簡介
線路工程是指長寬比很大的工程,包括鐵路、公路、供水明渠、輸電線路、各種用途的管道工程等。線上路工程遇到障礙物時,要採取不同的工程手段來解決,如遇山打隧道、過江河峽谷架橋樑等。根據定線設計把線路中心線上的各類點位測設到實地,稱為中線測量。線路工程的中心線由直線和曲線構成,中線測量就是通過線路的測設,將線路工程中心線標定在實地上。
意義
道路工程是土木建設工程的主要內容之一。修建一條線路,國家要花費大量的人力、物力、財力,為保證新建線路在國民經濟建設和國防建設中充分發揮其效益,故修建一條新線路一般要經過方案研究、初測和初步設計、定測等環節。其中,初測是為初步設計提供資料而進行的勘測工作,其主要任務是提供沿線大比例尺帶狀地形圖及地質和水文資料,導線測量是初步設計的關鍵環節。定測是為施工技術設計而進行的勘測工作,其主要任務是把上級部門已經批准的初步設計中所選定的線路中線測設到地面上去,並進行線路縱斷面和橫斷面的測量。
交點的測設
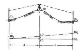
線路的轉折點稱為交點,它是布設線路、詳細測設直線和曲線的控制點。對於低等級的線路,常採用一次定測的方法直接在現場測設出交點的位置。對於等級高的線路或地形複雜的地段,一般先在初測的帶狀地形圖上進行紙上定線,然後實地標定交點位置。定線測量中,當相鄰兩交點互不通視或直線較長時,需要在其連線上測定一個或幾個轉點,以便在交點測量轉折角和直線量距時作為照準和定線的目標。直線上一般每隔 200~300m 設一轉點,此外,線上路與其他線路交叉處,以及線路上需設定構築物(如橋、涵等)時也要設定轉點。由於定位條件和現場情況的不同,交點測設的方法也需靈活多樣,工作中應根據實際情況合理選擇測量方法。
步驟
中線測量分為兩步進行:
①放線,把圖紙上定線的各轉向點間的直線測設到地面上,可將地面上的初測導線作為依據,或據圖紙上定線的轉向點坐標,預先在室內計算各線段的長度和轉向角,在實地按計算數據定出中線。
②中樁測設,線上路中線上測設百米樁、加樁、控制樁和曲線主點樁,它包括丈量線路的直線長度、詳細測設曲線以及按規定要求設定中線樁。中線樁不僅表征線路中線在地面上的位置和離開線路起點的里程,而且是測繪線路縱橫斷面的依據。
分類
線路直線段的測設
線路直線段的測設主要包括交點和轉點的測設,這個過程又稱為放線。放線的方法有多種,常用的有撥角法、支距法和極坐標法種。可根據地形條件、儀器設備及紙上定線與初測導線距離的遠近等情況,選擇一種或幾種交替使用。
線路圓曲線的測設
圓曲線主要用於專用線和行車速度不高的線路,該曲線的測設一般分步進行,先測設曲線主點,然後依據主點詳細測設曲線。圓曲線詳細測設常用的方法有偏角法、切線支距法和極坐標法。
線路緩和曲線的測設
緩和曲線是直線與圓曲線間的一種過渡曲線。它與直線分界處的半徑為無窮,與圓曲線相連處的半徑與圓曲線半徑相等。緩和曲線的插人和全曲線圓曲線的轉角及半徑密切相關,需要查詢道路規範綜合要素表確定緩和曲線的長度緩和曲線測設應連同圓曲線一起進行,也分為主元素的計算、主點測設和詳細測設3個部分。

