颱風浣熊 (2008年)
簡介
颱風浣熊(英語:TyphoonNeoguri,菲律賓大氣地理天文部門:Ambo,國際編號:0801,JTWC編號:02W,台灣、港澳譯作浣熊)是2008年太平洋颱風季的一個熱帶氣鏇,也是自1949年以來最早登入華南地區的熱帶氣鏇。
浣熊於4月13日在菲律賓棉蘭老島以東形成,進入南中國海後迅速增強,16日由日本氣象廳升格為颱風,18日強度達到其巔峰並轉向北移動,在海南東面海域近距離掠過(中國中央氣象台認為系統在當晚10時半在海南島文昌市龍樓鎮登入)。浣熊登入前迅速減弱,最終以強烈熱帶風暴的下限強度(每小時90公里)於19日下午登入廣東省陽江市陽東縣東平鎮。
名稱由來
“浣熊”是由韓國提供的名字,指的是“浣熊”這種動物,其生性靈巧,身體細小,呈灰啡色,面上有黑色斑紋,有粗的毛尾。香港學者姚德懷指將"Neoguri"翻譯成“浣熊”是錯誤,正確應是“貉”。
路徑
2008年颱風浣熊路徑圖 浣熊於4月13日於菲律賓杜馬格特之東形成,初時向西北偏西移動,穿越菲律賓,並於翌日增強為熱帶風暴。其後於4月16日上午增強為強烈熱帶風暴,轉向西北偏北移動,並於下午增強為颱風。
浣熊於4月18日穿越海南島以東海域,轉向北移動,強度稍為下降。當晚浣熊掠過海南島以東海域(中國中央氣象台認為浣熊在海南省文昌市的龍樓鎮登入),並減弱為強烈熱帶風暴。
浣熊於4月19日下午在陽江附近登入並減弱為一個熱帶風暴,轉向東北偏北移動。當晚浣熊轉向東北移動,移入廣東內陸,並繼續減弱,與浣熊相關的雨帶為華南地區帶來狂風大雨。翌日凌晨浣熊減弱為一個熱帶低氣壓,並於早上減弱為低壓區,由於浣熊在登入減弱後,廣東省大部份大部份地區氣溫升了攝氏5度以上,所以有氣象局指浣熊其後在廣東內陸轉化為溫帶氣鏇,而有關的暖鋒也穿越珠江三角洲,是歷史上少有的熱帶氣鏇會在緯度不足30度的熱帶區域能轉化為溫帶氣鏇(上一次為2004年的強颱風南瑪都),而香港天文台則指浣熊在廣東內陸消散。
影響
海南
颱風浣熊於4月18日當地時間晚上10時半,在海南省文昌市的龍樓鎮登入,中心附近最大風力有11級(但當時只有中國氣象局把浣熊降格為強烈熱帶風暴),成為中華人民共和國建國以來歷年登入華南地區最早的颱風。海南省採取防風措施,緊急轉移12萬人,有近22000艘船回港避風;瓊州海峽停航,海口美蘭國際機場昨晚9時半前停止飛機升降,有76班機受影響停飛,近3000人滯留。另外,3艘漁船在西沙北礁避風時失蹤,船上有56名漁民,南海救援中心派船前往搜救。
颱風浣熊自1949年最早登入中國的颱風,打破1971年5月3日颱風利奧最早登入中國的熱帶風暴。
香港
當地發出之最高熱帶氣鏇警告信號:
三號強風信號
香港天文台於4月17日下午4時15分發出一號戒備信號 ,當時浣熊集結於香港之西南偏南約730公里 。這是香港2008年首次發出熱帶氣鏇警告信號,亦是自1999年以來,首次於4月發出一號信號。在東北季風及浣熊的共同影響下,當日入夜後風勢逐漸增強,翌日離岸及高地吹強風,氣溫亦下降。隨著颱風浣熊逼近,香港天文台4月18日下午8時40分發出三號強風信號,當時浣熊集結於香港之西南約450公里 。這是二次大戰以來最早的三號信號。
浣熊在4月19日凌晨減弱為強烈熱帶風暴,香港天文台預料浣熊會進一步減弱。按照香港天文台預測途徑,浣熊將會繼續接近香港。香港當日大部分時間會吹強風。三號強風信號亦會在當日大部分時間維持生效 。下午浣熊在陽江附近登入並減弱為一個熱帶風暴,香港天文台因此表示發出八號烈風或暴風信號的機會相對降低 。當日下午香港廣泛地區受強風影響,離岸及高地間中吹烈風。維多利亞港內亦普遍吹強風,啟德、中環碼頭及九龍天星碼頭測得的最高一小時平均風速分別為每小時45、43及41公里 。港外方面,橫欄島及長洲測得的最高持續風速皆為每小時84公里。
