概念
跌流消能跌流消能在堤壩的建設中套用比較普遍。高壩建設中普遍採用的水墊塘形式為平底水墊塘和反拱水墊塘兩種。根據對水墊塘內特殊流態及沖刷機理的研究,從高速淹沒射流在水墊塘水體中擴散規律,衝擊射流壓強隨射流流程的變化規律等一系列水力要素方面出發,結合沖刷實驗的一系列成果, 對水墊塘體型曲面進行最佳化。分別從水墊塘的橫向剖面和縱向剖面的具體情況分析並作出相應的變化,在反拱水墊塘的基礎上改進成在縱向剖面也曲線變化的雙曲反拱, 使水動力要素和水墊塘結構動力要素處於一種和諧狀態,保障水墊塘的安全運行。
拱壩跌流消能計算公式適用性分析
公式選擇
圖 1 上下游有明顯水位差的水舌、水躍形態拱壩跌流水力要素主要包括水舌射距、水舌對底板的衝擊流速、水墊塘底板上的動水壓力等。動水壓力值直接影響底板或護坦的穩定分析判斷,而流速是計算動水壓力的重要參數。有關研究表明,不考慮三維擴散,或不計水舌兩側邊牆對其水動力因素的影響時,隨著下游水深條件變化,水舌落入下游水墊依次發生如下形態變化:當水墊塘內無水或水深較淺時,水舌上游快速形成一定厚度水墊,並使水舌在上游發生單側擴散,上游側形成有效水墊。水舌在下游不擴散,衝擊底板後形成遠驅水躍,躍後水深無法對水舌形成有效頂托,此時水舌上下游有明顯水位差,此為狀態 1,如圖1所示。
圖 2 上下游無明顯水位差的水舌、水躍形態隨著水舌下游水位繼續升高,下游水躍逐漸靠近水舌,當下游水深h達到和超過水躍的躍後水深h,遠驅水躍依次變成臨界水躍和淹沒水躍,下游水墊作用逐漸增強,此時水舌下游側依然有激烈的水躍旋滾,旋滾區為坡度向下游升高的水面,此為狀態 2。
隨著塘內水位進一步升高,水舌下游水躍趨於消失,水舌上下游水位差不再明顯,水舌在上下游均發生擴散,此時水墊塘可完全發揮水墊作用。此為狀態3,如圖2所示。
程式化疊代在EXCEL中的實現
EXCEL提供了VBA語言的二次開發功能,採用VBA語言能將多步驟手動試算智慧型化,有效提高計算效率。研究發現,大多數情況通過程式反覆執行可順利完成計算,但有時候程式會出錯無法完成疊代。通過分析,當壩高不高,而流量較大時,經過第一次試算值已較接近最終精確。
研究結論
拱壩水墊塘水力要素的計算對於消能設計影響較大,推薦按上下游無明顯水位差進行水舌對底板的衝擊流速的計算,並提供多種方法幫助求解計算,對於不能直接求解,需要大量疊代計算的求解現狀,提出利用EXCEL軟體VBA二次開發平台完成程式的循環計算,取代煩瑣的人力勞動,實現水利工程建設信息的數位化標準化。
挑跌流消能防護形式中的水墊塘體型最佳化探索
問題的提出
在西部地區,水頭落差大,水能資源豐富,中國建設了很多高壩來利用豐富的水能資源。代表性工程為金沙江下游梯級向家壩、溪洛渡、白鶴灘以及烏東德等特大型水利水電工程,這些重大水電工程大都修建在我國西部高山峽谷和地震高發區,地質條件十分複雜,施工環境差,重大事故危險隱患多,危險類型繁雜,危險控制難度大,並且存在泄洪流量大,水頭高,泄流集中,存在很多高水頭大流量泄流建築物安全關鍵技術難題,壩下河床及岸坡的防沖問題十分突出。
對於這些重大工程,高壩下游一般都採用護坡護底的防沖措施,水墊塘採用鋼筋混凝土襯砌的硬化底板,根據其結構形式分為平底水墊塘和反拱水墊塘兩種。很多學者從結構方面研究了水墊塘底板的穩定性。
