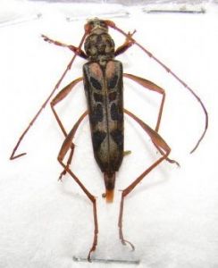
識別特徵
四面山長麗天牛體色淺棕色,體型修長,觸角基瘤膨大,前胸近球形,鞘翅各具四塊明顯黑色斑。
保護及保存現狀
自然野生主要用途和價值
環保與生態用途開發利用現狀
野生未開發利用鞘翅目(二)
| 鞘翅目通稱甲蟲。屬有翅亞綱、全變態類。具如下特點:體型大小差異甚大,體壁堅硬;口器咀嚼式;觸角形狀多樣,10-11節;前胸發達,中胸小盾片外露;前翅為角質硬化的鞘翅,後翅膜質;幼蟲為寡足型,少數為無足型等。 |

四面山長麗天牛,拉丁名為Acrocyrtidus simianshanensis,昆蟲綱鞘翅目中的一種動物。
