颶風登入
颶風“哈維”2017年8月30日,熱帶風暴哈維(Harvey)30日在德州和路易斯安那州交界附近再次登入,將帶來更多降雨。
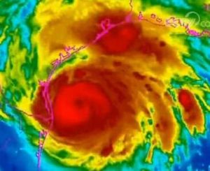
颶風影響
2017年8月26日,颶風“哈維”經12小時對美國南部沿海地區的肆虐,已造成德克薩斯州大面積斷電。截至當地時間8月26日清晨,“哈維”已逐步減弱,風力降至1級。自登入以來24小時內,已造成至少3人死亡,並在德克薩斯州和路易斯安那州引發洪澇和數場龍捲風等次生災害。
截至當地時間8月27日,哈維颶風在得州已經造成5人死亡,其中2人在休斯敦地區,3人在阿蘭薩斯縣(AransasCounty)。在得州的部分地區,救援和恢復工作已經開始展開,共有13000名軍人投入救援。
2017年8月29日,颶風“哈維”已在美國德克薩斯州造成至少7人身亡,預計將導致3萬人無家可歸。
2017年8月30日,颶風“哈維”已在美國德克薩斯州造成至少17人死亡,迫使數萬人離開遭淹沒的家園,造成的損失估計達數百億美元,使哈維成為造成最重大損失的美國天災之一。
截至當地時間2017年8月31日,襲擊美國德克薩斯州和路易斯安那州的颶風“哈維”已造成44人死亡,百萬人流離失所。
截至2017年9月1日,哈維已致10萬戶住宅損毀、3.2萬人被迫進入避難所、130萬人受災。美國總統特朗普宣布3日為全國祈禱日,以紀念在此次颶風和洪災中喪生的人們,為受災的人們祝福。
2017年9月2日,美國德克薩斯州,颶風“哈維”影響持續但逐漸消退,民眾也開始返家清理殘局整理家當。
救援措施
難民營美國總統特朗普宣布,由於“哈維”颶風登入,為保證在必要情況下立即提供聯邦援助,德克薩斯州進入自然災害狀態。
特朗普在推特上寫道“應得州州長要求,我簽署了有關宣布進入自然災害狀態的檔案,這將保證聯邦政府充分提供幫助。”此前,特朗普要求受颶風影響地區的居民遵守當地政府指示並確保全全。
拍攝照片
當地時間2017年8月25日下午17時左右,國際太空站拍攝到結構非常完整的颶風,畫面中只見一大團厚厚的雲層正不斷集結,看似要把整片陸地吞噬,場面壯觀。
國外捐款
2017年9月,颶風災情嚴重,唯一國外捐款來自中國台灣所捐的80萬美元。

