2006年9月16日,日本氣象廳開始監測在關島東北偏東方約1,270公里(790英里)處的一個對流區。該區位處高層反氣旋下一個微弱至中度風切變區域,令其對流活動得以持續活躍。同日較後時間,聯合颱風警報中心為它發布熱帶氣旋形成警報。
9月17日較前時間,聯合颱風警報中心將其升格為一熱帶低氣壓,編號為16W。當時它夾在兩個高氣壓鞍型場內,引導氣流較弱,主要向東北偏東緩慢移動,之後在鞍型場內的有利環境下迅速增強,同時它開始以順時針方向打一圈。幾小時後,聯合颱風警報中心為它發布首份報告,同時日本氣象廳將它升格為一熱帶風暴,命名為摩羯。
9月18日較後時間,日本氣象廳將摩羯升格為一強熱帶風暴,同時聯合颱風警報中心將摩羯分類為一小型颱風。
9月19日較前時間,日本氣象廳將摩羯升格為一颱風。打完一圈之後,摩羯受到位於日本東南方的副熱帶高壓脊的影響向西推進。摩羯繼續增強。
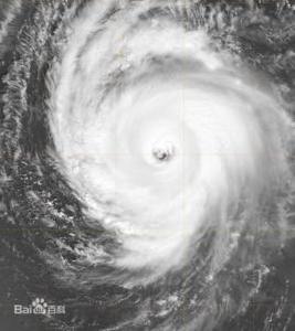
9月21日達到其巔峰強度195公里每小時(120英里每小時,十分鐘平均風速),其最低氣壓低至910毫巴(百帕斯卡),是為2006年太平洋颱風季最強的熱帶氣旋。同時,聯合颱風警報中心將摩羯分類為五級超級颱風,風速為260公里每小時(160英里每小時,一分鐘平均風速)。其後摩羯逐漸轉向西北移動,略過北馬利安納群島後,於9月22日穿越父島和硫磺島一帶,之後再轉向東北移動。由於風切變上升,摩羯逐漸減弱並開始轉化為溫帶氣旋。
9月24日較後時間,聯合颱風警報中心將摩羯分類為溫帶氣旋,並發出最後報告。惟日本氣象廳將摩羯維持在颱風等級,至較後時間降格為一強熱帶風暴。
9月25日較前時間,日本氣象廳將摩羯分類為溫帶氣旋。摩羯的殘餘繼續向東北移動。
9月27日越過國際日期變更線,最後在阿留申群島附近消散。
![摩羯[2006年第14號超強颱風] 摩羯[2006年第14號超強颱風]](/img/9/b9c/nBnauM3X2EzNycDO1kTNzETO1UTM1QDN5MjM5ADMwAjMwUzL5UzLyMzLt92YucmbvRWdo5Cd0FmLxE2LvoDc0RHa.jpg)
