病毒特性
形態學
從昆諾藜中提純的苜蓿花葉病毒病毒粒子呈桿菌狀或準等軸的長形,粒子的圓柱部分由六角晶格組成,兩端是等軸多面體結構,無包膜,有四種不同大小粒子,分別為B組分58nm x 18nm,M組分48nm x 18nm,Tb組分36nm x 18nm和
Ta組分28nm x 18nm。三種大粒子各包裹一條ssRNA,依次為RNA 1,RNA 2和RNA 3,小粒子包裹兩條RNA 4。
理化特性
幾種粒子的相對分子質量為6.9 x 10^6(B)、5.2 x 10^6(M)、4.3 x 10^6(Tb)、3.8 x 10^6(Ta),標準沉降常數S(20W)= 94S(B)、 82S(M)、73S(Tb)、66S(Ta)、60S(To)、53S(Tz),所有類型粒子在氯化銫中的浮力密度為1.37g/cm^3(不同粒子成帶密度不同),病毒在中性氯鹽中降解,在pH6 ~7時對胰核酸酶敏感,但不膨脹。
核酸
三分子線形正義ssRNA,RNA 1長3644nt,RNA 2長2593nt,RNA3 長2037nt,RNA 4為RNA 3的亞基因組RNA,長881nt。核酸約占病毒粒子重量的16%。
蛋白質
外殼蛋白由一種多肽組成,分子質量為24kDa。
基因組
苜蓿花葉病毒的基因組及其產物三分體基因組,每個病毒粒子包裹單拷貝的RNA 1(B組分),RNA 2(M組分)或RNA 3(Tb組分),Ta組分包裹兩條RNA 4分子。每個RNA片段的5'端為甲基化的帽子結構(m7G5'ppp5'Gp···),3'端既不是Poly(A),又不是tRNA狀結構,所有RNA分子3'端145nt為同源區。有4個ORF,其中RNA 1和RNA 2各含有一個ORF,分別編碼126kDa和90kDa的複製酶;RNA 3含有兩個ORF,5'端為與胞間運動有關的32kDa蛋白,3'端為24kDa的外殼蛋白,其中外殼蛋白由亞基因組RNA 4翻譯。除RNA 1,RNA 2,RNA 3外,亞基因組RNA 4也為侵染所必需的,亞基因組表達產生的外殼蛋白能專化性地結合RNA的3'端序列,從而被複製酶識別。基因組RNA是以全長負義RNA分子為模板,並在由P1、P2和細胞成分組成的與細胞質膜伴隨的結構中複製而成。亞基因組RNA是以RNA 3的負義RNA分子為模板,通過複製酶識別存在於胞間運動蛋白與外殼蛋白之間的非編碼區中的亞基因組啟動子而複製產生的。該屬苜蓿花葉病毒的RNA已測序。
抗原特性
病毒具中等免疫原性,各株系之間有血清學關係,同其他病毒無血清學關係。
細胞病理
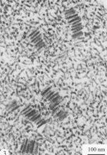
病毒存在於寄主植物葉片的表皮、葉肉、維管束薄壁細胞和轉移細胞,以及子房壁、芽托、花葯、胚子葉和花粉細胞內,大量病毒粒子積累於細胞質中,分散狀遍布整個細胞質,往往濃度很高,有時可形成並行排列的桿菌狀粒子聚集體,分散或聚集的病毒粒子有時也在液泡中發現。細胞核往往呈現高度突起的分枝狀,次級液泡數量增加,也觀察到含細纖維物質的小泡結構位於液泡膜邊緣,突入到中央液泡中。有報導對首蓓花葉病毒不同株系侵染寄主24小時後進行細胞病理觀察,其中有7個株系只產生散布的病毒粒子,其他13個株系既有散布粒子又有聚集體,只有某些株系的粒子處在液泡中,形成液泡內含體。雖然無確切證據顯示病毒破壞細胞器,但有報導一些株系的細胞核記憶體在長形結構。葉綠體的形態發生變化,病毒粒子也出現在葉綠體內陷中,但不在任何細胞器內。線粒體、微體和高爾基體未產生明顯的結構變化。
苜蓿花葉病毒 | 苜蓿花葉病毒 | 苜蓿花葉病毒 |
| 感染苜蓿花葉病毒的寄主植物細胞,細胞核呈極度突起的分枝狀,大量病毒粒子積累在細胞質中。 | 感染苜蓿花葉病毒的克里夫蘭菸葉片細胞中密集分布的病毒粒子。 | 一些長的桿菌狀粒子形成規則排列。CH,葉綠體;G,高爾基體;M,線粒體;N,細胞核;V,病毒粒子。 |
生物學
寄主範圍
寄主範圍非常廣,自然發生在許多草本和木本植物上,包括許多豆科植物,能侵染51個科的430種雙子葉植物,其中具有經濟價值的重要寄主有苜蓿、三葉草、豌豆、馬鈴薯、菸草、辣椒、番茄和芹菜等。
傳播
病毒至少可被14種蚜蟲以非持久方式傳播,在苜蓿、大豆、亞力山大車軸草、辣椒上可以種傳,苜蓿種傳率10%,從單株病株獲得的種子傳毒率達50%,辣椒種傳率1%~5%,假酸漿種傳率23%,病毒易經汁液摩擦傳播。
地理分布
世界範圍廣泛分布。
分類
該屬僅苜蓿花葉病毒一個種,中國已報導在三葉草類植物和苜蓿類作物,以及馬鈴薯等豆科作物,菸草、番茄、辣椒等茄科作物上該病毒發生嚴重危害。
| 中文名 | 學名 | 國際基因庫登錄號碼 |
| 苜蓿花葉病毒 | Alfalfa mosaic virus(AMV) | [L00163,K02792,K02730] |

苜蓿花葉病毒
苜蓿花葉病毒
苜蓿花葉病毒 