費利克斯颶風 美國颶風檢測中心2日宣布,“費利克斯”已升級為超強五級颶風,北美地區已經全面戒備,防止颶風帶來 嚴重的人員和財產損失。
最先起火的一艘貨輪因船體進水而沉沒,其他三艘貨輪開始沿江漂向下游……
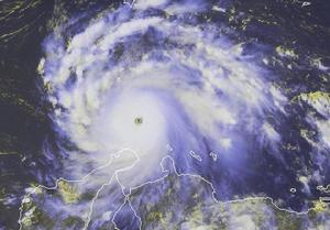
此前,“費利克斯”的中心靠近北緯12.4度和西經62.8度,距格瑞那達島120公里。風暴以每小時30公里的速度移動,未來24小時將保持這一方向,離開南部的巴洛文托島。未來24小時它的風力將會繼續加強,達到時速165公里。據預測,該颶風將襲擊中美洲國家宏都拉斯等國,北美的墨西哥和多箇中美洲國家已經加強了對它的監控。
據悉,本次颶風季節是從6月1日開始的,將於11月30日結束,已經形成5次熱帶風暴,其中“迪安”是在大西洋流域形成的第一個颶風。科洛拉多大學大氣學教授格雷8月預測將形成15次風暴、8次颶風,其中4次是高級別的。大西洋流域的颶風季節8月至10月是最緊張的階段,颶風活動將超過正常情況。
