絮狀石墨放大800倍球鐵中有時可少量出現。
團絮狀石墨是一種在可鍛鑄鐵中出現的主要石墨形態,外形較不規則,呈棉絮團狀。與團球狀石墨同屬緊密型絮團狀石墨。
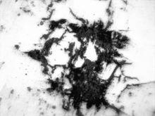
絮狀石墨放大800倍球鐵中有時可少量出現。
石墨鋼是超高碳過共析鋼,經過適當的熱處理,一部分碳以石墨形態析出。這種鋼主要依靠石墨起潤滑作用,是一種耐摩擦磨損的材料。根據碳含量的不同,可以有各種石墨...
介紹 製備考慮因素 套用 實例球墨鑄鐵是20世紀五十年代發展起來的一種高強度鑄鐵材料,其綜合性能接近於鋼,正是基於其優異的性能,已成功地用於鑄造一些受力複雜,強度、韌性、耐磨性要求較...
簡介 施工工藝 相關資料簡介 石墨的面積率可劃分石墨形態,面積率大於或等於0.81為球狀石墨;面積率0.80~0.61為團狀石墨;面積率0.60~0.41為團絮狀石墨;面積率0.40~0.10為蠕蟲狀石墨;面積率小於0.10為片狀石墨...
的白口鑄鐵經長時間石墨化退火而得到的具有團絮狀結果的石墨的鑄鐵。 3、石墨化...是一定成分的白口鑄鐵經長時間石墨化退火而得到的具有團絮狀石墨的鑄鐵...耐磨性。 可鍛鑄鐵的性能 團絮狀石墨大大減輕了石墨對基體金屬的割裂作用...
發展起源 結構分類 用途套用 注意問題使滲碳體分解為團絮狀石墨)而獲得可鍛鑄鐵件.化學成分:可鍛鑄鐵的化學成分...:鐵素體(F)+團絮狀石墨(G);珠光體(P)+團絮狀石墨(G)。用途...化學成分的鐵液澆鑄成白口坯件,經過石墨化退火,石墨主要呈團絮狀、絮狀,有時...
基本信息 簡介 生產過程 用途 性能。③可鍛鑄鐵。由白口鑄鐵退火處理後獲得,石墨呈團絮狀分布,簡稱韌鐵。其組織...的鐵碳合金。工業用鑄鐵一般含碳量為2%~4%。碳在鑄鐵中多以石墨形態存在...%~4.0%),碳主要以片狀石墨形態存在,斷口呈灰色,簡稱灰鐵。熔點低...
iron)斷口外緣為脫碳的表皮層,心部組織為鐵素體+團絮狀石墨的可鍛鑄鐵...奧氏體而逐漸消失,團絮狀石墨逐漸形成。第一階段結束時(到“2”點),組織為奧氏體(γ)加團絮狀石墨。這個階段所需的時問長短以自由滲碳體能全部分解完...
簡介 詳細信息定義 球墨鑄鐵是在熔煉過程中經過球化處理 , 使石墨形成球狀的一種鑄鐵...是由球狀石墨和金屬基體組成。在生產實踐中 , 鑄件常見的金屬基體為珠光體和...,在過共晶灰口鑄鐵中附加鈰,使其含量在0.02wt%以上時,石墨呈球狀...
定義 性能與套用 套用領域 汽車製造 歷史沿革球狀石墨形式存在的鑄鐵。(3)可鍛鑄鐵碳主要以團絮狀石墨形式存在的鑄鐵...奧氏體共晶團時開始。但是,全部液體向石墨和奧氏體過渡的時間可能比在同一...,這時也形成r麻口組織。一般在液體中石墨一奧氏體共晶團先產生和生長,而後萊...
概述 麻口鑄鐵組織形成 麻口鑄鐵的熱處理 鑄鐵分類