簡介
瓜維奧壩(GuavioDam)位於哥倫比亞孔迪那馬卡省的瓜維奧河口,在首都波哥大(Bogota)市東北80km處。大壩為斜心牆土石壩,最大壩高247m。水庫總庫容為9億m3,其中有效庫容7.53億m3,水電站裝機容量為1600MW,多年平均年發電量57億kW·h。
位置
壩址處於峽谷,谷深約600m。壩址為古生代石英岩、泥質岩和灰質岩地層,壩頂處為白堊系與古生代的不整合接觸,即頁岩與灰岩形成互層,灰岩明顯發生溶蝕。兩岸有順河向卸荷裂隙。地屬熱帶型氣候,降雨量大,最高月降雨600mm以上,年平均氣溫18℃。
建築指標
工程主要建築物大壩、泄洪隧洞、引水系統和廠房等。大壩為斜心牆土石壩;泄洪隧洞設在右岸,進口有2孔,裝有
瓜維奧壩布置圖高14m、寬10m的弧形閘門,下分2個隧洞,最大泄量為4500m3/s;在兩岸各布置1條引水入庫隧洞,將貝塔斯河和奇沃爾河水引入水庫,直徑均為4m,引水流量為9m3/s。引水發電隧洞1條,布置在右岸,直徑8m,上段長13.3km,下段長1.5km,中間豎井高505m。廠房設在地下,埋深560m,主廠房長210m、寬18m、高37m,共安裝8台機組,一期安裝5台,單機容量為200MW。
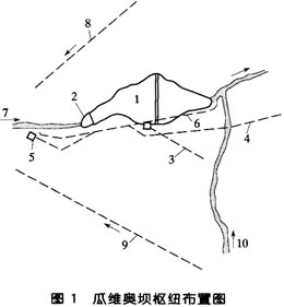
大壩壩頂高程1640m,壩頂長390m,上游壩坡1:2,下游壩坡1:1.8,心牆採用砂質土料填築,壩體總體積為1776萬m3,樞紐布置和大壩剖面見圖1、圖2。
設計
大壩設計中考慮的主要問題①由於壩肩岩層組成不一,兩類岩石的變形模量差別很大,不適宜傳遞巨大推力到兩岸,
瓜維奧壩橫剖面圖故不採用拱壩而採用土石壩;②為利用上游壩殼的重力作用,使心牆處於承壓狀態,確定防滲體採用斜心牆;③為保證心牆的整體性,防止不均勻沉降或水力劈裂造成集中滲流,在斜牆下游側設定了雙反濾層;④在心牆下游與地基相接處設反濾層,覆蓋橫貫心牆的大節理及地層變化帶,避免可能發生的管涌;⑤靠近心牆底面和兩岸壩肩填築一層塑性好的黏土料;⑥上游壩殼剖面設計考慮了心牆的變形和右壩肩心牆上游處鬆散山麓堆積層所產生的變形,同時為不改變右壩肩穩定的天然狀態,對該堆積層不作清除處理;⑦大壩抗震穩定核算採用加速度0.23g。
選料
築壩材料選用心牆料用礫質土料,由於含水量高出最優含水量較多,故需翻曬處理降低含水量;由於當地無天然砂礫料,反濾料全部用人工軋制的砂和碎石料,按一定級配製備。壩殼外部石料用風化和稍含泥的石英岩、泥質岩及石灰岩,斜心牆的中部壩殼則用堅質清潔的堆石料。
壩基處理在河床部位要求心牆和反濾層放在基岩上,並做混凝土墊座,使心牆與基岩隔離。在心牆混凝土墊座處做固結灌漿和帷幕灌漿,帷幕最深為120m。
壩殼填築可全年施工,平均年強度為212.5萬m3;心牆填築由於對含水量的要求,全年僅6個月施工,填築最高日強度為1.03萬m3。
工程於1981年開工,1989年大壩建成。1992年第一台機組投產發電。
地質特點
瓜維奧壩位於哥倫比亞孔迪納馬卡省的瓜維奧(Guavio)河上,在首府波哥大(Bogota)東北約80km處。大壩為高斜心牆土堆石壩,最大壩高250m。水庫庫容為9.0億m3。電站總裝機160萬kW,年發電量為57億kW·h。工程主要目的是發電,1981年開工,1989年8月大壩建成,1992年年中第一台機組投產發電。
庫區地層為中生代頁岩、砂岩和灰岩,壩址及發電隧洞上段為古生代石英岩、泥質岩和灰岩;發電隧洞下段及地下廠房區為中生代頁岩、砂岩和礫岩;尾水隧洞區為中生代砂岩和頁岩。
壩址所在地區為一峽谷,河谷深達600m。峽谷下半部由古生代地層組成,上半部由白堊系地層組成。白堊系地層與古生代地層呈不整合接觸。
在峽谷地表附近,在古生代岩層上方發現了一處古生代滑坡。滑坡體由基質膠結的岩塊組成,局部有蝕變和透水現象,用水泥灌漿對其作了處理。
鄰近壩頂處,白堊系頁岩與若干灰岩層形成互層;灰岩已明顯發生溶蝕。由於地表岩層已經風化,決定予以挖除,開挖深度為5~20m。
壩基未發現有任何斷層,僅在左壩肩上部有幾處小褶皺。峽谷兩岸陡峭,發現沿岸有一些與河流平行的卸荷裂隙。
