基本信息
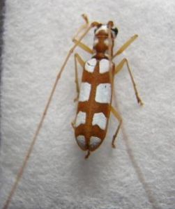
拉丁名:Olenecamptus octopustulatus chinensis Dillon et Dillon,1948分類地位:動物界 > 節肢動物門> 昆蟲綱> 鞘翅目 > 天牛科
保護級別:未列入
瀕危等級:數據缺乏
可信度:1級可信度
野生馴化:野生
水生陸生:陸生
中國分布
江蘇,浙江,湖北,湖南,福建,廣東,廣西識別特徵
八星粉天牛保護及保存現狀
自然野生主要用途和價值
環保與生態用途開發利用現狀
野生未開發利用保護建議
不詳鞘翅目(四)
| 鞘翅目通稱甲蟲。屬有翅亞綱、全變態類。具如下特點:體型大小差異甚大,體壁堅硬;口器咀嚼式;觸角形狀多樣,10-11節;前胸發達,中胸小盾片外露;前翅為角質硬化的鞘翅,後翅膜質;幼蟲為寡足型,少數為無足型等。 |
