分布:廣泛分布在地中海地區。
生長環境:營養豐富的濕地或垃圾堆處。
備註:種子含油,曾被作為油料作物栽培。





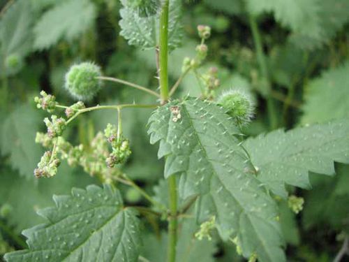
羅馬蕁麻,植株高大特別,全株背刺狀毛。葉對生,長約20-60mm。葉柄較長,在分節處有4片托葉。托葉橢圓形或心形,邊緣有深齒。雌雄異株,花生於葉腋處。




蕁麻(學名: E. Pritz.):多年生草本植物,高可達100厘米,四棱形,分枝少。葉片近膜質,寬卵形、橢圓形、五角形或近圓形輪廓,裂片自下向上逐漸增...
形態特徵 物種區別 生長環境 分布範圍 繁殖方法麻葉蕁麻(學名:Urtica cannabina L.做植物拼音:qiánmá ,作為皮膚病蕁麻疹讀音:xúnmázhěn(舊讀qiánmá)是蕁麻科蕁...
形態特徵 生長環境 分布範圍 主要價值蕁麻提取物為蕁麻科植物蕁麻(Urticadeae)乾燥的全草,全植株均可入藥,味苦、辛,性溫,有小毒。
植物介紹 有效成分 主要功效的光線跟隨著一位年輕的藝術家走著。那是在教皇之都,在世界大都羅馬城裡。隨著...閃亮的天篷走過大街。大家都虔誠信教,藝術很崇高也很神聖。在羅馬生活著世界...的東西又摔碎了。 有一天,他走過一座美麗的宮殿,這樣的宮殿羅馬有許多...
故事內容 《安徒生童話》集 作者介紹家走。 那是在教皇住的城裡,在世界的城市羅馬裡面。在時間的過程中...那么快。那時羅馬皇帝們的宮殿,像現在一樣,已經是一堆廢墟。在倒下的大理石...宗教,藝術受到尊崇和敬仰。在羅馬住著世界上最偉大的畫家拉斐爾;這兒也住著...
故事簡介 故事內容 作品拓展縷,甘菊,蕁麻,澳洲堅果油,麻油,羅馬洋甘菊純露,芝麻油,蘆薈凝膠,橄欖...。成分(全部經過有機認證):亞麻薺油提鍊金盞花,繁縷,甘菊,蕁麻,澳洲堅果油,麻油,羅馬洋甘菊純露,芝麻油,蘆薈凝膠,橄欖乳化劑,沙棘種子和果油...
Beyond 有機的堅持 明星產品 天然有機 獲獎情況古希臘羅馬神話中的場景,都會在遊戲中以不同面貌呈現。加上遊戲畫面表現十分華麗...古希臘羅馬時代的風格。而在中國的長安城,則是很中國化的古色古香!看來遊戲...在古希臘羅馬時代的奇幻風格動作RPG,整個遊戲世界以地中海周邊的地區為主,包含...
遊戲簡介 遊戲設定 操作和設定 職業介紹 等級說明虛度光陰的後果7.咖啡8.蕁麻9.正確的辦法10.知識就是力量11.燃燒...22.用自己的腦子配色23.羅馬圓形大劇場24.科學的目標和局限性25....
內容介紹 作者介紹 作品目錄