耐熱性
英國科學研究小組發現,加勒比海「開曼群島」以南一處海溝發現多個火山口,且出現成群結隊的白色盲蝦在附近聚集。從火山口湧出的熱泉高溫達攝氏450℃,足以讓鉛熔解。但是這些蝦主要是在火山口附近生活,它們能在450℃高溫深海中暢遊 。
視覺功能
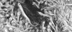
白色盲蝦當然是盲的,在黑乎乎的海底深處生活,眼睛已經變得不再重要。但它們的背部會發光,這種發光器可以稱為長在背部的“眼睛”,它可以提示盲蝦離火山口的距離遠近 。
白色盲蝦研究價值
除了會發光的白色盲蝦外,研究人員在火山口附近海域中還發現新品種的蝸牛、蛇狀魚類和片腳類動物。研究人員表示,觀察這些背部發亮的海蝦,將它們和火山口的其他動物作比較,有助於了解動物如何在深海中分布及進化 。
白色盲蝦圖集
