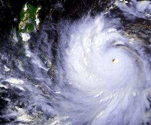
“高蓮“的衛星雲圖歷程
一股低氣壓於6月15日在加羅林群島附近形成,並先朝北,然後朝西移動,至6月19日成為熱帶風暴,並被命名為“高蓮”。6月23日,從衛星圖片中得悉高蓮的眼壁直徑達10英里,風速120km/h,高蓮因此被各地天文台升級為颱風,至翌日增強為一超強颱風,風速高達240km/h,最低氣壓為910hpa,增強耗時僅23小時。6月26日,高蓮吹襲菲律賓及進入南中國海,成為2級颱風,並繼續朝西北偏西移動,時速30公里,其後在廣東西部登入,並減弱為強熱帶風暴,至6月28日完全消散。
“高蓮”移動路徑圖影響
香港在香港,一號戒備信號在6月26日下午3時10分懸掛,此時高蓮集結在香港東南約740km。此時的天氣甚佳及酷熱,但天氣在晚間開始轉壞,東北風開始增強,隨著高蓮迫近華南沿岸,三號強風信號在6月27日早上3時30分懸掛,此時高蓮集結在香港東南約380km.處,惡劣天氣開始影響香港,八號東北烈風或暴風信號在7小時後懸掛,烈風或暴風的風力伴著大雨影響香港。隨著高蓮在中午後掠過香港正南方,風向轉為東至東南,天文台在27日下午4時30分,改懸八號東南烈風或暴風信號,此時高蓮集結在香港西南偏南170km。
高蓮於下午6時最接近香港,此時高蓮集結在香港西南160km.本港不少地區均在這時間前後錄得最強之風力,例如啟德機場在晚上7時測得最高平均風速達54km/h,長洲/青衣在晚上8時測得最高平均風速達110km/h及85km/h,其中青衣在下午3時45分測得最高陣風更屬全港最高,達175km/h。
隨著烈風逐漸減退,三號強風信號在下午10時25分取代八號東南烈風或暴風信號,此時它集結在香港西南偏西220km.隨著高蓮於午夜在陽江附近,所有熱帶氣旋警告信號在6月28日早上4時15分除下。
