簡介
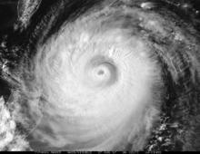
風暴眼是熱帶氣旋中心最平靜的地區。風暴眼是一個大致圓形的區域,通常直徑為30 - 65公里(20 - 40英里)。它周圍環繞著一圈高聳的雷暴,在那裡,最惡劣的天氣發生了。氣旋的最低氣壓在眼內,比風暴外的氣壓低15%。在強烈的熱帶氣旋中,眼睛的特點是微風和晴朗的天空,四周環繞著高聳的對稱的眼壁。在較弱的熱帶氣旋中,眼睛的定義較差,可以被中央密集的覆蓋層覆蓋,這是一種高而厚的雲層,在衛星圖像上顯示明亮。弱或無組織的風暴也可能有一種不完全包圍眼睛或有大雨的眼睛。然而,在所有的風暴中,眼睛是風暴的最低氣壓的位置,在那裡,海平面的氣壓是最低的。
這是由於風暴眼是由下沉空 氣形成的,下沉空氣則絕熱增溫。由於這個暖的核心的存在,在熱帶氣旋中 心的低壓的上方必定存在著高壓區或反氣旋。熱帶氣旋中的空氣向風暴中心 做旋渦狀的輻合運動,到了風暴眼的壁處,風向變成近似於切線方向,並且 空氣非常迅速地上升,到了上面,又以反氣旋的形式向外吹,反氣旋可能正 好位於下面的氣旋之上。因此,熱帶氣旋的結構與其它氣旋是完全不同的, 熱帶以外地區氣旋的中心部位是一個冷的核心,它的上面也沒有一個高壓區存在。
分類
一個典型的熱帶氣旋的眼睛大約有30 - 65公里(20 - 40英里),通常位於風暴的幾何中心。眼睛可能是清晰的,或者是有斑點的低雲(清晰的眼睛),它可能是充滿了中低水平的雲(一個充滿了眼睛的眼睛),或者它可能被中央密集的覆蓋層所遮蔽。然而,很少有風和雨,尤其是在中心附近。這與眼壁的條件形成了鮮明的對比,後者包含了風暴最強的風。由於一種熱帶氣旋的機制,它的眼睛和空氣正上方的空氣比周圍的環境更溫暖。
雖然通常很對稱,但眼睛可以是長方形的和不規則的,特別是在減弱的風暴中。一個大的參差不齊的眼睛是一個非圓的眼睛,看起來是碎片的,是一個弱或減弱的熱帶氣旋的指示器。睜開的眼睛是一種可以循環的眼睛,但眼壁並沒有完全包圍眼睛,也顯示出一種減弱的、潮濕的旋風。通過Dvorak分析,這兩種觀測都被用來估計熱帶氣旋的強度。一般來說,的眼壁是圓形的;然而,從三角形到六邊形的明顯多邊形形狀偶爾會出現。
雖然典型的成熟風暴有幾十英里寬的眼睛,但快速增強的風暴會形成一個非常小、清晰和圓形的眼睛,有時被稱為針孔眼。有針孔眼睛的風暴在強度上容易發生大的波動,給預測者帶來困難和挫折。
小的/微小的眼睛——那些不到10個nmi(19公里,12英里)的眼睛通常會觸發眼球壁的替換周期,在最初的眼壁外形成了新的眼壁。這可能發生在距離內眼15到幾百公里(10到幾百英里)的地方。然後,風暴會形成兩個同心的眼壁,或“眼睛內的眼睛”。在大多數情況下,外部的眼壁在形成後不久就會收縮,它會從內眼上消失,留下更大更穩定的眼睛。當更新的周期趨向於減弱風暴時,新的眼壁很快就會收縮,因為舊的眼壁會消散,使風暴重新加強。這可能會觸發另一個重新加強眼壁替換的周期。
眼睛的大小可以從320公里(200米)(颱風卡門)到僅僅3公里(1.9英里)(颶風威爾瑪)。雖然大眼睛的風暴不常見,但它確實發生了,特別是在環狀颶風中。颶風伊莎貝爾是記錄歷史上最強大的北大西洋颶風,持續了幾天,長達65 - 80公里(40 - 50英里)。
