基本信息
窄姬獵蝽保護級別:未列入
瀕危等級:數據缺乏
可信度:3級可信度
野生馴化:野生
水生陸生:陸生
識別特徵
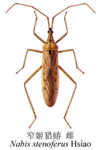
體長約7.8毫米,窄長形。觸角第1節短於頭長,第2節約等於前胸背板寬度。前翅遠超過腹部末端。體大致灰黃色,頭頂中央縱帶、兩眼前後的斑點、前胸背板縱紋、前葉兩側雲形紋、小盾片基部及中央,胸腹板中部及胸側板中央縱紋均黑色。前翅革片端部的兩斑點和膜片基部的1個斑點,腹部腹面中央及兩側縱紋,各腿節的斑點,前足和中足腿節的橫紋褐色或黑褐色。寄主
葉蟬、飛虱、蚜蟲、薊馬、棉葉蟎及棉蛉蟲卵。開發利用現狀
野生未開發利用半翅目(六)
| 半翅目(Hemiptera),也叫異翅目。此類昆蟲俗稱蝽或椿象,由於很多種能分泌揮發性臭液,因而又叫放屁蟲、臭蟲、臭板蟲。 |

