十分重要的作用.為避免體內各種複雜因素的干擾,我們研究了內毒素、腫瘤壞死因子對原代培養肝細胞超微結構的影響,這有助於進一步闡明腸道細胞移居的機理.
1 材料和方法
1.1 材料 上海產1月齡SD雄性大鼠,體重90g~100g.DMEM培養基(Gibco公司),0.3g/LⅠ型膠原酶溶液50mL(Sigma公司,DMEM為溶劑),磷酸緩衝液(PBS)250mL,LPS(Sigma公司),TNF標準品(5萬U/支,北京軍事醫學科學院),RDB-TB蠕動泵(江蘇省張家港市儀表儀器總廠),離心機,型號為Biofuge15R(德國Heraeus公司).
1.2 方法 1月齡SD雄性大鼠腹部消毒後按2mL/kg,ip10g/L戊巴比妥鈉麻醉,仰臥位固定.脫去胸腹部毛,消毒,無菌操作下,開胸將導管插入下腔靜脈胸段,絲線固定.開腹顯露門靜脈,遠離肝臟處結紮肝動脈、脾靜脈、下腔靜脈與腎靜脈匯合處.剪破門靜脈近肝臟處,以9mL/min速度灌注PBS15min,以8mL/min的速度灌注I型膠原酶10min,收集肝包膜內細胞於DMEM中,依次經100,150,180,280,400目不鏽鋼濾網過濾後的細胞懸液於4℃,50g離心2min,棄上清,反覆離心3次,沉積的細胞用含100mL/L小牛血清DMEM調整細胞密度為2×108個細胞/L,台盼蘭拒染法測細胞活力90%[1].以此細胞密度在6孔培養板中加入細胞懸液4×105個細胞/孔.36h後換液並分別加入作用因素,試驗共分4組,TNF組:50MU/LTNF,20μL/孔;LPS組:0.1g/LLPS,20μL/孔;TNF+LPS組:50MU/LTNF,20μL/孔,0.1g/LLPS,20μL/孔;並設對照組,每組設6個復孔,繼續培養24h後吸去培養孔中培養液,加入一定量的1.25g/L胰蛋白酶於37℃下作用6min,吸去胰蛋白酶,加入含100mL/L小牛血清之DMEM,用吸管輕輕吹打培養皿底部,各組細胞分別收集於錐形離心管中,2000r/min速度離心10min,底部沉積物加入30g/L戊二醛固定,常規包埋,切片,染色,於透射電鏡下觀察,攝像.
2 結果
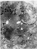
內毒素與腫瘤壞死因子作用24h後,均可使體外培養肝細胞超微結構受損,表現為糖原減少,溶酶體增多,線粒體腫大,嵴溶解,內質網擴張及斷裂,甚至可見核空泡化,染色質消失,其中以腫瘤壞死因子引起的肝細胞損傷為重,若二者聯合作用,則肝細胞受損更加嚴重(Fig1~6).
壞死毒素圖1 LPS作用後肝細胞內質網、線粒體腫大
fig1 SwellingofmitochondriaandendoplasmicreticuluminculturedhepatocytesinducedbyLPS ×5000
×5000
3 討論
燒傷大鼠在內毒素注射後48h~72h,肝細胞嚴重變性壞死,其中灶性胞漿內溶解性壞死(FCN)多見,這些病變與燒傷條件下內毒素的直接作用和繼發性損害有關,且彼此之間互有聯繫,炎性介質或其它生物活性介質的釋放進一步促進了肝細胞損傷[2].電鏡下肝細胞可顯示不同程度變性壞死,如肝細胞空泡化、線粒體腫脹、內質網擴張、糖原顆粒減少.肝細胞攝取的內毒素主要分布於線粒體中,燒傷時肝細胞線粒體是內毒素在肝內降解的主要部位之一,內毒素所致肝細胞損害主要是通過內毒素血症,肝微循環障礙、肝細胞糖、蛋白質及脂肪代謝異常直接損害肝細胞超微結構促使肝內枯否細胞功能改變,毛細血管膜上Na+-K+-ATP酶活性改變等多種途徑致傷.內毒素血症可經C3旁路或經典途徑激活補體,可直接或間接損害肝臟,內毒素通過肝細胞膜上LPS受體被肝細胞攝取,經溶酶體降解,其毒性部分類脂A被轉運至線粒體內膜,抑制ATP合成酶和還原煙醯胺腺嘌呤而引起線粒體損傷;內毒素還可通過抑制磷酸烯醇式丙酮酸羥化酶活性干擾糖異生,通過增加丙酮酸激酶合成促進糖分解代謝進而造成糖原顆粒減少等肝細胞超微結構變化,近年來發現內毒素血症時枯否細胞功能增高,通過釋放毒性物質如TNF,PAF引起肝細胞損傷,LPS還能激活補體,使血漿PGE和PGE2增高,PAF,IL-1,IL-6,IL-8,TNF活性增加,其中TNF被認為是導致肝細胞壞死的主要因素.
我們的實驗結果從細胞水平進一步證實LPS,TNF對肝細胞超微結構有損傷作用,且以TNF引起的損傷為重,若二者聯合套用,損傷更重.這說明LPS刺激枯否細胞釋放的TNF在細胞損傷中占重要地位,且LPS與TNF具有協同作用,可加重肝細胞損傷.