形成原因
熱帶氣旋通常來自熱帶地區的大而混亂的天氣。隨著更多的雷暴形成和聚集,風暴形成的雨帶開始圍繞一個共同的中心旋轉。隨著風暴強度的增加,一圈較強的對流形式在一定距離內形成了風暴中心的旋轉中心。由於較強的雷暴和較強的降雨標誌著較強的上升氣流,地表的大氣壓力開始下降,空氣開始在氣旋的上層建築。這導致了上層反氣旋的形成,或者是位於中央密集覆蓋層之上的高氣壓區域。因此,大部分的空氣都是在熱帶氣旋的上方以反氣旋的方式向外流動。在形成的眼圈之外,大氣上層的反氣旋增強了向氣旋中心的流動,將空氣推向眼壁,並產生正反饋迴路。然而,在建築物向上的空氣中,有一小部分,而不是向外流動,向內流向風暴中心。這就造成了空氣壓力的進一步增加,以至於空氣的重量抵消了風暴中心上升氣流的強度。空氣開始在風暴中心下降,形成一個無雨的區域——新形成的風暴眼。
這個過程有許多方面仍然是個謎。科學家們不知道為什麼在循環中心周圍有一圈對流形式而不是在上面,或者為什麼上層反氣旋只會將部分多餘的空氣噴射到風暴上方。許多理論都存在於眼球形成的精確過程中:眾所周知,熱帶氣旋必須以眼睛的眼睛才能達到較高的風速。
眼睛的形成幾乎一直是熱帶氣旋組織和力量增強的指標。正因為如此,氣象學家們密切關注著風暴的發展,以尋找眼球形成的跡象。對於有清晰眼睛的風暴,探測眼睛就像看氣象衛星上的圖片一樣簡單。然而,對於用充滿眼睛的風暴,或被中央密集的覆蓋覆蓋的眼睛,必須使用其他的檢測方法。從船隻和颶風獵人的觀察可以通過觀察風暴中心的風速下降或降水不足來直觀地確定眼睛。在美國、韓國和其他一些國家,一個由NEXRAD都卜勒天氣雷達監測站組成的網路可以探測到海岸附近的眼睛。氣象衛星還攜帶測量大氣水汽和雲溫度的設備,這些設備可以用來識別形成的眼睛。此外,科學家最近發現,由於臭氧含量較高的平流層的空氣下沉,眼睛裡的臭氧含量要遠遠高於肉眼所能看到的數量。對臭氧進行測量的儀器,用於觀察上升和下沉的空氣柱,並提供眼睛的形成跡象,甚至在衛星圖像能夠確定其形成之前。
周期
風暴眼眼壁的替換周期,也稱為同心環,自然發生在強烈的熱帶氣旋中,通常風速大於185公里/小時(115英里/小時),或主要颶風(在saffiro - simpson颶風級別的第3級或更高級別)。當熱帶氣旋達到這個強度,而眼壁收縮或已經足夠小的時候(見上圖),一些外部的雨帶可能會加強並組織成一圈雷雨,這是一個外壁,它慢慢地向內移動,並將其所需的水分和角動量的內部的眼牆移動。由於最強的風位於氣旋的眼壁,熱帶氣旋通常在這一階段減弱,因為內牆被外牆“堵塞”。最終,外部的眼壁完全取代了內壁,而風暴又會再次強化。這一過程的發現部分地導致了美國政府的颶風修改實驗項目Stormfury的終結。這個項目開始在眼牆外播撒種子云,造成新的眼壁形成和減弱風暴。當發現這是一個自然的過程,由於颶風動力學,項目很快被放棄。幾乎每一場強烈的颶風在其存在期間至少會經歷一次這樣的循環。1980年的艾倫颶風經歷了多次的眼壁替換周期,在saffiro - simpson量表上的第5級和第3級之間波動了好幾次。颶風朱麗葉是一種罕見的有記錄的三重眼的病例。
護城河
