發展歷史
4月17日,布里斯本熱帶氣旋警告中心為剛在珊瑚海北部形成的熱帶氣旋莫妮卡作出發報。4月18日,系統開始轉往西移動,並發展為“強烈熱帶氣旋”——在澳大利亞熱帶氣旋等級中的三級。莫妮卡的風眼在4月19日登入昆士蘭北部,在登入的過程中系統並沒有太大的減弱。
莫妮卡正在接近澳大利亞海岸4月20日,莫妮卡移過約克角半島(英語:Cape York Peninsula)歐魯昆(英語:Aurukun)西南重組,經過兩天穩定的增強過程,莫妮卡成為了五級熱帶氣旋。
當莫妮卡進入卡奔塔利亞灣,它繼續增強為南半球該風季最強的熱帶氣旋。在4月23日,莫妮卡在經過北領地的韋塞爾群島(英語:Wessel Islands),掠過人跡稀少的安恆地區(英語:Arnhem Land)。韋塞爾岬(英語:Cape Wessel)錄得70節(130公里每小時)的持續風速。
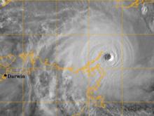
熱帶氣旋莫妮卡 路徑圖莫妮卡在近海繼續增強,在達爾文的熱帶氣旋警告中心報告莫妮卡的在協調世界時4月23日07時30分的最低氣壓為905百帕斯卡,陣風則高達350公里每小時,持續風速有135節(250公里每小時)。而一些非官方的德沃夏克法電腦自動分析的數據,得出莫妮卡的最低氣壓低至869百帕斯卡,這數字比颱風泰培的最低氣壓——870百帕斯卡還低,但注意颱風泰培870百帕斯卡的氣壓為實測數據,而對於莫妮卡最低氣壓的數值,則是單從衛星雲圖分析,可能與事實相去甚遠。
高級預報員大衛·亞歷山大(英語:David Alexander)說莫妮卡可能是他“所見過發展得最好的熱帶氣旋”另一位高級預報員戈爾頓·傑克森(英語:Gordon Jackson)則表示莫妮卡是“有史以來影響北領地最強烈的熱帶氣旋”,比1974年橫掃達爾文市的熱帶氣旋特蕾絲還要強。澳大利亞氣象部門的發言人邁克·伯金(英語:Mike Bergin)說莫妮卡可能是有史以來影響澳大利亞最強的熱帶氣旋。
莫妮卡在登入後急速減弱,在到達達爾文北方時,已減弱為低壓區。莫妮卡的殘餘曾在達爾文以西的帝汶海沿岸地區略為重組,重新增強至熱帶低氣壓的強度,中心持續風力約為45公里每小時。但莫妮卡沒有繼續增強至熱帶氣旋的強度,而轉向南移入內陸。
預防措施
莫妮卡威脅澳大利亞北部沿岸,令澳大利亞氣象局發出“高潮警報”,可能在部分近海地區引起廣泛水浸。澳大利亞氣象局並鳴響戈夫半島(英語:Gove Peninsula),包拾紐倫拜(英語:Nhulunbuy)的緊急警報器。全球最大鋁材製造商加拿大鋁業集團警告客戶,由於他們在戈夫半島的礦場運作可能會受風暴影響,部分貨品可能無法如期付運。
接近顛峰時刻的莫妮卡的色調強化紅外線雲圖在昆士蘭州,來自約克角半島一個土著部落的居民被安置到安全的地區。北領地較偏僻地區的一些居民被疏散或安置在避難中心,主要在紐倫拜。
4月25日莫妮卡開始減弱之前,氣象學家預料它會以三級熱帶氣旋的姿態襲擊達爾文市。協調世界時4月24日0530時,達爾文全市的避難中心全部開放,並預計人們會在第二天湧進入住。
力拓集團的一個鈾礦在4月24日暫停開採,作為“預防措施”。
影響地區
昆士蘭
莫妮卡沒有即時留下傷亡或損失,但它帶來的大雨在昆士蘭北部引起嚴重水浸。在莫妮卡的影響下,凱恩斯打破了當地4月550毫米的降雨紀錄。三個托列斯海峽群島人在海上漂浮22天后被救出 。
北領地
莫妮卡在馬寧格里達(英語:Maningrida,一個住了2600名土著的部落)的西北部登入。馬寧格里達機場錄得最高陣風達150公里每小時,並在協調世界時4月24日09時31分錄得最低氣壓986.4百帕斯卡,氣象站隨後在11時02分停止運作。一所學校的屋頂和其他幾幢建築物受損。
名字退役
2006年12月12日,澳大利亞氣象局宣布,莫妮卡的名字將會退役,不會再被用作澳大利亞熱帶氣旋的名字。

