玉米甜菜夜蛾
學名:Spodoptera exigua Huner 屬鱗翅目,夜蛾科。
又名:甜菜夜蛾、玉米葉夜蛾。 全國各地均有發生。
寄主:玉米、棉花、甜菜、芝麻、花生、菸草、大豆、白菜、番茄等170多種植物。
發生特點
1、蛹和成蟲(蛾)。一年可發生4~6代。蛹體長1厘米左右,黃褐色。成蟲體長1~1.4厘米,翅展2.5~3.3厘米,體色灰褐色。白天潛伏在雜草、枯葉和土縫等陰暗處,受驚嚇後可短距離飛行。多在夜間20時至23時取食、交尾和產卵,活動最為猖獗。

2、卵。卵粒呈圓饅頭型,多產於葉背面或葉柄處,初產的卵為淺綠


色,接近孵化時為淺灰色,卵塊平鋪一層或多層重疊,上面覆蓋有灰白色絨毛。每雌蛾一般產卵100~600粒,卵期3~5天,溫度低時約在7天左右孵化成幼蟲。
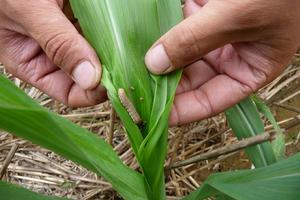
3、幼蟲。初孵幼蟲先取食卵殼,後陸續從絨毛中爬出,1~2齡常群集在葉背面為害,吐絲、結網,在葉內取食葉肉,殘留表皮而形成“爛窗紙狀”破葉。
3齡以後的幼蟲分散為害,嚴重發生時可將葉肉吃光,僅殘留葉脈,甚至可將嫩葉吃光。幼蟲體色多變,但以綠色為主,兼有灰褐色或黑褐色,5~6齡的老熟幼蟲體長2厘米左右。幼蟲有假死性,稍受驚嚇即捲成“C”狀,滾落到地面。幼蟲怕強光,多在早、晚為害,陰天可全天為害。


4、與其它害蟲的典型區別。甜菜夜蛾與棉鈴蟲、二點委夜蛾和玉米螟的典型區別是:該蟲幼蟲腹部氣門下線為明顯的“黃白色縱帶”(有時帶粉紅色),每節氣門上方各有一個明顯的“白點”,且蟲體表面光滑鋥亮、蠟質層較厚,對一般常用農藥的抗藥性極強。
發生規律
1.寄主植物多。隨著農業種植結構的調整和棚式蔬菜的發展,為甜菜夜蛾提供了更加廣泛的越冬場所。此外,少(免)耕等輕型栽培技術的推廣,使得間作或套作作物品種增多、面積擴大,這些不僅為甜菜夜蛾提供了比過去更為豐富的食料條件,而且減輕了農事操作對甜菜夜蛾的控制作用,因而更有利於甜菜夜蛾在不同寄主間進行遷徙為害和種群繁衍增殖。
2.遷飛性強。甜菜夜蛾雖然可以在本地越冬,但也可以遠距離遷飛,這使局部地區發生甜菜夜蛾成為可能。
3.繁殖率高。甜菜夜蛾蛹期6天左右,每頭雌蛾平均產卵量為104.8粒,卵孵化率為82%,卵歷期為2天左右,夏季完成一個完整世代僅需28天。因此甜菜夜蛾可以在短期內普遍發生。
應對措施
甜菜夜蛾對常用的菊酯類、有機磷類、氨基甲酸酯類農藥的抗性極強,而且夏玉米幼苗耐藥性不強,盲目加大用藥量是不可取的(一是會增加用藥成本,二是會對玉米苗產生藥害)。對此,筆者建議大家應掌握在其抗藥性較弱的孵化盛期或幼蟲3齡之前施藥。如果已經蟲齡較大、抗藥性增強,需要選用新型成分農藥、適當加大用藥量和多元復配而噴藥防治。經各地對比試驗,選用紅與蘭15毫升,或紅與蘭1+1組合的紅瓶、藍瓶各用10毫升,或農喜1號、2號、3號各用18毫升,一般10分鐘左右可殺滅5齡以上的大蟲。為避免和延緩抗藥性的產生,應注意交替使用。另外,還有一點提醒大家注意:辛硫磷、敵敵畏兩種農藥及其復配製劑容易對玉米造成藥害,應避免使用(感謝本報讀者劉金順、謝建峰、陳寶軍對本文提供的幫助)。
特別提醒
1、辛硫磷、敵敵畏兩種農藥及其復配製劑容易對玉米造成藥害,應避免使用。
2、玉米田間使用過或者計畫使用煙嘧磺隆苗後除草劑的,使用煙嘧磺隆前後7天左右應避免使用有機磷農藥,以避免造成藥害。
