原料
白雲石是碳酸鈣和碳酸鎂的復鹽,分子式為CaCO3·MgCO3,六方晶系,比重2.80~2.99,莫氏硬度3.5~4.5,理論組成為 CaO30.41%、MgO21.87%、CO247.72%,CaO/MgO比為1.39。中國白雲石資源豐富,品質優良,其成分見表1。近年來,除採用天然白雲石砂作制磚原料外,還用海水和石灰乳製得的合成鎂質白雲石砂,製造優質鎂白雲石磚。
產地
灼減
SiO2
Al2O3
Fe2O3
CaO MgO
湖北烏龍泉
45.8 0.78 0.15
0.50
32.9 19.4
遼寧大石橋陳家堡
45.1
1.56
0.10
0.50
29.6
23.1
四川渡口中大水進
47.1
0.38
0.24
0.25
30.8
21.4
河北玉田
46.8
0.49
0.24
0.08
30.5 2 1.8
江蘇鎮江青龍山
45.1
1.40
0.46
0.46
31.9
21.0
正文
由煅燒過的白雲石砂製成的耐火材料製品。通常含氧化鈣(CaO)40%以上,氧化鎂(MgO)35%以上,還含有少量的氧化矽(SiO
)、氧化鋁(Al
O
)、三氧化二鐵(Fe
O
)等雜質。天然白雲石的CaO/MgO比波動較大,若磚中的CaO/MgO比小於1.39,則稱為鎂質白雲石磚。
白雲石磚按生產工藝可分為:焦油(瀝青)結合不燒磚、輕燒油浸磚和燒成油浸磚。白雲石磚含游離 CaO,在空氣中易於水化崩裂,不宜長期存放。
原料白雲石是碳酸鈣和碳酸鎂的復鹽,分子式為CaCO
·MgCO
,六方晶系,比重2.80~2.99,莫氏硬度3.5~4.5,理論組成為 CaO30.41%、MgO21.87%、CO
47.72%,CaO/MgO比為1.39。中國白雲石資源豐富,品質優良,其成分見表1。近年來,除採用天然白雲石砂作制磚原料外,還用海水和石灰乳製得的合成鎂質白雲石砂,製造優質鎂白雲石磚。
白雲石磚分為製備熟料和成磚兩個步驟。
熟料煅燒 白雲石礦石需先在1650~1850℃高溫下煅燒成緻密的白雲石砂。熟料的燒結程度,通常用顯氣孔率、體積密度、真比重和抗水化性來衡量。煅燒設備和煅燒制度主要有:
①以焦炭為燃料,採用豎窯煅燒。由於煅燒溫度一般只有1650~1700℃,且窯溫不易均勻;因此,煅燒質量較差,欠燒品較多。此外,由於焦炭灰分的摻入,製得的白雲石砂雜質含量高達6~10%。
②以重油為燃料,採用迴轉窯、豎窯煅燒。由於煅燒溫度高達1700~1800℃,窯溫均勻,無燃料灰分污染,因此質量良好。現在大多採用這種方法製取白雲石熟料。有時為了提高熟料的抗水化性和降低燒結溫度,還配加少量氧化鐵粉(一般<3%),磨成細粉,成球或壓坯,經高溫迴轉窯煅燒,製得所謂半穩定性白雲石砂。
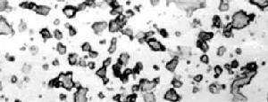
③二步活化煅燒。先將原礦經1000~1100℃輕燒,然後進行粉碎、消化〔加水生成熟石灰Ca(OH)
〕或部分消化、困料、壓坯等工序,所得的“活化料”再用無灰燃料煅燒;此時的燒結溫度可比未經活化處理的降低100~200℃,所製得的白雲石砂純度高,組織緻密,成分均勻,抗水化性強。所合成的鎂質白雲石熟料顯微結構見圖。
白雲石磚成磚 ①焦油結合白雲石磚:先將白雲石砂預熱或烘烤,一般粒度為8~30毫米的大顆粒烘烤到300~400℃,小於1毫米的細粉預熱到100℃左右,然後按一定的顆粒組成配料,再加5~7%經脫水的熱瀝青,在130~170℃條件下攪拌、機壓或振動成型製得。有時還需要經輕燒熱處理。
②燒成油浸白雲石磚:與焦油結合白雲石磚相比,主要不同點是極限顆粒較細,一般不大於10毫米;結合劑加入量較少,一般在3%左右,常用石蠟、無規聚丙烯等作結合劑。通常機壓成型後將磚坯在高溫隧道窯燒成。燒後磚體再經真空-加壓瀝青浸漬,即得燒成油浸磚。
成分和性能中國各類白雲石磚和鎂質白雲石磚的成分和性能見表2。
白雲石磚白雲石磚廣泛用於鹼性轉爐。中國轉爐爐襯主要使用焦油結合的白雲石磚和焦油結合的鎂質白雲石磚,有些工廠在易損部位使用輕燒油浸和燒成油浸鎂質白雲石磚。西歐和日本等國轉爐主要使用焦油結合熱處理的和燒成油浸的白雲石磚和鎂質白雲石磚。此外,燒成油浸鎂質白雲石磚還用作某些爐外精煉爐的內襯。

