序言
玉米葉夜蛾又稱甜菜夜蛾。近日,在河北省平鄉、任縣、館陶、清河、南宮等地的部分夏玉米田發生一種“打不死的蟲子”,一般農藥加大1~2倍的用藥量、連噴2~3次也根本“不頂事”,這讓很多農民朋友束手無策,焦急萬分。據筆者實地調查,確認是該蟲為玉米葉夜蛾(甜菜夜蛾)。

害蟲特徵及發生特點
1、蛹和成蟲(蛾)。一年可發生4~6代。蛹體長1厘米左右,黃褐色。成蟲體長1~1.4厘米,翅展2.5~3.3厘米,體色灰褐色。白天潛伏在雜草、枯葉和土縫等陰暗處,受驚嚇後可短距離飛行。多在夜間20時至23時取食、交尾和產卵,活動最為猖獗。
2、卵。卵粒呈圓饅頭型,多產於葉背面或葉柄處,初產的卵為淺綠色,接近孵化時為淺灰色,卵塊平鋪一層或多層重疊,上面覆蓋有灰白色絨毛。每雌蛾一般產卵100~600粒,卵期3~5天,溫度低時約在7天左右孵化成幼蟲。
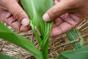
3、幼蟲。初孵幼蟲先取食卵殼,後陸續從絨毛中爬出,1~2齡常群集在葉背面為害,吐絲、結網,在葉內取食葉肉,殘留表皮而形成“爛窗紙狀”破葉。


4、與其它害蟲的典型區別。甜菜夜蛾與棉鈴蟲、二點委夜蛾和玉米螟的典型區別是:該蟲幼蟲腹部氣門下線為明顯的“黃白色縱帶”(有時帶粉紅色),每節氣門上方各有一個明顯的“白點”,且蟲體表面光滑鋥亮、蠟質層較厚,對一般常用農藥的抗藥性極強。
應對措施和注意事項
甜菜夜蛾對常用的菊酯類、有機磷類、氨基甲酸酯類農藥的抗性極強,而且夏玉米幼苗耐藥性不強,盲目加大用藥量是不可取的(一是會增加用藥成本,二是會對玉米苗產生藥害)。對此,筆者建議大家應掌握在其抗藥性較弱的孵化盛期或幼蟲3齡之前施藥。如果已經蟲齡較大、抗藥性增強,需要選用新型成分農藥、適當加大用藥量和多元復配而噴藥防治。經各地對比試驗,選用紅與蘭10毫升+農喜3號20毫升,或紅與蘭 1+1組合的紅瓶、藍瓶各用10毫升,或農喜1號、2號、3號各用18毫升,一般10分鐘左右可殺滅5齡以上的大蟲。為避免和延緩抗藥性的產生,應注意交替使用。另外,還有一點提醒大家注意:辛硫磷、敵敵畏兩種農藥及其復配製劑容易對玉米造成藥害,應避免使用(感謝本報讀者劉金順、謝建峰、陳寶軍對本文提供的幫助)。
本報通訊員 王智廣
刊載於2010年7月22日《河北科技報》
