形成
10月18日,瓜地馬拉西南方600公里處,海域上空產生一個熱帶擾動,聯合颱風警報中心對其命名擾動編號97E,成型幾率40%,可能性為medium,20日升格為70%,可能性high,97E於同日成為熱帶低壓。21日3時升格為熱帶風暴,並給予編號201520E,且命名為帕特里夏
期間,帕特里夏將另一熱帶擾動92L併入其中
發展
時間 風速 氣壓 性質
1 (13.30N,94.40E )10.20 15時 30節 1006hpa 熱帶低壓
2 (13.20N,94.80E )10.20 21時 30節 1006hpa 熱帶低壓
3 (13.20N,95.30E )10.21 03時 35節 1004hpa 熱帶風暴
4 (13.00N,96.00E )10.21 09時 35節 1004hpa 熱帶風暴
颶風帕特里夏5 (12.90N,97.50E )10.21 15時 35節 1004hpa 熱帶風暴
6 (13.10N,99.50E )10.21 21時 50節 995hpa 熱帶風暴
7 (13.50N,100.50E) 10.22 03時 55節 994hpa 熱帶風暴
8 (14.30N,102.30E) 10.22 09時 75節 980hpa 一級颶風
9 (14.90N,103.80E) 10.22 15時 85節 973hpa 二級颶風
10(15.00N, 104.00E) 10.22 18時 115節 958hpa 四級颶風
11(15.40 N,104.60E) 10.22 21時 115節 953hpa 四級颶風
12(16.20 N,105.10E) 10.23 03時 140節 924hpa 五級颶風
13(16.50 N,105.30E) 10.23 06時 160節 892hpa 五級颶風
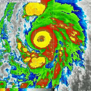
颶風帕特里夏路徑圖14(17.00 N,105.50E) 10.23 09時 175節 880hpa 五級颶風
15(17.60 N,105.50E) 10.23 15時 175節 880hpa 五級颶風
16(18.90 N,105.20E) 10.23 21時 165節 900hpa 五級颶風
17(20.20 N,104.60E) 10.24 03時 115節 946hpa 四級颶風
18(22.30 N,103.10E) 10.24 09時 65節 986hpa 一級颶風
19(23.90 N,101.60E) 10.24 15時 30節 1002hpa 熱帶低壓
20(25.30 N,100.60E) 10.24 21時 25 節 1004hpa熱帶低壓
簡述
颶風帕特里夏形成至消亡僅約5日
帕特里夏堪稱史上之最:
1、風眼最低氣壓871.9hpa,打破東太平洋記錄(1979年襲擊東亞的颱風“泰培”,氣壓為870毫巴,目前泰培依舊是第一)
2、最大風速達175節,領先近幾年歷史記錄
3、東太平洋最強颶風,超過歷史上任何有記錄的颶風,此前最高紀錄為颶風威廉(Willian)
其登入時依據薩菲爾-辛普森颶風等級制為5級颶風,該颶風為命名最強級別颶風
此颶風一個亮點是位於邁阿密的美國國家颶風中心(NationalHurricaneCenter)派無人機深入颶風中心勘測實時數據,最低氣壓與最大風速便是由此測得
美國颶風中心於美國東部時間周二上午11點首次發布了有關帕特里夏的預報。當時持續風速為35英里/小時,颶風中心並沒有發布海岸預警或監測報告。之後兩天,它稍微有所增強,但周三晚間預告還認為僅僅是一個熱帶風暴。
往後24小時左右,情況發生了巨大轉折。
周四上午的預告中,颶風中心正式認定帕特麗夏為颶風,持續風速達到85英里/小時。六小時後,最高風速已經達到100英里/小時。
風速自那時起一直上升,除了在周四下午1點至3點有過略微下降。到了周四晚間,帕特麗夏成為五級(Category5)颶風。
災害
由於此颶風十分強大,美國與墨西哥當局採取白色警戒,據統計,疏散超過50萬人,同時造成土石流洪水等自然災害,然而損失與預估值相比小很多
墨西哥國家水資源委員會表示,政府在米卻肯、科利馬等州設定了1782間臨時避難所,容納超過258000人。
美國墨西哥取消所有附近航班,並敦促旅客避難
帕特里夏於23日晚登入墨西哥太平洋沿岸人煙稀少地區,主要港口和度假勝地免於直接遭侵襲。當地多處房屋被嚴重破壞,樹木傾倒,米卻肯州香蕉和木瓜作物被毀,一些地區發生洪水和山體滑坡阻塞了道路
墨西哥總統涅托發表聲明稱,“最初報告顯示如此規模的颶風造成的損害低於預期,但我們仍不能放鬆警惕。”
陸上災情美國休斯敦和達拉斯兩市之間的州際公路因大水關閉;一列貨運火車在洪水中脫軌翻覆,兩名列車員被迫游到安全地帶。聖安東尼奧一人試圖營救落水的寵物狗而被洪水捲走下落不明。達拉斯-沃斯堡國際機場超過260個航班被取消。
成因
颶風帕特里夏如此之強,原因多種
1、海面達到標準水溫以上,水溫較高
2、周圍環海,較少陸地,阻力較小
3、風的垂直切變小,並且有充足的水汽
4、一切歸根結底,源於超強厄爾尼諾效應,南方濤動導致東太平洋水溫異常,且颶風形成海域為今年厄爾尼諾受災區,因此該海域形成此類超強颶風具有得天獨厚的條件達到頂峰,因此世界氣象會議將2015年評為最熱年
相關颱風(颶風)
1979年10月:颱風“泰培”——該熱帶氣旋堪稱有記錄以來規模和強度最大,風速達到305千米/小時,造成99人死亡(大部分在日本)。
1980年8月:颶風“艾倫”——該颶風按風速計算它是大西洋最強(持續風速305千米/小時),導致海地將近300人死亡,並對美國德克薩斯州造成嚴重災害。
1991年4月:孟加拉名為“02B”的龍捲風——風暴潮高達六米,造成至少13.8萬人死亡,至多一千萬人無家可歸。
1999年10月:印度奧里薩邦(或帕拉迪)龍捲風——北印度洋有記錄以來最強,導致大約一萬人死亡(大部分在印度)。
2005年八月:颶風“卡特里娜”——導致美國至少1836人死亡,造成經濟損失812億美元,史上造成損失最大(風速280千米/小時)。
2005年10月:颶風“威爾瑪”——大西洋水域最強(風速295千米/小時),導致墨西哥灣和加勒比海地區87人死亡。
2013年11月:颱風“海燕”——有記錄以來登錄時最強風暴,一分鐘持續風速達到315千米/小時。導致菲律賓超過7000人喪生。

