雙紅葡萄的基本性狀
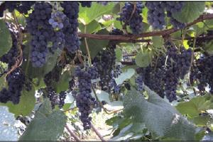
雙紅葡萄生育期127-135天。果穗平均重127.0克、果粒平均重0.83克、果穗長16.1cm、寬9.3cm。萌芽率88.90%、坐果率33.65%、結果枝率92.27%。結果係數2.19。基本不發生蟲害,不發生黑痘病、白粉病,不耐澇,耐肥性較好。在吉林市、內蒙古、黑龍江、遼寧等地栽培,漿果含可溶性固形物18.58%、總酸1.86%、單寧0.0861%。漿果出汁率66.7%。雙紅為兩性花新品種,生長勢強,具有一年壯苗,二年結果,三年豐產的特性,四至五年生每畝(按667平方米)可產鮮葡萄2500—3000公斤。“雙紅”成齡6年生樹每公頃平均產量達30噸。雙紅葡萄5月上旬萌芽,6月上旬開花,9月中下旬成熟,抗病、抗蟲害、抗寒性極強,適宜在年無霜期125天以上,冬季最低氣溫不低於-45℃的地區載培。
雙紅葡萄漿果果皮價值
雙紅葡萄漿果果皮紅色素色階在20-134之間,其平均含量是高粱紅色素含量的10餘倍。種子含油量為10%左右,出油率6.76%。此外,漿果還含有蛋白質、礦物質(鉀、鈣、磷、鐵)等營養元素。在目前已知含有具抗衰老、防癌治癌雙重醫療保健作用物質-白藜蘆醇的植物中,以葡萄屬植物含量為最高,並表現為隨著果皮顏色的加深而含量上升,雙紅葡萄是葡萄屬植物中果皮顏色最深的品種,雙紅葡萄漿果中含有豐富的白藜蘆醇同時,還含有豐富的具有軟化心血管作用的前花色苷物質。
雙紅葡萄雙紅糖酸適中,釀製的冰紅葡萄酒呈現深寶石紅色,具濃郁的蜂蜜和杏仁複合香氣,優質甜型葡萄酒:呈深寶石紅色;具有椴樹花香蜂蜜香、野草莓香、野山杏仁香、北方小漿果香氣、陳釀橡木香和青草香等諸多香氣融合;濃郁的甜中透出酸的氣息,構成了冰紅葡萄酒特殊的味感骨架。冰紅葡萄酒富含苦澀味物質源於酒中的多酚和單寧類化合物,多酚和單寧類化合物也使甜紅冰紅葡萄酒變得更醇厚、豐滿,突出了冰紅葡萄酒獨具特色的典型風格。雙紅以其品質好,產量高成為釀造山葡萄乾紅首選品種,雙紅葡萄酒,清亮,果香酒香明顯、協調,口味舒順,濃郁爽口,余香長,典型性好。
雙紅葡萄
雙紅葡萄
雙紅葡萄
雙紅葡萄