基本信息
中文學名:熱茄孢小單孢菌拉丁學名:Micromonosporathermoauberginospora
參考文獻:微生物學報23:292-294,1983。

形態特徵
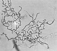
在一般培養基上生長較差、緩慢、旺期約在10-15天。基絲髮育好,有兩種菌絲。一種菌絲彎曲,末端膨大成無色透明細胞,15天左右伸長成菌絲體;另一種菌絲為生孢子菌絲,7天左右沿菌絲交替生出孢子。孢子茄形、梨狀,0.4-0.8微米,表面光滑,有短柄。性狀特徵
高氏合成1號瓊脂:無孢子層。基絲金鶯黃色至凋葉棕色。在大部分培養基內無可溶色素。甘油硝酸鹽瓊脂:孢子層黑褐色。基絲3天金黃色,7天褐色。可溶色素淡褐色。澱粉加B族維生素瓊脂:孢子層黑色。基絲山雞褐色。燕麥粉瓊脂:無孢子層。基絲軟木黃色。明膠不液化。牛奶不凝固,不腖化。澱粉水解。纖維素上生長好。不產生類黑色素、酪氨酸酶和H2S。28℃培養10天生長微弱;32℃生長弱;45℃生長中等;52℃為生長適溫;55℃生長;10℃和60℃不生長。細胞壁化學組分Ⅱ型,含內消旋二氨基庚二酸、甘氨酸以及微量半乳糖。
形態描述
在一般培養基上生長較差、緩慢、旺期約在10-15天。基絲髮育好,有兩種菌絲。一種菌絲彎曲,末端膨大成無色透明細胞,15天左右伸長成菌絲體;另一種菌絲為生孢子菌絲,7天左右沿菌絲交替生出孢子。孢子茄形、梨狀,0.4-0.8微米,表面光滑,有短柄。討論
代表菌株:T524,分離自雲南省思茅縣牛糞。盤點世界上的微生物(一)
| 微生物是包括細菌、病毒、真菌以及一些小型的原生動物、顯微藻類等在內的一大類生物群體,它個體微小,卻與人類生活關係密切。涵蓋了有益有害的眾多種類,廣泛涉及健康、食品、醫藥、工農業、環保等諸多領域。 |
