概述
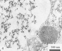
提純的玉米雷亞朵非納病毒的底部組分模式種
玉米雷亞朵非納病毒(Maizerayadofinovirus)病毒特性
形態學病毒粒子為等軸對稱的二十面體,無包膜,直徑為28~32nm,在電鏡下蛋白亞基排列提純的玉米雷亞朵非納病毒的頂部組分
明顯易見,通常存在著中空粒子。
理化特性
相對分子質量為5.7×10^6,經純化的病毒粒子存在兩種組分,頂部組分(無RNA)的標準沉降常數S(20W)=52s(47~57S),在氯化銫中的浮力密度為1.26~1.28g/cm^3,底部組分的標準沉降常數S(20W)=120S(118~124S),在氯化銫中的浮力密度為1.42~1.46g/cm^3。
玉米雷亞朵非納病毒粒子現於細胞質和液泡中核酸
單分子線形正義ssRNA,長6000~7000nt,相對分子質量2提純的玉米雷亞朵非納病毒的底部組分.0~2.4×10^6。核酸約占病毒粒子重量的25%~30%。
蛋白質
狗牙根蝕紋線病毒含有一種主要外殼蛋白,分子質量為27kDa。玉米雷亞朵非納病毒含有一種主要外殼蛋白,分子質量為22kDa,一種相關的次要蛋白分子質量為28kDa。燕麥藍矮病毒的主要外殼蛋白和次要蛋白分子質量分別為21kDa和24.4kDa。基因組
單分體基因組,燕麥藍矮病毒的基因組RNA編碼一個227kDa的多聚蛋白,包含有甲基轉移酶、類似木瓜蛋白酶、解鏇酶和聚合酶基序單元,在多聚蛋白C末端的21kDa外殼蛋白可能由亞基因組RNA翻譯,而24kDa蛋白可能由227kDa多聚蛋白切割產生。燕麥藍矮病毒和玉米雷亞朵非納病毒都含有一個主要外殼蛋白和一個次要蛋白。該屬僅燕麥藍矮病毒的RNA全序列已燕麥測定,模式種玉米雷亞朵非納病毒尚無基因組全序列數據。抗原特性
病毒具有中等免疫原性,玉米雷亞朵非納病毒與燕麥藍矮病毒無血清學關係,而狗牙根蝕紋線病毒與玉米雷亞朵非納病毒、燕麥藍矮病毒間存在血清學關係。細胞病理
有關病毒在寄主植物細胞內的超微結構了解較少。病毒主要存在於玉米雷亞朵非納病毒粒子現於細胞質和液泡中綠色組織及韌皮部薄壁細胞中,球形病毒粒子與無定形物質散布在大液泡內,在細胞質中也可看到零星分布或呈排的粒子,有的呈結晶狀排列。在燕麥藍矮病毒侵染的燕麥韌皮部細胞內產生大的病毒結晶體。病毒粒子還可在介體葉蟬的組織中觀察到。生物學
寄主範圍玉米雷亞朵非納病毒的寄主限於禾本科植物,玉米和墨西哥玉米是重要的自然寄主。燕麥藍矮病毒寄主範圍較廣,可侵染7個科的單子葉植物和雙子葉植物。
傳播
自然界病毒由葉蟬傳播,玉米雷亞朵非納病毒可在介體內增殖。病毒不能經汁液接種傳播,但玉米雷亞朵非納病毒有通過維管束穿刺傳播的報導。地理分布
主要分布於中美洲、南美及加勒比島的一些國家。分類
該屬有3個種,模式種是玉米雷亞朵非納病毒,中國尚無報導。中文名學名國際基因庫登錄號碼
狗牙根蝕紋線病毒Bermudagrassetched-linevirus(BELV)-
玉米雷亞朵非納病毒Maizerayadofinovirus(MRFV)[U97717~U97730]
燕麥藍矮病毒Oatbluedwarfvirus(OBDV)[U87832]