工程區屬熱帶型氣候,分旱季(12月~次年2月)和雨季(3~11月)。最高月降雨600mm以上,最高日降雨達180mm,年平均溫度約18℃。壩址處多年平均流量62m3/s。水庫總庫容9億m3,有效庫容7.56億m3,水庫全長14km,水庫面積15.30km2。
樞紐布置
工程主要建築物包括大壩、泄洪道、引水隧洞、發電隧洞和廠房等。
大壩為斜心牆堆土石壩,壩頂高程為1640m,最大壩高250m,壩頂長390m,上游壩坡1∶2.0,下游壩坡1∶1.8。壩體心牆採用砂質土料填築,體積為180萬m3,壩體反濾層130萬m3,堆石體1360萬m3。大壩總體積為1776萬m3。
泄洪道布置在右岸,泄洪能力為4500m3/s,控制閘室高34m,設有2扇寬10m、高14m的弧形閘門。閘門後為2條鋼筋混凝土襯砌的隧洞,長度分別為470m和505.6m。洞底坡度為6%,剖面為馬蹄形,高和寬均為10m。
在左右岸各布置有一條引水入庫隧洞,長2.2km,直徑4m,可將巴塔塔斯(Batatas)河和奇沃爾(Chivor)河河水引入水庫,入庫水量平均可增加9m3/s,使入庫流量達71m3/s。
右岸布置了一條發電引水隧洞,直徑為8m,由長13.3km的上段、高505m的壓力豎井和長1.5km的下段部組成。在其進口下游300m處還設有蝶形閥,用於關閉隧洞。
右岸地下廠房埋深560m,主廠房洞室長200m、寬18m、高57m,廠房內共安裝8台機組,分兩期安裝,第一期安裝5台,每台20萬kW。水輪機採用5台噴嘴衝擊式水輪機,在水頭1093m條件下,額定出力為22.4萬kW;水頭1140m時最大出力26.1萬kW。額定轉速450r/min,水輪機安裝高程為483.41m。發電機額定容量為27萬kVA,功率因數0.85。定子和轉子採用密閉循環空氣冷卻,發電機安裝高程為494.41m。廠房內還設有2台200t的橋機。變壓器室與廠房平行,長200m、寬14m、高21m,每台發電機配置有3台單相變壓器,每台額定容量為9萬kVA。電站尾水隧洞直徑為8m、長5km、尾水流入瓜維奧河。
工程施工
瓜維奧壩因導流隧洞進口曾發生過風化層滑坡事故,死亡150人。為了安全將岸坡覆蓋層全部清除到基岩,在河床部位要求心牆和反濾層放在基岩上,在清除7~10m厚的沖積層後即噴漿保護,並做一混凝土墊座,使心牆與基岩隔離,混凝土墊座厚度隨地形起伏而變,最小厚度為80cm,最大厚度達500~600cm。混凝土墊座未向兩岸延伸,在河床和兩岸壩頭接觸面處均不設齒牆、齒槽,也未設灌漿廊道。灌漿工作都在心牆填筑前完成,採用露天灌漿。在心牆混凝土墊座處作固結灌漿,孔距為3m。帷幕上游的孔深12m,下游孔深8m,灌漿壓力不大於0.3MPa。當吸漿量超過50kg/m時需要加密灌漿孔。固結灌漿孔總長為3.65萬m,平均吸漿量為165kg/m。一般孔深為80m,兩岸上部最小為25m。防滲帷幕在下部2/3隻設1排孔,上部1/3設3排孔。另在岸坡帷幕下游岩體中各設定2個排水洞,其支洞平行於壩軸線,形成垂直於滲流向的排水幕。
壩殼填築全年進行,堆石填築速度最高達37000m3/d,平均21500m3/d。心牆填築施工因材料含水量規定嚴格,故只能在12月~次年4月的旱季進行,其填築速度最高達10300m3/d,平均3500m3/d,每個旱季可填築67萬m3。
大壩填築材料主要來自巴塔塔斯(Batatas)採石場。該料場位於壩址下游不遠處的狹窄支流上,最高月開採量為53萬m3(1987年7月),平均月開採量28萬m3。工程地下開挖總長20901m,總體積82.1萬m3,最小截面45m2,最大截面120m2,採用Atlas Copco H-170與H113二臂和三臂鑽機、Tamrock二臂鑽、Emcoceno平鏟、自卸卡車等。混凝土澆築總方量為13萬m3,土方運輸採用CAT769-C自卸卡車和DJB25-C型自卸卡車。砂石軋制廠供料(1988年平均月產量)6萬m3,其中砂1.2m3,石料4.8萬m3。施工中職工為數最多在1985年5月,達1800人。
