標明需要保護,使用途徑不能改變的土地範圍和可以商業等開發利用的土地範圍的圖,現在主要用於保護有限的種植糧食的耕地不被用於商業、工業、建路等開發利用。
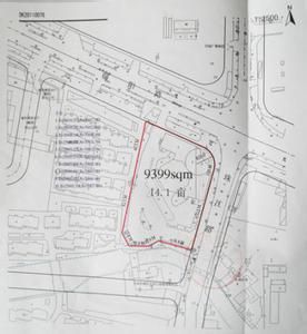
在建築方面,紅線一般是指建築紅線或道路紅線,它規定了建築物的邊界外沿界限,即建築物必須建造在該線以內,有的城市還有建築綠線之規定,即建築物應在紅線內退一定距離; 紅線 ,可稱為城紅線,包括用地紅線、道路紅線和建築紅線,對“紅線”的管理體現在對容積率、建設密度和建設高度等的規劃管理。

土地紅線圖是標明需要保護,使用途徑不能改變的土地範圍和可以商業等開發利用的土地範圍的圖,現在主要用於保護有限的種植糧食的耕地不被用於商業、工業、建路等開發利用。
標明需要保護,使用途徑不能改變的土地範圍和可以商業等開發利用的土地範圍的圖,現在主要用於保護有限的種植糧食的耕地不被用於商業、工業、建路等開發利用。
在建築方面,紅線一般是指建築紅線或道路紅線,它規定了建築物的邊界外沿界限,即建築物必須建造在該線以內,有的城市還有建築綠線之規定,即建築物應在紅線內退一定距離; 紅線 ,可稱為城紅線,包括用地紅線、道路紅線和建築紅線,對“紅線”的管理體現在對容積率、建設密度和建設高度等的規劃管理。