在浣熊相關雨帶影響下,香港天文台於4月19日下午1時半發出雷暴警告,並於下午4時40分發出黃色暴雨警告信號。由於雨勢迅速增強,天文台在下午5時10分發出紅色暴雨警告信號;雨勢在2小時後進一步增大至豪雨程度,天文台在晚上7時15分發出黑色暴雨警告信號。與浣熊相關的雨帶為華南地區帶來狂風大雨,為香港大部分地區帶來超過70毫米雨量。在大雨影響下,天文台分別於下午6時54分及下午7時10分發出新界北部水浸特別報告及山泥傾瀉警告。在三號強風信號下,西區摩星嶺道50號對開有大樹倒塌,無人受傷。浣熊相關強烈雨帶掠過後,香港境內豪雨程度急劇減弱,天文台在晚上9時半直接取消所有暴雨警告信號,是繼2001年9月1日至2日豪雨以來,首次由黑色暴雨警告信號直接取消。
由於天氣惡劣關係,多個貨櫃碼頭陸續暫停吉櫃交收服務。另外,兩班分別由台灣及上海前往澳門的客機及貨機,要轉飛往香港,原定在中午由上海浦東來港的中國東方航空公司MU505班機要轉飛廈門。機管局表示,至4月19日下午5時,約9班航機取消,另有102班航機受到延誤。浣熊於4月19日晚上8時最接近香港,在香港之西北偏西約150公里掠過;而香港天文台總部於當日下午6時正測得的最低氣壓為1003.9百帕斯卡。由於浣熊減弱為一個低壓區,香港天文台於4月20日凌晨1時半直接取消所有熱帶氣鏇警告信號。帶暖性的鋒面曾一度令香港帶來強勁的偏南氣流和較溫暖空氣,令本港氣溫由攝氏21度急升至攝氏25度。
浣熊影響香港期間,香港有157宗水浸、13宗山泥傾瀉及70宗塌樹報告。紅磡有天台屋鋅鐵屋頂被吹起,而土瓜灣亦有外牆石屎檐蓬墮下,事件中無人受傷。香港國際機場有超過200航班延誤,約30航班取消及66航班轉飛其它機場。
浣熊吹襲期間,天文台測風網路8個指定自動氣象站中共有5站測得強風、當中2站更測得烈風 ,三號信號達標。風暴期間,長洲、機場、啟德測得最高10分鐘平均風速分別為每小時84、68、50公里,而西貢及青衣測得每小時47公里最高10分鐘平均風速。
創下紀錄
颱風浣熊襲港,創下多個紀錄,包括:
• 41年來第二早發出(懸掛)一號戒備信號。
• 二次大戰後最早發出三號強風信號,打破颱風利奧(T.Leo)的紀錄。
• 2008年首個一號戒備信號及三號強風信號。
• 2008年首個黃色、紅色及黑色暴雨警告信號。
• 歷來最早發出黑色暴雨警告信號,但紀錄在2014年3月30日豪雨期間被打破。
• 打破4月單日雨量紀錄,比舊紀錄(1966年4月4日,190.2毫米)多出47.2毫米。
澳門
當地懸掛之最高風球信號:![]()
八號東南風球
地球物理暨氣象局於4月17日下午4時15分懸掛一號戒備信號,是澳門2008年首個熱帶氣鏇警告,也是自1968年設定系統以來最早的一次。浣熊當時集結於澳門西南偏南約700公里。隨著颱風浣熊逼近,氣象局於4月18日晚上8時45分懸掛三號強風信號,浣熊當時集結於澳門西南約380公里,其後浣熊繼續逼近澳門,氣象局於4月19日下午1時半懸掛八號東南烈風信號,是澳門開埠以來最早懸掛的八號風球,當時浣熊集結於澳門西南偏西約200公里。隨著浣熊遠離及減弱,氣象局於晚上7時半改掛三號強風信號,並於4月20日凌晨4時正取消所有熱帶氣鏇警告。