在熱帶氣旋中的護城河是在眼壁外的一個清晰的環,或者是在同心的目鏡之間,以緩慢下沉的空氣和很少或沒有降水為特徵。護城河的氣流主要受拉伸和剪下的累積效應影響。眼壁之間的護城河是風暴的一個區域,在那裡,空氣的旋轉速度與風暴中心的距離成正比,這些區域也被稱為快速的絲狀區域。這些區域可能在任何足夠強度的漩渦附近被發現,但在強熱帶氣旋中最為明顯。在熱帶氣旋的目鏡下,眼球壁上有微小的旋轉特徵。在理論上,它們與在多渦龍捲風中經常觀測到的小“吸力渦”相似。在這些漩渦中,風速可能比其他任何地方都要大。在熱帶氣旋的集約化期間,的眼壁中膜是最常見的。在熱帶氣旋中,眼壁中區常常表現出不同尋常的行為。它們通常圍繞低壓中心旋轉,但有時它們保持靜止。甚至有記錄顯示,在暴風雨的眼角上,也會出現眼壁。這些現象在觀測、實驗和理論上都有記載。
龍捲風
在熱帶氣旋登入後,眼壁中環是形成龍捲風的重要因素。mesovorUNK可以在單個雷暴(mescyclone)中產生旋轉,從而導致龍捲風的活動。在陸地上,熱帶氣旋和陸地的環流之間產生了摩擦。這可以使中旋渦下降到地表,引起龍捲風。
備註
儘管眼睛是暴風雨中最平靜的部分,在中心沒有風,通常晴朗的天空,但在海洋中,它可能是最危險的區域。在眼壁,風動的波浪都在同一方向運動。然而,在眼睛的中心,波浪從四面八方匯聚到一起,形成了一個不穩定的波峰,可以相互建立,成為超級巨浪。颶風波的最大高度是未知的,但颶風伊萬颶風時的4級颶風估計,在靠近眼壁附近的波浪超過40米(130英尺),從波峰到波谷。
其他的風暴眼
雖然只有熱帶氣旋的結構被正式命名為“風暴眼”,但也有其他的天氣系統可以表現出類似眼睛的特徵。
極低點:
極地低壓是中尺度天氣系統,通常直徑小於1000公里(600英里),在兩極附近發現。就像熱帶氣旋一樣,它們在相對溫暖的海水中形成,並能表現出強風或強風的強烈對流和強風。然而,與熱帶風暴不同,它們在更冷的溫度和高緯度地區生長。它們也更小,持續時間更短,幾乎沒有超過一天的時間。儘管存在這些差異,但它們在結構上與熱帶氣旋非常相似,有清晰的眼睛,周圍有一層雨和雪。
溫帶氣旋:
溫帶氣旋是存在於不同氣團邊界的低壓區。幾乎所有在中緯度地區發現的風暴都是溫帶的,包括典型的北美地區和歐洲的風暴。其中最嚴重的是在最低氣壓的位置上有一個清晰的“眼睛”,儘管它通常被較低的非對流雲團包圍,在風暴的後端被發現 。
亞熱帶氣旋:
亞熱帶氣旋是具有一些溫帶特徵和一些熱帶特性的低壓系統。因此,他們可能有一隻眼睛,而不是真正的熱帶性。亞熱帶氣旋可能非常危險,產生強風和海洋,並經常演變成完全的熱帶氣旋。由於這個原因,國家颶風中心在2002年開始包括亞熱帶風暴的命名計畫。
龍捲風:
龍捲風是破壞性的,小規模的風暴,它產生地球上最快的風。有兩種主要的類型——單旋渦龍捲風,由單一的旋轉空氣柱和多旋渦的龍捲風組成,由小的“吸水旋渦”組成,類似於小型龍捲風本身,它們都圍繞著一個共同的中心旋轉。這兩種類型的龍捲風都是理論上可以讓人平靜的眼睛。這些理論由氣象雷達和目擊者描述的都卜勒速度觀測所支持。
![風暴眼[氣象學名詞] 風暴眼[氣象學名詞]](/img/f/d76/nBnauM3XyEDOygjNzMTM5ITN1UTM1QDN5MjM5ADMwAjMwUzLzEzL1gzLt92YucmbvRWdo5Cd0FmLzE2LvoDc0RHa.jpg)
