代表種
蠶豆萎蔫病毒1號( Broad bean wilt virus 1)
病毒特性
形態學
病毒粒子為等軸對稱二十面體(T=1),直徑約30nm,無包膜,許多粒子呈六邊形,但亞基結構不明顯。病毒純化時分為三種組分,頂部組分(T)為空殼粒子,不含核酸,中部組分(M)含有RNA 2,底部組分(B)含有RNA 1,一些B和M組分粒子和所有T組分粒子可被染色劑滲透。
理化特性
標準沉降常數S(20W)=63S(T)、100S(M)、126S(B)。
核酸
提純的蠶豆萎蔫病毒2號,2%磷鎢酸染色二分子線形正義ssRNA,RNA1長6.0~6.3kb,RNA 2長3.6~4.Skb,兩種粒子包裹的核酸分別占病毒粒子重量的22%(M)和33(B)。
蛋白質
外殼蛋白由兩種主要多肽組成,分子質量為42kDa和21.2~26kDa。
基因組
蠶豆萎蔫病毒2號的基因組及其產物二分體基因組,RNA 1和RNA 2由不同的病毒粒子包裹,RNA 1包裹在沉降組分B的粒子中,RNA 2包裹在沉降組分M的粒子中。RNA 3'端為Poly(A),5'端可能為VPg。蠶豆萎蔫病毒2號的RNA 1編碼210 kDa多聚蛋白,可能切割產生5個多肽,分別為38 kDa的蛋白酶、67kDa的NTP結合域、VPg、23 kDa蛋白酶及79 kDa的複製酶;RNA 2編碼的多聚蛋白為119 kDa,可能切割產生4個功能肽,分別為與病毒移動有關的53 kDa和37 kDa蛋白及44 kDa和22 kDa的外殼蛋白,病毒的複製與表達類似於豇豆花葉病毒屬。該屬有2種病毒的RNA已測序或部分測序。
抗原特性
病毒具有強免疫原性,屬內病毒之間有遠緣血清學關係,與豇豆花葉病毒屬無血清學關係。
細胞病理
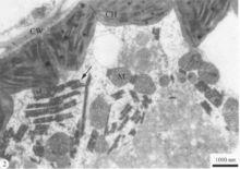
蠶豆萎蔫病毒2號 | 蠶豆萎蔫病毒2號 |
| 感染蠶豆萎蔫病毒2號的豌豆葉肉細胞,示膨大的線粒體和許多病毒粒子結晶體(箭頭)分布於空泡化的細胞質中。 | 感染蠶豆萎蔫病毒2號的豌豆葉肉細胞,示細胞質中大量病毒粒子排列成長形或方形結晶。 |
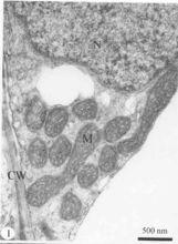
蠶豆萎蔫病毒2號 | 蠶豆萎蔫病毒2號 |
| 感染蠶豆萎蔫病毒2號的豌豆葉肉細胞,示左側細胞中的病毒粒子結晶體和右側細胞中的膜增生區域。 | 放大的細胞質膜增生區域,示膜結構及小囊泡的大量增生。 |
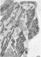
蠶豆萎蔫病毒2號 | 蠶豆萎蔫病毒2號 |
| 感染蠶豆萎蔫病毒2號的豌豆葉肉細胞,示線粒體數量增加。 | 一些膨大的線粒體聚集在病毒結晶體附近。 |
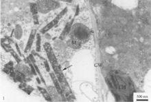
蠶豆萎蔫病毒2號 | 蠶豆萎蔫病毒2號 |
| 細胞質中的管狀物橫切面(箭頭)。 | 緊鄰細胞壁的管狀物縱切面(箭頭)。CH,葉綠體;CW,細胞壁;M,線粒體;M,細胞核;V,病毒粒子。 |
生物學
寄主範圍
病毒在雙子葉植物和一些單子葉植物的科中有較寬的寄主範圍。蠶豆萎蔫病毒的寄主極廣,可侵染44個科186個屬中的328種植物,包括40種豆科植物,往往引起嚴重症狀。在蠶豆和豌豆上為花葉、矮化、萎蔫甚至整株枯死,大豆為嚴重皺縮、頂枯,菠菜為矮化、壞死等,植物生長早期受侵染後會嚴重影響植株生長。
傳播
自然界中由多種蚜蟲非持久性傳播,易機械接種傳毒,無種傳報導。
地理分布
蠶豆萎蔫病毒在歐洲、美洲、亞洲和非洲的許多國家有報導,是一種世界流行性病毒。
分類
該屬已知有4個種,代表種是蠶豆萎蔫病毒1號。蠶豆萎蔫病毒在中國的蠶豆、豌豆、豇豆、大豆、菜豆、茄子和辣椒等作物上廣泛發生,已有詳細報導。
| 中文名 | 學名 | 國際基因庫登錄號碼 |
| 蠶豆萎蔫病毒1號 | Broad bean wilt virus 1(BBWV-1) | [U65985] |
| 蠶豆萎蔫病毒2號 | Broad bean wilt virus 2(BBWV-2) | [AB013615,AJ132844, |
| AF149425] | ||
| 野芝麻輕型花葉病毒 | Lamium mild mosaic virus(LMMV) | - |
| 廣藿香輕型花葉病毒 | Patchouli mild mosaic virus(PatMMV) | - |
蠶豆萎蔫病毒2號
蠶豆萎蔫病毒2號
蠶豆萎蔫病毒2號
蠶豆萎蔫病毒2號
蠶豆萎蔫病毒2號
蠶豆萎蔫病毒2號
蠶豆萎蔫病毒2號
蠶豆萎蔫病毒2號 