電話網路中斷
在氣象局宣布懸掛八號風球後,澳門部分流動及固網電話通訊於下午1時起出現“大塞車”情況,使澳門部份居民未能撥打電話,澳門電訊隨即啟動緊急應變措施,希望儘快紓緩激增需求。在一小時後,電話服務逐漸恢復正常。其後,澳門電訊(CTM)及和記電話(澳門)均稱,由於當時大批居民同時使用電話,因此造成電話通訊“大塞車”情況。是次電話通訊“大塞車”在澳門北區影響情況較大。
廣東
浣熊於廣東省陽江市一帶登入。受到浣熊的影響,至少有三艘漁船在西沙海域附近沉沒,40名漁民失蹤。廣東省受水浸及山泥傾瀉影響,有三人死亡。
超強颱風浣熊 (2014年)
簡介
颱風“浣熊” 超強颱風浣熊(英語:TyphoonNeoguri,國際編號:1408,聯合颱風警報中心:08W,菲律賓大氣地球物理和天文管理局:Florita)為2014年太平洋颱風季第八個被命名的風暴,
發展過程
2014年6月30日,一個低壓區在關島東南部海面上生成。同日,美國海軍研究實驗室給予擾動編號90W。
7月1日上午6時,聯合颱風警報中心對其在24小時內形成為熱帶氣鏇的機會給予“LOW”的評級。
7月2日上午3時,聯合颱風警報中心對其評級提升為“MEDIUM”。
7月3日上午2時,日本氣象廳將其升格為熱帶低氣壓。上午3時,聯合颱風警報中心對其發布熱帶氣鏇形成警報。上午8時,聯合颱風警報中心將其升格為熱帶低氣壓,並給予編號08W。上午9時,日本氣象廳對其發出烈風警報。
“浣熊”移動路徑 7月4日上午2時,聯合颱風警報中心將其升格為熱帶風暴。上午8時,中央氣象台將其直接升格為熱帶風暴。上午9時,日本氣象廳將其升格為熱帶風暴,並命名為浣熊。下午5時,日本氣象廳將其升格為強熱帶風暴,同時中央氣象台將其升格為強熱帶風暴。下午8時,日本氣象廳將其升格為颱風,同時中央氣象台將其升格為颱風。
7月5日上午2時,聯合颱風警報中心將其升格為一級颱風。上午8時,聯合颱風警報中心將其升格為二級颱風。下午2時,聯合颱風警報中心將其直接升格為四級颱風。同時,香港天文台將其升格為強颱風。下午5時,中央氣象台將其升格為強颱風。
7月6日下午12時,浣熊進入菲律賓負責範圍,因此菲律賓大氣地球物理和天文管理局將其命名為Florita。
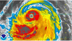
7月7日上午2時,中央氣象台將其升格為超強颱風。同時,香港天文台亦將其升格為超強颱風。下午5時,日本氣象廳針對宮古島發出特別警報。下午9時,日本氣象廳對沖繩本島發出特別警報。
影響
中國大陸
當地最高熱帶氣鏇警告信號:
颱風藍色預警信號
7月7日上午10時,中央氣象台發布颱風藍色預警信號。
台灣
7月7日下午3時,中央氣象局對全台大部分地區(南投、金門、嘉義市除外)發布陸上強風特報,並不排除對於台灣東部及北部海面發布海上颱風警報。
日本
當地最高熱帶氣鏇警告信號:特別警報
7月7日下午5時,日本氣象廳針對宮古島發出特別警報。繼特別警報於2013年成立以來,第二個需要導致日本氣象廳發出特別警報的颱風。而首個發出的特別警報為去年的颱風萬宜。隨著浣熊愈趨逼近日本,日本氣象廳改為每小時發報。下午9時,日本氣象廳對沖繩本島發出特別警報,並向宮古島居民發出避難勸告。
![浣熊[颱風] 浣熊[颱風]](/img/2/241/nBnauM3XyMzM0MDN5EjNycDNwQTM3cTN4QjMxADMwAzMwIzLxYzL1MzLt92YucmbvRWdo5Cd0FmLxE2LvoDc0RHa.jpg)
