大豆發酵精華簡介
大豆發酵精華NT是從大豆經過特定的納豆菌發酵後生成的代謝物中提取的天然抗氧化成分。呈茶褐色液體狀,因其是一種天然成分、又具有能夠捕捉並消除活性氧分子、阻斷各種活性氧在被消除過程中發生的連鎖反應的特性,被命名為「Naturaltrapsubstance」(天然自由基捕捉劑),縮略為NT。
人體內產生的活性氧自由基主要有超氧陰離子自由基(O2¯)、過氧化氫(H2O2)、羥基自由基(O.H)、單線態氧(1O2)的四種。活性氧會導致膽固醇等脂類氧化,形成毒性較強的過氧化脂質等有害物質。這些有害物質不僅是加速衰老的原因物質,也是動脈硬化、心肌梗塞、腦中風等生活習慣病的誘因之一。
實際上,人體記憶體在著SOD抗氧化物酶等能夠對抗活性氧、防禦機體發生氧化損傷的抗氧化物質。但是,這些抗氧化物質只能分別對抗特定種類的活性氧,存在一定的局限性。
日本醫科大學老人病研究所和協同乳業株式會社的科研人員從70年代後半開始著手於抗氧化物質的研究,經過長達十數年的研究,終於在用特定的納豆菌發酵過的大豆的代謝物中發現了一種超微量的強力抗氧化物質—大豆發酵精華NT。
NT與活性氧的關係
活性氧
氧氣是維持生命不可缺少的物質,這是人盡皆知的常識。但是,人們也漸漸發現,當氧分子在體內改變其存在形式時,也可能變成導致人們壽命縮短的兇手。1956年,美國內布拉斯加大學D.哈曼教授首次提出了“體內產生的自由基是指電子非常不穩定、氧化力極強的分子,最具代表性的自由基就是活性氧。自哈曼教授提出該理論之後,關於“活性氧”的相關研究迅速發展,衰老、癌症、生活習慣病等眾多疾病的發生都相繼被證明與活性氧有密切關係。
那么,活性氧究竟是種什麼樣的氧分子呢?人通過呼吸,吸入空氣中的氧氣,並利用食物中的營養,來產生維持生命活動所需要的能量。活性氧是此過程中的必然產物。據研究,哺乳類吸入體內的氧氣中,約有2%~5%會變成活性氧,適量的活性氧是人體所需的,但由於環境污染、身心壓力、疾病等因素都會增加活性氧的生成,所以,體內就很容易出現活性氧過剩。
如同金屬生鏽、切開的蘋果很快就會變色的情況類似,過剩的活性氧也會導致人體內發生血管“生鏽”等類似的氧化反應。現在普遍認為衰老及90%以上的疾病的的發生都與活性氧有著密切關係。
NT的抗氧化作用
人體內的SOD等抗氧化酶的活力在2、30歲的時候達到高峰之後便逐漸衰減。同時,由於人體內產生的活性氧種類繁多,因此,要想預防長期氧化損傷積累所帶來的疾病與老化,抗氧化就顯得尤為重要。
自古以來,人們就發現自然界的植物,穀類以及它們的發酵物具有一定的藥理功效。並且,“食品的發酵過程中會產生抗氧化物質”這一認識也早已廣為人知。特別是有關稻米及大豆的發酵食品對於老化及癌症有預防作用的研究報告甚多。例如:日本傳統發酵食品納豆,因具有抗菌、溶血栓等保健作用在日本被譽為“健康之王”。
20世紀70年代後半開始,日本的科研人員以發酵食品為重點,開始了對各種食物中含有的抗氧化物質的研究。經過十數年的研究,日本醫科大學老人病研究所和協同乳業株式會社的研究人員在經過特定的納豆菌發酵過的大豆的代謝物中,發現了一種強有力的抗氧化物質。此物質不存在於其它植物或穀物中,在單純的納豆、大豆、或納豆菌中也不存在。是只有用某種特定的納豆菌將大豆發酵後,再用特殊方法從中提取時才能得到得微量物質。這就是被命名為大豆發酵精華NT的植物來源的天然抗氧化物質。