平底板依靠底板自重和錨固鋼筋來保持底板的穩定,結構設計時主要考慮正常泄洪期和檢修期兩種典型工況, 均以浮升失穩控制 。一般為了抵抗巨大的動力壓水,底板往往很厚,並要加抽排和錨固等相關措施。
根據練繼建,楊敏,安剛等學者的研究,反拱型底板的穩定性大大優於平底板,在相同運行工況下反拱型底板安全係數> 平底板2~3倍。彭新民、許唯臨、戴會超、Huai Wenxin 等學者從模型實驗和數值模擬方面研究了水墊塘底板穩定性和水動力荷載特性。但是對於水墊塘體型曲面和水動力荷載的關係研究是一個空白,反拱水墊塘的橫剖面圓的半徑如何確定,縱剖面底部曲線特徵的描述,不同縱向坐標採用相同剖面是否合適都沒有具體的研究。沖刷實驗所形成的穩定沖坑是挑射水流與抗沖材料平衡的結果,這個沖刷曲面和與之對應的水動力要素達到一種最優狀態。
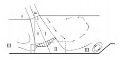
射流在水墊中的擴散規律
圖3 水墊塘示意圖水墊塘內水墊應有一定的深度形成淹沒衝擊射流,避免出現自由衝擊射流由於挑流水舌經過挑坎的擴散參氣作用,進入水墊塘後形成的水氣兩相流紊流狀態非常複雜。為了在目標剖面上更直觀地了解流速分布情況,將其簡化為沒有擴散參氣的淹沒射流如圖3所示,挑流水舌在水墊中的擴散區依次分為Ⅰ自由射流區、Ⅱ衝擊射流區、Ⅲ壁面射流區,其消能過程分別對剪下消能區、撞擊消能區和混摻消能區。這些區域都是相互影響的,如自由射流區變長,衝擊射流區的水力要素也會隨之改變進而對底板造成相應的影響。
從能量的角度來說,有效地增加剪下消能區的範圍,使這一區域消散的能量所占比例加大,那么撞擊消能區需要消散的能量就會減少,對底板作用影響減弱。
底板曲面的演進
水墊塘平底板塊的穩定是以一個獨立底板塊的升浮作為控制條件。由於各底板塊間約束作用較小,水舌作用範圍內的所有底板塊都要滿足平衡方程方能使水墊塘底板保持穩定。在底板縫隙止水設施破壞,錨固力失效的條件下,足以使底板塊拔出座穴。一旦水墊塘中有一底板塊掀起,則會引起周圍其他底板塊的連鎖破壞,導致水流沖刷河床基岩。反拱水墊塘利用拱形結構的力學特性,將射流衝擊荷載傳遞到兩岸山體或拱座,充分發揮混凝土的抗壓特性和拱結構的超載能力,提高底板的整體穩定性。根據衝擊區橫剖面的水力要素分析,這種形式還能主動適應水流的流速分布進而改善水流給底板的作用力,使底板上的衝擊壓強分布均勻,相對於平底是一個巨大的進步。
反拱水墊塘的橫向剖面仍沒有一個確定的控制方程來指導,修建時存在較大的隨意性,而且在縱向剖面上仍是平底,不能很好的適應挑射水流在水墊塘中的流動擴散規律。根據以上縱向剖面的水力要素分析,縱向剖面也有做成類似反拱水墊塘橫向剖面的必要,但是考慮到入射角的影響,衝擊區下游比上游所受水流作用大,底板縱向剖面曲線有別於橫向剖面的對稱形式。圖3中曲線 ABC上段AB就順應來流,而下段BC需要與下游自然的過渡,
消除劇烈的旋滾脈動對底板的破壞。結合沖刷實驗的研究成果, 提出將水墊塘也做成類似沖刷平衡中的曲線的設計想法,將傳統反拱水墊塘在縱向剖面將底剖改進為合適的曲線,在三維上形成雙曲反拱,使水力要素與水墊塘防沖結構兩者之間達到最佳的平衡狀態。

