概念
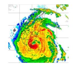
雷達回波綜合圖由當地的地圖和不規則的顏色塊組成,顏色從藍色到綠色、黃色、橙色、紅色到紫色,圖的旁邊有雷達站名、時間、和數據範圍,還有一條標示著數字的豎向的顏色條,從藍色到紫色數字漸大,並標有數字單位,為dBZ。dBZ的範圍是10—70DBZ。
在雷達圖上,顏色表示氣象雷達的回波強度,從藍色到紫色的漸進變化,代表回波強度由小到大,降雨強度逐漸提升。dBZ叫反射率因子單位,數值越高,代表降水強度越大。
一般而言,藍色回波對應的區域表示當地被降水雲系籠罩,但尚未出現降雨;綠色回波覆蓋的區域代表當地正沉浸在小雨之中;黃色到紅色回波覆蓋的區域有中到大雨;而紫色回波的區域降水強度最大,該地區正“淪陷”於暴雨、甚至大暴雨之中,並有可能伴隨雷電大風甚至冰雹等劇烈天氣。
用微機作區域雷達回波綜合圖
為了提高質量和減少人為誤差,提高拼圖速度並為今後建立強對流天氣自動監測系統作好準備,我們著手進行自動拼圖的研究工作,並獲得了較為滿意的初步結果。
拼圖範圍和格線大小
拼圖是以格線系統為基礎的數碼信息圖。在23—36°N、113—123°N的區域範圍內,凡頂高3km以上的氣象回波均能繪入綜合圖中。每個格線的行距為33.33km,列距為20km。在拼圖區域內橫向有5格,縱向有45格,共有2475個格線。
自動拼圖範圍內基本無盲區,是美國1978年拼圖範圍的2/5,基本上能適應實際需要。
雷達觀測報告電碼
所確定的電碼內容大體與現行電碼相似,主要是將回波廓線按回波強度分布編報。綜合圖格式主要考慮了直觀性強和使用方便兩個方面,電碼格式分為四個部分:
(1)識別段:(SDCI)YYGGy11111分別標誌日期、時間和站號。
(2)特徵段:8PSHH BBBRR ADDVV等分別標誌回波中心性質、強度、高度、位置和單體或群體的移向、移速。
(3)分布段:9ZZXX SSSSS等。編報200km範圍內各格線的回波強度。
(4)結束段:99999為結束標誌。
拼圖處理
圖1 程式流程框圖拼圖處理工具是記憶體64K的Z—80微機,配置了SR—6602型繪圖儀。軟體用BASIC語言編制。程式分為兩大部分,第一部分上要是按設計好的格式繪製底圖和表格,占記憶體為10K。第二部分是處理輸入的電碼,將處理結果送至繪圖儀繪製綜合圖,占記憶體7K。下面簡述第二部分程式段的設計情況。程式框圖見圖1。
在電碼處理程式段中,為提高出圖時效,節省記憶體,採取將電碼信息按字元串型式讀入處理的方式。電碼信息的處理按下列步驟進行:
(1)確寶本區域的雷達報是否按規定時間發出。
(2)判斷電報是否傳送完畢。
(3)處理特徵段電碼。主要是將電瑪中的P、S、HH、BBB、RR、A、DD、VV拆開分別賦入預先定義好的字元串數組或變數中去。
(4)按格線處理回波強度分布。電碼形式9ZZXX SSSSS…,9為指示碼,ZZ和XX為格線的行號和列號,SSSSS表示某五個格線內的回波強度。因規定區域內共有2475個格線,故定義了字元串變數,長度為2475個字元,來對應這2475個格線,其編號為1—2475,相應的字元串變數下標也為1—2475,每個雷達站探測的範圍均在這一組編號內。我們只要將回波強度信息按編號賦入對應的字元串變數中,即可進行拼圖處理。
以上電碼處理完後,再計算特徵點的經、緯度,然後再將處理好的信息送到繪圖儀,按照每一格線的坐標繪製回波強度分布圖,最後再填寫特徵點要素等。從輸入最後一份電報到開始繪圖,微機運行時間為20s,繪製回波強度分布圖及填寫特徵點要素10分鐘。從取樣到出圖55分鐘,比美國1978年拼圖慢4分鐘,比手工拼圖則速度大為提高。
雷達回波綜合圖的回波強度及其套用
雷達回波綜合圖反映降水實況時效快,圖象直觀,且圖上均標註有降水範圍、性質、強度、回波頂高度、降水區的移向移速及變化趨勢等,為台站開展短時天氣預報服務創造了有利的條件,一些台站在使用綜合圖時,注意結合本站的氣象要素找指標,或與天氣形勢配合分型找指標等,在實際工作中均收到了良好的效果。
回波的強度
當雷達發別的毛磁波在傳播過程中遇到雲滴、雨滴、冰晶等質點時,電磁波能錄就有一部份反射回來被雷達所接收,雷達所接收到的能量就稱之為回波功率,具體對某一部雷達來說,與雷達距離相同的兩塊降水區,階水大的回波功率也大,回波就強;反之就弱。但回波功率(Pr)不僅與降水強度有關,還和雷達機本身的參數、降水區離雷達的距離等因子有關。因此對於同一塊降水區使用不同的雷達,或在不同的距離上進行觀測,回波功率也將不同。這就是說,不能簡單地通過回波功率來測定降水強度。所以綜合圖上標註的“強、中、弱”是根據能反映回波強度及降水強度的雷達反射因子Z值大小來劃分的。
強度的套用
在套用綜合圖時應注意以下幾個問題:
(1)國家氣象局劃分的降水強度是一個瞬時概念,降水量與降水持續時間有關,測雨雷達能觀測到的只是降水的瞬時強度,要得到降水量還需對觀測到的降水強度進行時間積分。
(2)測站處於強回波區的前沿,降水時間長,降水量就大,測站處於強回波區的後沿降水量就小。
(3)降水量與回波區的充實係數有關:充實係數大的降水時間連續,降水量就大,否則就小。
(4)降水量與回波的變化趨勢有關:回波發展降水量就大,否則就小。
(5)降水量與回波形伏有關:回波呈絮狀降水量就大,回波呈塊狀局部地區的降水量大。
(6)降水量與回波性質有關:混合型和穩定性回波降水持續時間長,降水量就大。
(7)降水量與回波的移向移速有關:綜合圖上標註的移向移速是短時間內得到的,實際上移向移速也是隨時間而變化的。
(8)降水量與本站的氣象條件有關。
(9)綜合圖上標註的強度有一定的誤差,因為雷達探測時本身有一定的誤差。
以上提到的幾個注意問題,只是一般而言,其實它們之間是相互聯繫,相互影響。我們在使用中應綜合考慮這些指標,並要結合天氣形勢,物理參數等預報工具,進行綜合分析,才能收到更好的效果。