實驗證明,NT不僅抗氧化力強而持久,而且性質穩定,並且,NT不像SOD或者維生素類只能針對某種特定的活性氧發揮其抗氧化作用,它可以消除各種各樣的活性氧。
學術認證
在細胞培養實驗、動物實驗以及志願者臨床試驗中,研究人員發現大豆發酵精華NT除了具有強力的抗氧化作用以外,還具有減少脂質以及預防動脈硬化的作用,對出血性胃炎或曬傷等急性炎症以及過敏等慢性炎症也具有一定的抑制作用,因此NT先後獲得了動脈硬化預防食品(特許第3181650號)、大豆發酵物來源的抗氧化物質(特許第3513359號)等多項專利。
學術發表
1990年,研究組人員在日本動脈硬化學會發表學術報告,闡述了NT對動脈硬化的作用。此後,在其它相關學術會議上,也多次就NT的多種生理活性作用做過報告。1995年,德國的學術雜誌《Lebensm.-WissundTechnol》上刊登了NT的相關研究報告,日本國內外的醫學•農學學術雜誌上也相繼對NT做了介紹,其生理活性作用得到了廣泛專業人士的認可。
實驗數據
給A組兔子餵食高膽固醇食物,給B組兔子餵食高膽固醇食物和NT。在同樣的環境下飼養6個月後:
A組兔子的血管壁積累了大量沉積物,出現了動脈硬化的現象。
B組兔子的血管壁則保持著良好的健康狀態。
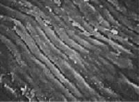
圖A組兔子的血管壁
A組兔子的血管壁(只餵食高膽固醇飼料)積累了大量沉積物,變得十分粗糙。
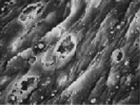
圖B組兔子的血管壁
B組兔子的血管壁(同時餵食NT)觀察不到沉積物,比較光滑。
日本專利局專利認證
「大豆發酵物來源的抗氧化物質」(特許第3513359號)
特許第3513359號「動脈硬化預防食品」(特許第3181650號)
特許第3181650號「非特異性自由基捕捉劑及其製造技術」(特許第2843597號)
特許第2843597號「套用大豆發酵物的食用肉改良及保鮮技術」(特許第3118295號)
特許第3118295號機能性
(1)抗氧化作用
大豆發酵精華NT具有強大的抗氧化作用。不僅可以對抗各種類型的活性氧,還可以防止體內細胞以及血中膽固醇被活性氧氧化。
(2)抗炎症作用
人體出現炎症時產生的過氧化亞硝酸鹽(peroxynitrite,ONOO-)被認為是加速動脈硬化,引發心肌梗塞、腦梗塞、哮喘,阿爾茨海默病以及癌症等疾病的原因之一,大豆發酵精華NT可去除過氧化亞硝酸鹽,同時可以抑制引發炎症的TNF-α因子。
(3)抗過敏作用
大豆發酵精華NT能抑制導致過敏症狀的組織胺,同時活化Th2細胞調整免疫力系統。
(4)穩定血糖值作用
有降低導致血糖值上升的α澱粉酶(α-amylase)活性的作用。通過抑制DPP-4酵素的效力,起到保護維持血糖穩定的腸促胰島素的作用。還能促進脂連蛋白(adiponectin)的分泌,提高胰島素效力。
(5)穩定血壓作用
大豆發酵精華NT具有與ACE(降血壓肽)類似的作用。ACE通過抑制血管緊張素(angiotensinⅡ)生成、發揮降壓作用。
(6)抗色斑形成作用
有阻止形成色斑的直接原因之一的酪氨酸酶(tyrosinase)的生成及降低其活性的作用。
套用領域
套用領域大豆發酵精華NT現在主要被運用在健康食品中。
1996年10月,日本Orientalbio株式會社取得了大豆發酵精華NT的專利所有權,並以此為基礎成分,配合各種天然動植物抽提物,推出了以樂菲娜-阿爾法為中心的十餘款系列健康食品。
